Benvenuto Ospite

Forum Entomologi Italiani

www.entomologiitaliani.net/forum
 
Oggi è 22/03/2026, 22:49

Tutti gli orari sono UTC + 1 ora [ ora legale ]

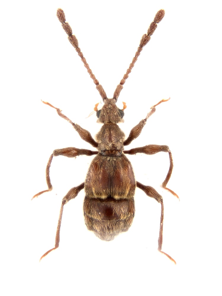
Pselaphodes foveolatus (Raffray, 1882) cf. - Staphylinidae Pselaphinae (ASIA)

14.III.2013 - MALESIA - EE, Malaysia Kelantan. Mt. Noring Timur 150km a sud di Jeli leg. Cechovsky


nuovo argomento
rispondi
Pagina 1 di 1 [ 11 messaggi ]
Autore Messaggio
MessaggioInviato: 25/10/2013, 16:45 
Avatar utente

Iscritto il: 05/02/2009, 17:25
Messaggi: 4894
Località: Zola Predosa (BO)
Nome: Loris Colacurcio
Con questo piccolo grande meraviglioso insetto, comincio un breve carrellata di pselafidi extracomunitari....molto extra.

Questa fa parte di un piccolo lotto di specie in gran parte Malaysiane.
L'aspetto complessivo mi farebbe pensare a qualche cosa di molto vicino al genere Pselahpodes...ma sicuramente è un altro genere; è una femminuccia, quindi non posso fare alcun confronto (perché di materiale bibliografico ne avrei anche trovato).

Dovevate vederli quando li ho presi; tutti incollati (con vinavil) su cartoncini triangolari, in posizioni a dir poco assurde. Devo dire di non aver avuto alcun problema con la colla che si è sempre sciolta abbastanza velocemente, immergendo le bestiole in comune acqua fresca.

Lunghezza: sui 4 mm. abbondanti

Psela 4a Malaysia Kelantan. Mt. Noring Timur 150km a sud di Jeli 14.III.2013 Cechovsky.JPG


_________________
Loris


Top
profilo
MessaggioInviato: 25/10/2013, 17:28 
Avatar utente

Iscritto il: 16/09/2009, 22:40
Messaggi: 599
Località: Czech Republic
Hi Loris! The collector of this specimen is my colleague Petr Čechovský from Brno, Czech Republic. :hi:

_________________
Daniel

Ἦν τὸ φῶς τὸ ἀληθινόν, ὃ φωτίζει πάντα ἄνθρωπον, ἐρχόμενον εἰς τὸν κόσμον. (ΚΑΤΑ ΙΩΑΝΝΗΝ, 1,9)


Top
profilo
MessaggioInviato: 25/10/2013, 18:14 
Avatar utente

Iscritto il: 09/06/2012, 20:57
Messaggi: 4283
Località: Mesola (FE)
Nome: Daniele Maccapani
Questo è bello davvero! :o
:birra: :hi:

_________________
"Lasciate questo mondo un po' migliore di come lo avete trovato" (Sir Robert Baden Powell)
Immagine Daniele


Top
profilo
MessaggioInviato: 25/10/2013, 19:38 
Avatar utente

Iscritto il: 09/11/2009, 14:12
Messaggi: 5196
Località: Hradec Kralove,Czech republik
Nome: Jan Matějíček
Tribus: Tyrini
Subtribus: Tyrina
Pselaphodes (femmine) - Malaysia P.foveolatus (Raffray, 1882)


img671.jpg


_________________
Research Fields
Taxonomy, ecology, biomonitoring , faunistic of Staphylinidae
Top
profilo
MessaggioInviato: 25/10/2013, 21:55 
Avatar utente

Iscritto il: 05/02/2009, 17:25
Messaggi: 4894
Località: Zola Predosa (BO)
Nome: Loris Colacurcio
Purtroppo non sono affatto sicuro che sia davvero un Pselaphodes :oops: ....

_________________
Loris


Top
profilo
MessaggioInviato: 26/10/2013, 8:42 
Avatar utente

Iscritto il: 09/11/2009, 14:12
Messaggi: 5196
Località: Hradec Kralove,Czech republik
Nome: Jan Matějíček
unica proposta :oops:

_________________
Research Fields
Taxonomy, ecology, biomonitoring , faunistic of Staphylinidae


Top
profilo
MessaggioInviato: 26/10/2013, 9:40 
 

Iscritto il: 05/01/2010, 23:04
Messaggi: 22
Località: Czech republic
Nome: Radim Gabriš
I have single specimen of this genus from Brunei...probably villosus? Male or female?


pselaphodes.jpg

Top
profilo
MessaggioInviato: 26/10/2013, 11:01 
Avatar utente

Iscritto il: 09/11/2009, 14:12
Messaggi: 5196
Località: Hradec Kralove,Czech republik
Nome: Jan Matějíček
List of Pselaphine Species Known from BORNEO


List of Pselaphine Species Known from BORNEO.doc [39.5 KiB]
Scaricato 132 volte
Notes on Michael Schülke’s pselaphine collections
from China. – Tyrini. I. genera Labomimus Sharp,
Linan Hlaváč and Pselaphodes Westwood
(Coleoptera, Staphylinidae, Pselaphinae)

Bez  názvu.jpg

Notes on Michael Schülke’s pselaphine collections
from China. – Tyrini. I. genera Labomimus Sharp,
Linan Hlaváč and Pselaphodes Westwood
(Coleoptera, Staphylinidae, Pselaphinae)

Bez názvu.jpg


_________________
Research Fields
Taxonomy, ecology, biomonitoring , faunistic of Staphylinidae
Top
profilo
MessaggioInviato: 26/10/2013, 12:18 
Avatar utente

Iscritto il: 05/02/2009, 17:25
Messaggi: 4894
Località: Zola Predosa (BO)
Nome: Loris Colacurcio
...per me è un'altra femmina non si vede alcun dente sulle tibie.
Quello che mi lascia perplesso è che il mio esemplare...ed anche quello di Radim, hanno delle specie di strie oblique (composte da setole biancastre) sulla testa; invece tutti gli esemplari che vedo in rete hanno la testa praticamente glabra. E' per quello che non riesco a capire se si tratta davvero di Pselaphodes o meno.
Forse questa strana peluria è presente solo sulle femmine.... :?

:hi:

_________________
Loris


Top
profilo
MessaggioInviato: 26/10/2013, 15:08 
Avatar utente

Iscritto il: 09/11/2009, 14:12
Messaggi: 5196
Località: Hradec Kralove,Czech republik
Nome: Jan Matějíček
molto simile genere Labomimus


Bez    názvu.jpg

Labomimus paratorus
Bez názvu.jpg


_________________
Research Fields
Taxonomy, ecology, biomonitoring , faunistic of Staphylinidae
Top
profilo
MessaggioInviato: 03/04/2017, 1:35 
 

Iscritto il: 31/03/2017, 7:19
Messaggi: 2
Nome: Zi-Wei Yin
First floor:

Labomimus foveolatus (Raffray, 1882)

Yin, Z.W. & Li, L.Z. 2015. Review of some species in the genera Pselaphodes Westwood and Labomimus Sharp (Coleoptera: Staphylinidae: Pselaphinae). Zootaxa, 4040: 331–344.


Top
profilo
Visualizza ultimi messaggi:  Ordina per  
nuovo argomento
rispondi
Pagina 1 di 1 [ 11 messaggi ]

Tutti gli orari sono UTC + 1 ora [ ora legale ]


Chi c’è in linea

Visitano il forum: Nessuno e 1 ospite


Non puoi aprire nuovi argomenti
Non puoi rispondere negli argomenti
Non puoi modificare i tuoi messaggi
Non puoi cancellare i tuoi messaggi
Non puoi inviare allegati

Cerca per:
Vai a: