Benvenuto Ospite

Forum Entomologi Italiani

www.entomologiitaliani.net/forum
 
Oggi è 04/02/2026, 4:51

Tutti gli orari sono UTC + 1 ora [ ora legale ]

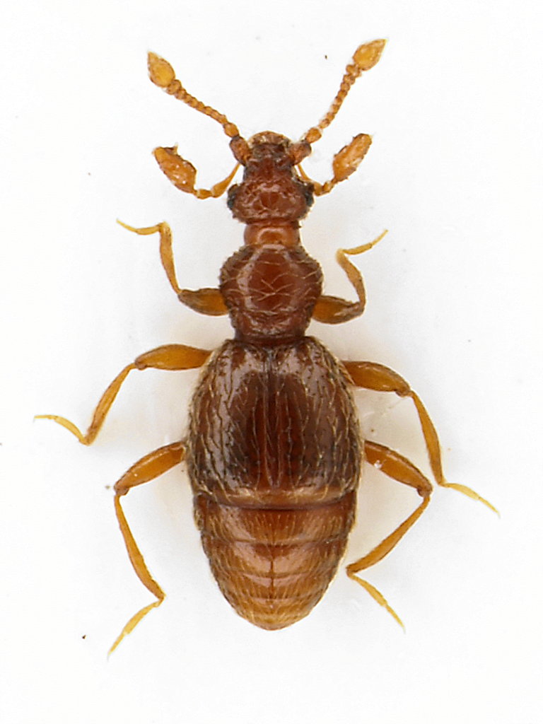
Bryaxis sp. - Staphylinidae Pselaphinae

11.IX.2010 - ITALIA - Lazio - FR, Trevi nel Lazio


nuovo argomento
rispondi
Pagina 1 di 1 [ 4 messaggi ]
Autore Messaggio
MessaggioInviato: 13/09/2010, 15:44 
Avatar utente

Iscritto il: 30/12/2009, 22:20
Messaggi: 31564
Località: Roma
Nome: Maurizio Gigli
Sempre dai muschi, questo Pselaphidae, o meglio, Staphylinidae Pselaphinae:

Lazio, Frosinone, Trevi nel Lazio, 800 m, muschi nel bosco misto, 11.IX.2010, M. Gigli legit
1,75 mm
Pselaphydae_Trevi_11-IX-2010.jpg


_________________
Maurizio Gigli
http://utenti.romascuola.net/bups
http://bup.xoom.it/


Top
profilo
 Oggetto del messaggio: Re: Staphylinidae Pselaphinae - Lazio
MessaggioInviato: 13/09/2010, 15:50 
Avatar utente

Iscritto il: 30/12/2009, 22:20
Messaggi: 31564
Località: Roma
Nome: Maurizio Gigli
Mi sono accorto che coi palpi ripiegati non si capisce come è fatta la testa, quindi mando un'altra foto coi palpi estesi.

Pselaphydae_Trevi_11-IX-2010_b.jpg



Purtroppo in questo periodo non posso usare il microscopio per fotografare questi minuscoli esseri, e con lo stativo più di questo non riesco a fare.

_________________
Maurizio Gigli
http://utenti.romascuola.net/bups
http://bup.xoom.it/


Top
profilo
 Oggetto del messaggio: Re: Staphylinidae Pselaphinae - Lazio
MessaggioInviato: 02/10/2010, 15:46 
Avatar utente

Iscritto il: 30/12/2009, 22:20
Messaggi: 31564
Località: Roma
Nome: Maurizio Gigli
Nessuno riesce ad arrivare almeno al genere?

_________________
Maurizio Gigli
http://utenti.romascuola.net/bups
http://bup.xoom.it/


Top
profilo
 Oggetto del messaggio: Re: Staphylinidae Pselaphinae - Lazio
MessaggioInviato: 02/10/2010, 17:54 
Avatar utente

Iscritto il: 09/11/2009, 14:12
Messaggi: 5189
Località: Hradec Kralove,Czech republik
Nome: Jan Matějíček
Staphylinidae - Pselaphinae - Bryaxis sp. (femminile)

_________________
Research Fields
Taxonomy, ecology, biomonitoring , faunistic of Staphylinidae


Top
profilo
Visualizza ultimi messaggi:  Ordina per  
nuovo argomento
rispondi
Pagina 1 di 1 [ 4 messaggi ]

Tutti gli orari sono UTC + 1 ora [ ora legale ]


Chi c’è in linea

Visitano il forum: Nessuno e 1 ospite


Non puoi aprire nuovi argomenti
Non puoi rispondere negli argomenti
Non puoi modificare i tuoi messaggi
Non puoi cancellare i tuoi messaggi
Non puoi inviare allegati

Cerca per:
Vai a:  
cron