Benvenuto Ospite

Forum Entomologi Italiani

www.entomologiitaliani.net/forum
 
Oggi è 23/03/2026, 1:56

Tutti gli orari sono UTC + 1 ora [ ora legale ]

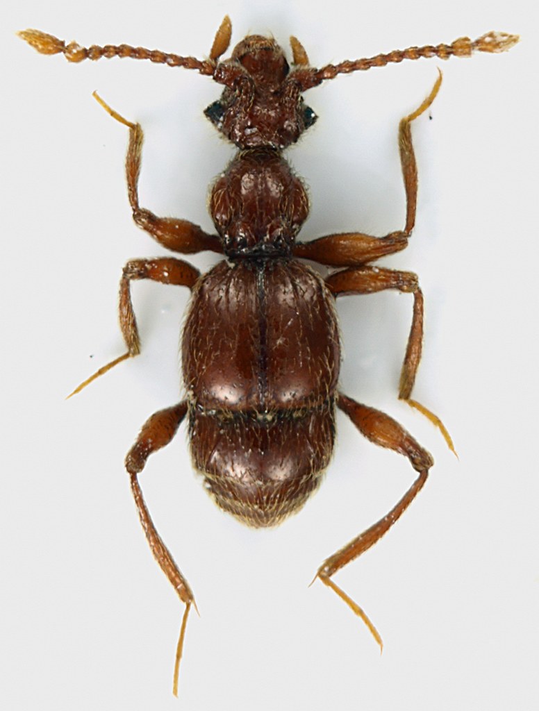
Batrisodes (Batrisodes) oculatus (Aubé, 1833) Dettagli della specie

14.III.2011 - ITALIA - Lazio - RM, Roma, Via di Settebagni


nuovo argomento
rispondi
Pagina 1 di 1 [ 9 messaggi ]
Autore Messaggio
MessaggioInviato: 16/03/2011, 15:52 
Avatar utente

Iscritto il: 30/12/2009, 22:20
Messaggi: 31564
Località: Roma
Nome: Maurizio Gigli
Questo Staphilinidae Pselaphino è la specie più grande che abbia trovato fino ad oggi: circa 2,5 mm in media!
Era in compagnia di altri tre, vaganti sulla corteccia bagnata di un vecchio salice morto ma in piedi, verso mezzogiorno di una giornata piovosa. Fino a poco più di un anno fa non avevo mai raccolto uno Pselafino, ora li trovo pure a vista quando non li cerco! Purtroppo uno dei quattro mi è scappato mentre cercavo di fotografarlo, e oltretutto le foto non sono venute, probabilmente per la scheda di memoria che faceva contatto male (si saranno ossidati i contatti per l'umidità dell'aria in quella giornata pessima).

Lazio, Roma, Via di Settebagni, 14.III.2011, M. Gigli legit

2,45 mm
Pselaphino_Via_di_Settebagni_14-III-2011_2,45mm.jpg



Questa specie sono quasi certo che non sia ancora presente sul Forum, per una caratteristica che la distingue da tutte le altre (oltre alle dimensioni): gli occhi conici, che finiscono a punta verso l'esterno.

_________________
Maurizio Gigli
http://utenti.romascuola.net/bups
http://bup.xoom.it/


Top
profilo
 Oggetto del messaggio: Re: "Pselafone" - Lazio
MessaggioInviato: 16/03/2011, 16:17 
Avatar utente

Iscritto il: 05/02/2009, 17:25
Messaggi: 4894
Località: Zola Predosa (BO)
Nome: Loris Colacurcio
Spettacolare !!! :o :p 2.5 mm ? è davvero immenso...
Deve essere vicino ai Paramaurops (o Amaurops o Batrisodes), è molto molto simile alla bestiola postata da Andrea qualche tempo fa, solo che quella era endogea ed anoftalma, mentre questa ci vede benissimo !

Vedi qui: http://www.dnp.go.th/foremic/entomology ... UMB05.html

Mi raccomando, torna in loco e trova qualche altro esemplare....


:hi:

_________________
Loris


Top
profilo
 Oggetto del messaggio: Re: "Pselafone" - Lazio
MessaggioInviato: 16/03/2011, 16:28 
Avatar utente

Iscritto il: 09/11/2009, 14:12
Messaggi: 5196
Località: Hradec Kralove,Czech republik
Nome: Jan Matějíček
Paramaurops exaratus romanus (Raffray, 1906)


copertina.jpg

p.145.jpg


_________________
Research Fields
Taxonomy, ecology, biomonitoring , faunistic of Staphylinidae
Top
profilo
MessaggioInviato: 16/03/2011, 17:45 
Avatar utente

Iscritto il: 05/02/2009, 17:25
Messaggi: 4894
Località: Zola Predosa (BO)
Nome: Loris Colacurcio
tre fontane...sette bagni...non mi dire che è zona ricca di fonti !! :mrgreen:

_________________
Loris


Top
profilo
 Oggetto del messaggio: Re: "Pselafone" - Lazio
MessaggioInviato: 16/03/2011, 18:19 
Avatar utente

Iscritto il: 31/01/2010, 13:28
Messaggi: 172
Località: Prague, Czech republic
Nome: Adam Šíma
Honza ha scritto:
Paramaurops exaratus romanus (Raffray, 1906)


Honza, why do you think it is Paramaurops and moreover P. exaratus and moremoreover P. e. romanus???????????????

It´s very probably Batrisodes oculatus. Can you see the pointed eyes?


Top
profilo
MessaggioInviato: 16/03/2011, 19:01 
Avatar utente

Iscritto il: 09/11/2009, 14:12
Messaggi: 5196
Località: Hradec Kralove,Czech republik
Nome: Jan Matějíček
my mistake :ses :oops:


Pselaphino_Via_di_Settebagni_14-III-2011_2,45mm.jpg


_________________
Research Fields
Taxonomy, ecology, biomonitoring , faunistic of Staphylinidae
Top
profilo
MessaggioInviato: 16/03/2011, 22:05 
Avatar utente

Iscritto il: 30/12/2009, 22:20
Messaggi: 31564
Località: Roma
Nome: Maurizio Gigli
Thank you very much to all!

Loriscola ha scritto:
Vedi qui: http://www.dnp.go.th/foremic/entomology ... UMB05.html

Mi raccomando, torna in loco e trova qualche altro esemplare....
:hi:

Loris, grazie del link! Bel sito che non conoscevo.

Non ti preoccupare. Su quattro che ne ho visti, tre sono riuscito a prenderli, e senza usare l'aspiratore! Quindi, almeno uno per te c'è. (Gli altri due sono ancora nel barattolo, ma penso siano della stessa specie. Erano a spasso insieme! Che rabbia che le foto non sono state memorizzate! Non capita spesso di vedere degli insetti simili che se ne vanno in giro tranquillamente allo scoperto!

Loriscola ha scritto:
tre fontane...sette bagni...non mi dire che è zona ricca di fonti !! :mrgreen:

In realtà, anche se non molti lo sanno, il Lazio è una delle zone d'Italia più ricche di sorgenti, di varia origine, da quelle idrotermali, a quelle di risorgiva. Alcune stanno anche nell'estrema periferia di Roma, oltre che nella città stessa (queste ultime, però, sono captate, nel migliore dei casi c'è sopra una fontanella). Nella zona di Via di Settebagni, a pochi minuti da casa mia, (Roma Nord) ci sono alcune sorgenti, che originano dei fossi, che finiscono direttamente o indirettamente nel Tevere; purtroppo vengono spesso ripuliti, quindi non c'è molto, e poi passano tra i campi coltivati.
La zona di Tre Fontane è invece dal lato opposto di Roma, lungo la Laurentina (lato Sud della città). Tutto un altro ambiente, ora completamente urbanizzato.

Vedo che quelle citazioni riprese dal volume "Insetti di Roma", che da qualche parte dovrei avere, sono tutte belle vecchiotte! Chissà se dopo il 1941 l'hanno più ritrovato?

_________________
Maurizio Gigli
http://utenti.romascuola.net/bups
http://bup.xoom.it/


Top
profilo
MessaggioInviato: 18/03/2011, 9:15 
Avatar utente

Iscritto il: 05/02/2009, 17:25
Messaggi: 4894
Località: Zola Predosa (BO)
Nome: Loris Colacurcio
:hp: Grazie !!!

Da quel pochissimo che sono riuscito a scoprire sembrano bestiole in qualche modo legate alle formiche.....se ci ricapiti prova a guardare se l'albero racchiude un qualche formicaio.
Hai ragione è un peccato per le foto :( non è cosa da tutti i giorni poter vedere uno di questi piccolini in natura .

Per il sito, in realtà dovrei essere io a ringraziarti...neanche io lo conoscevo e l'ho scoperto cercando un'immagine di un Paramaurops da confrontare con la tua bestiola :oops: Guardandoci un po', hai notato che bestie meravigliose che ci sono ? :lov3:

:hi:

_________________
Loris


Top
profilo
MessaggioInviato: 18/03/2011, 21:00 
Avatar utente

Iscritto il: 30/12/2009, 22:20
Messaggi: 31564
Località: Roma
Nome: Maurizio Gigli
Loriscola ha scritto:
:hp: Grazie !!!

Da quel pochissimo che sono riuscito a scoprire sembrano bestiole in qualche modo legate alle formiche.....se ci ricapiti prova a guardare se l'albero racchiude un qualche formicaio.
Hai ragione è un peccato per le foto :( non è cosa da tutti i giorni poter vedere uno di questi piccolini in natura .

Per il sito, in realtà dovrei essere io a ringraziarti...neanche io lo conoscevo e l'ho scoperto cercando un'immagine di un Paramaurops da confrontare con la tua bestiola :oops: Guardandoci un po', hai notato che bestie meravigliose che ci sono ? :lov3:

:hi:

C'erano sicuramente delle formiche che si aggiravano su quel tronco, e spaccando un pezzo di un'altra parte (si biforca quasi alla base) ho visto che nelle vecchie gallerie degli xilofagi c'era un formicaio, ma non mi chiedere quale specie, perchè di formiche non so quasi nulla.

Tornando al sito tailandese, le foto non sono sensazionali (salvo alcune). In buona parte sono circa al livello delle mie, ovvero scarsette. Però le specie sono molto belle, ed è interessante che una fauna così lontana geograficamente dalla nostra presenti specie così simili alle nostre.

_________________
Maurizio Gigli
http://utenti.romascuola.net/bups
http://bup.xoom.it/


Top
profilo
Visualizza ultimi messaggi:  Ordina per  
nuovo argomento
rispondi
Pagina 1 di 1 [ 9 messaggi ]

Tutti gli orari sono UTC + 1 ora [ ora legale ]


Chi c’è in linea

Visitano il forum: Nessuno e 1 ospite


Non puoi aprire nuovi argomenti
Non puoi rispondere negli argomenti
Non puoi modificare i tuoi messaggi
Non puoi cancellare i tuoi messaggi
Non puoi inviare allegati

Cerca per:
Vai a:  
cron