Benvenuto Ospite

Forum Entomologi Italiani

www.entomologiitaliani.net/forum
 
Oggi è 22/03/2026, 20:58

Tutti gli orari sono UTC + 1 ora [ ora legale ]

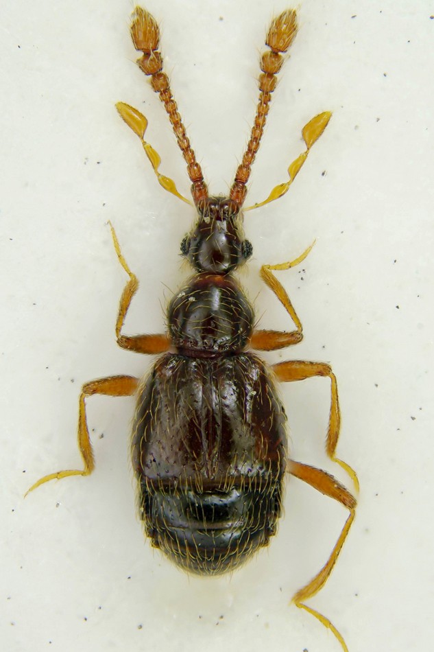
Tychus sp. - Staphylinidae Pselaphinae

27.III.2011 - ITALIA - Toscana - FI, P.sso di Canda (FI), 850m, leg. A. Degiovanni


nuovo argomento
rispondi
Pagina 1 di 1 [ 3 messaggi ]
Autore Messaggio
MessaggioInviato: 29/03/2011, 14:31 
Avatar utente

Iscritto il: 06/02/2009, 9:03
Messaggi: 6379
Località: Bubano di Mordano (Bologna)
Nome: Augusto Degiovanni
Alcune catture di Domenica scorsa.

Lunghezza:1,32 mm

tn_Pselafidae 4pg.jpg


_________________
CIAO :hi: Augusto Degiovanni

http://anthicidaeecarabidae.altervista.org


Top
profilo
 Oggetto del messaggio: Re: Pselafidae 4
MessaggioInviato: 29/03/2011, 14:42 
Avatar utente

Iscritto il: 05/02/2009, 17:25
Messaggi: 4894
Località: Zola Predosa (BO)
Nome: Loris Colacurcio
Pensavo ad un Tychus sp.
:hi:

_________________
Loris


Top
profilo
 Oggetto del messaggio: Re: Pselafidae 4
MessaggioInviato: 29/03/2011, 15:21 
Avatar utente

Iscritto il: 31/01/2010, 13:28
Messaggi: 172
Località: Prague, Czech republic
Nome: Adam Šíma
Yes, Tychus sp. :hi:


Top
profilo
Visualizza ultimi messaggi:  Ordina per  
nuovo argomento
rispondi
Pagina 1 di 1 [ 3 messaggi ]

Tutti gli orari sono UTC + 1 ora [ ora legale ]


Chi c’è in linea

Visitano il forum: Nessuno e 2 ospiti


Non puoi aprire nuovi argomenti
Non puoi rispondere negli argomenti
Non puoi modificare i tuoi messaggi
Non puoi cancellare i tuoi messaggi
Non puoi inviare allegati

Cerca per:
Vai a: