Benvenuto Ospite

Forum Entomologi Italiani

www.entomologiitaliani.net/forum
 
Oggi è 23/03/2026, 19:18

Tutti gli orari sono UTC + 1 ora [ ora legale ]

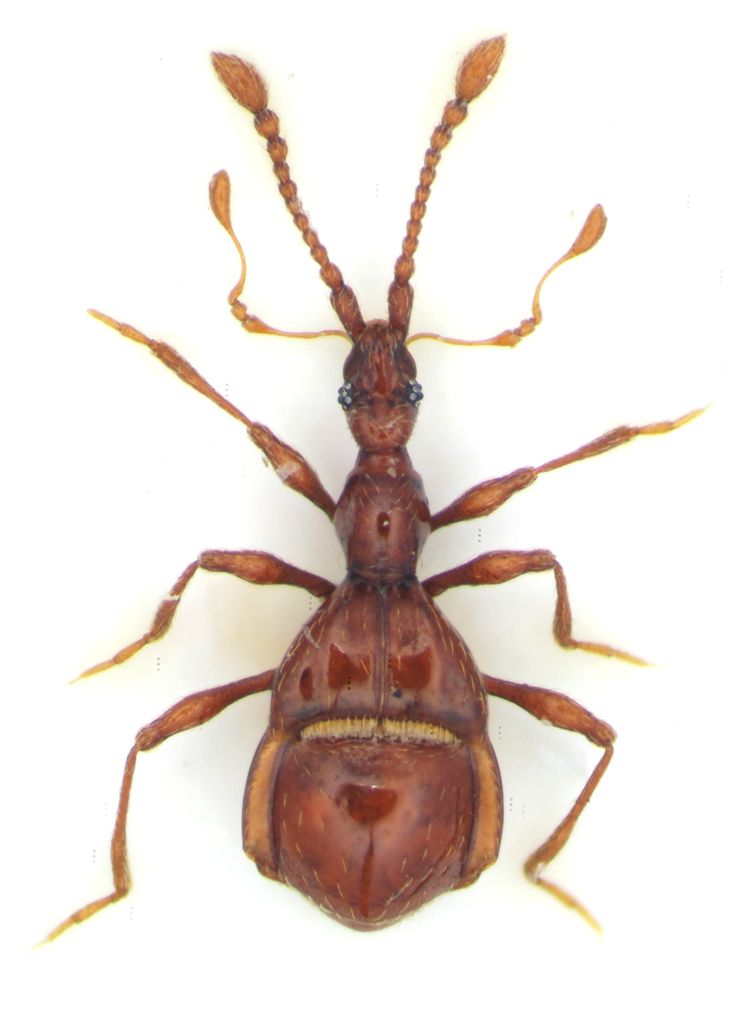
Pselaphogenius carusoi (Sabella, 1992) cf. Dettagli della specie

18.III.2008 - ITALIA - Sicilia - PA, Bosco di Ficuzza, quota m 850


nuovo argomento
rispondi
Pagina 1 di 1 [ 8 messaggi ]
Autore Messaggio
MessaggioInviato: 31/03/2011, 15:29 
Avatar utente

Iscritto il: 18/02/2009, 0:24
Messaggi: 3909
Località: Asciano (Siena)
Nome: Andrea Petrioli
Lo so che la foto non è all'altezza di quella di Augusto, ma il soggetto credo appartenga allo stesso genere :D

Non avendo bibliografia aggiornata, azzardo Pselaphogenius cf carusoi Sabella 1992 che dovrebbe essere un endemismo delle Madonie.

Ora, considerando che i Carabidi endogei delle Madonie appartengono a specie differenti rispetto ai congenerici presenti a Ficuzza, credo che il cf, nell'attribuzione della specie, sia doveroso ;)

Lunghezza: 1,7 mm

Raccolto mediante vagliatura di suolo sotto pietra infossata in ambiente boschivo.

sc1rid.jpg


_________________
:hi:
______
Andrea


Top
profilo
MessaggioInviato: 31/03/2011, 15:47 
Avatar utente

Iscritto il: 05/02/2009, 17:25
Messaggi: 4894
Località: Zola Predosa (BO)
Nome: Loris Colacurcio
Altra bellisiima bestiola :lol1:
Dal "di sopra" non riesco ancora a cogliere al primo colpo le differenze con i più comuni Pselaphus.....se hai tempo e soprattutto voglia, potresti fare anche una foto del capo in visione laterale ? :oops:

Qui ci sono le pagine del "Fauna di Francia" in cui vengono evidenziate chiaramente le differenze dei tre generi simili...

:hi:

_________________
Loris


Top
profilo
MessaggioInviato: 31/03/2011, 20:28 
Avatar utente

Iscritto il: 06/02/2009, 9:03
Messaggi: 6379
Località: Bubano di Mordano (Bologna)
Nome: Augusto Degiovanni
Andrea ma se hai fatto un miglioramento della Ma.....a, dai che vai bene, queste sono ottime, manca un pelo di fuoco in più e sono OK :ok: :ok:

Per il soggetto secondo me è un poco diverso dal mio sembrerebbe un'altra specie o ssp. :roll:

_________________
CIAO :hi: Augusto Degiovanni

http://anthicidaeecarabidae.altervista.org


Top
profilo
MessaggioInviato: 31/03/2011, 23:36 
Avatar utente

Iscritto il: 18/02/2009, 0:24
Messaggi: 3909
Località: Asciano (Siena)
Nome: Andrea Petrioli
Ciao Loris,

spero che le immagini siano sufficienti :) , in caso contrario dimmi quali dettagli devo cercare :D

dettrid.jpg



latrid.jpg




Notoxus59 ha scritto:
Per il soggetto secondo me è un poco diverso dal mio sembrerebbe un'altra specie o ssp.


....visto che è siciliano, lo credo anche io 8-) 8-) 8-) :lov2:

_________________
:hi:
______
Andrea


Top
profilo
MessaggioInviato: 01/04/2011, 6:33 
Avatar utente

Iscritto il: 09/11/2009, 14:12
Messaggi: 5196
Località: Hradec Kralove,Czech republik
Nome: Jan Matějíček
Faune de France


img081.jpg

img080.jpg

img079.jpg

img078.jpg


_________________
Research Fields
Taxonomy, ecology, biomonitoring , faunistic of Staphylinidae
Top
profilo
MessaggioInviato: 01/04/2011, 6:45 
Avatar utente

Iscritto il: 09/11/2009, 14:12
Messaggi: 5196
Località: Hradec Kralove,Czech republik
Nome: Jan Matějíček
Pselaphogenius Sicilia (Pselaphogenius carusoi sp.n.)

http://www.edizionidanaus.com/pdf/ENTOM ... fiorii.pdf

_________________
Research Fields
Taxonomy, ecology, biomonitoring , faunistic of Staphylinidae


Top
profilo
MessaggioInviato: 01/04/2011, 8:02 
Avatar utente

Iscritto il: 05/02/2009, 17:25
Messaggi: 4894
Località: Zola Predosa (BO)
Nome: Loris Colacurcio
....io di ommatidi ne conto 8, e voi ? Forse è proprio il carusoi :oops:

:hi:

_________________
Loris


Top
profilo
MessaggioInviato: 01/04/2011, 15:08 
Avatar utente

Iscritto il: 18/02/2009, 0:24
Messaggi: 3909
Località: Asciano (Siena)
Nome: Andrea Petrioli
Loriscola ha scritto:
....io di ommatidi ne conto 8, e voi ? Forse è proprio il carusoi :oops:

:hi:


Confermo che il numero di ommatidi è 8 per l'occhio di sx e 7 per quello di dx (...se non ho contato male :D :D :D ).

_________________
:hi:
______
Andrea


Top
profilo
Visualizza ultimi messaggi:  Ordina per  
nuovo argomento
rispondi
Pagina 1 di 1 [ 8 messaggi ]

Tutti gli orari sono UTC + 1 ora [ ora legale ]


Chi c’è in linea

Visitano il forum: Nessuno e 2 ospiti


Non puoi aprire nuovi argomenti
Non puoi rispondere negli argomenti
Non puoi modificare i tuoi messaggi
Non puoi cancellare i tuoi messaggi
Non puoi inviare allegati

Cerca per:
Vai a: