Benvenuto Ospite

Forum Entomologi Italiani

www.entomologiitaliani.net/forum
 
Oggi è 09/05/2026, 10:54

Tutti gli orari sono UTC + 1 ora [ ora legale ]

Pselaphus parvus Karaman, 1940 Dettagli della specie

2.IV.2012 - ITALIA - Lazio - RM, Lido di Maccarese, Foce dell'Arrone


nuovo argomento
rispondi
Pagina 1 di 1 [ 8 messaggi ]
Autore Messaggio
MessaggioInviato: 02/04/2012, 23:08 
Avatar utente

Iscritto il: 30/12/2009, 22:20
Messaggi: 31564
Località: Roma
Nome: Maurizio Gigli
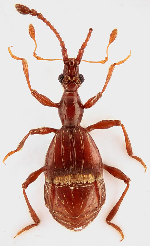
Pselaphostomus stussineri stussineri (Saulcy, 1881)

La specie credo sia questa, ma gradirei una conferma.

Trovato oggi sotto un pezzo di legno a pochi cm dall'acqua in questo posto. Dovrebbe essere la stessa specie che mi è volata via col vento mentre cercavo di metterla nel barattolo la settimana scorsa, se non addirittura lo stesso esemplare!

Lazio, Roma, Maccarese, Foce dell'Arrone, 2.IV.2012, M. Gigli legit

2,3 mm
Pselaphostomus_Maccarese_2-IV-2012_2,3mm_grey.jpg


_________________
Maurizio Gigli
http://utenti.romascuola.net/bups
http://bup.xoom.it/


Top
profilo
MessaggioInviato: 02/04/2012, 23:18 
Avatar utente

Iscritto il: 08/07/2010, 10:53
Messaggi: 3171
Località: Matera
Nome: Domenico Cardinale
Maurizio che bella foto per essere un microbo di 2mm!!! :ok: :ok: A quanti ingrandimenti eri?

_________________
Saluti :hi: Mimmo


Top
profilo
MessaggioInviato: 02/04/2012, 23:40 
Avatar utente

Iscritto il: 30/12/2009, 22:20
Messaggi: 31564
Località: Roma
Nome: Maurizio Gigli
Ho usato il 10x col soffietto accorciato al massimo, quindi penso intorno a 7,5 - 8 x, altrimenti non entrava nel fotogramma. Anche così, c'è stato qualche problema, perchè le antenne e i tarsi posteriori restano confusi, a causa dell'obiettivo, che al margine perde molto in qualità.

Avrei fatto meglio ad usare il 5x, che però è meno nitido.

_________________
Maurizio Gigli
http://utenti.romascuola.net/bups
http://bup.xoom.it/


Top
profilo
MessaggioInviato: 03/04/2012, 8:08 
Avatar utente

Iscritto il: 05/02/2009, 17:25
Messaggi: 4894
Località: Zola Predosa (BO)
Nome: Loris Colacurcio
Premetto che con Pselaphus, Pselaphostomus, Pselaphaulax e compagnia bella mi sono già ingarbugliato più d'una volta :oops: , ma.......più lo guardo e più mi ricorda un Pselaphus parvus.

Quelle strane "sopraciglia" ...ovvero le due zone tondeggianti proprio a ridosso degli occhi, le ho osservate solo sul genere Pselaphus ed anche la forma allungata dell'ultimo articolo antennale, privo di solchi o altre particolarità....beh, continuano a suggerirmi Pselaphus.

Prova a guardare i vari Pselaphostomus già presenti sul forum.....e dimmi che ne pensi. Come detto, potrei aver appena enunciato una serie infinita di cavolate ;)

:hi:

_________________
Loris


Top
profilo
MessaggioInviato: 03/04/2012, 22:34 
Avatar utente

Iscritto il: 30/12/2009, 22:20
Messaggi: 31564
Località: Roma
Nome: Maurizio Gigli
Loriscola ha scritto:
Premetto che con Pselaphus, Pselaphostomus, Pselaphaulax e compagnia bella mi sono già ingarbugliato più d'una volta :oops: , ma.......più lo guardo e più mi ricorda un Pselaphus parvus.

Quelle strane "sopraciglia" ...ovvero le due zone tondeggianti proprio a ridosso degli occhi, le ho osservate solo sul genere Pselaphus ed anche la forma allungata dell'ultimo articolo antennale, privo di solchi o altre particolarità....beh, continuano a suggerirmi Pselaphus.

Prova a guardare i vari Pselaphostomus già presenti sul forum.....e dimmi che ne pensi. Come detto, potrei aver appena enunciato una serie infinita di cavolate ;)

:hi:

Mi sa che hai ragione!

_________________
Maurizio Gigli
http://utenti.romascuola.net/bups
http://bup.xoom.it/


Top
profilo
MessaggioInviato: 04/04/2012, 8:13 
Avatar utente

Iscritto il: 05/02/2009, 17:25
Messaggi: 4894
Località: Zola Predosa (BO)
Nome: Loris Colacurcio
...ultimo, ma non meno importante il fatto che gli unici pselaphostomus che ho trovato ed i pochissimi di cui ho saputo qualche cosa, sono stati raccolti sempre sotto pietre profondamente interrate...insomma in ambienti più da endogei ;)

:hi:

_________________
Loris


Top
profilo
MessaggioInviato: 04/04/2012, 21:20 
Avatar utente

Iscritto il: 30/12/2009, 22:20
Messaggi: 31564
Località: Roma
Nome: Maurizio Gigli
Vorrà dire che la prossima spesa sarà una ruspa. :D

_________________
Maurizio Gigli
http://utenti.romascuola.net/bups
http://bup.xoom.it/


Top
profilo
MessaggioInviato: 08/04/2012, 8:29 
Avatar utente

Iscritto il: 30/12/2009, 22:20
Messaggi: 31564
Località: Roma
Nome: Maurizio Gigli
Controllando, mi sono accorto che praticamente non ci sono differenze tra questo esemplare e quello inviato da te e determinato come Pselaphus heisei parvus Karaman, 1940, se non quelle prodotte dal diverso tipo di illuminazione, più diffusa nella mia foto. Quindi, fino a prova contraria, doverebbero essere conspecifici come avevi ipotizzato, considerando anche che in Italia non sono citate altre specie del genere Pselaphus. E che l'unico Pselaphostomus che dovrebbe essere presente in Centro Italia, P. stussineri, mi sembra diverso per palpi, testa e conformazione delle elitre.
Mi rimane un unico dubbio legato alla forma della testa, che nel mio esemplare sembra diversa da quella del tuo. La metà anteriore, ovvero tutta la parte avanti agli occhi, nel mio esemplare semprerebbe più larga e soprattutto più lunga (oltre metà della lunghezza totale della testa) rispetto a quella del tuo. Però potrebbe pure essere una differenza sessuale, o variabilità individuale, o magari dipendere solo dalla diversa inquadratura della foto. :roll:

Se dovesse servire, posso mandare un particolare della testa a maggiore ingrandimento.

_________________
Maurizio Gigli
http://utenti.romascuola.net/bups
http://bup.xoom.it/


Top
profilo
Visualizza ultimi messaggi:  Ordina per  
nuovo argomento
rispondi
Pagina 1 di 1 [ 8 messaggi ]

Tutti gli orari sono UTC + 1 ora [ ora legale ]


Chi c’è in linea

Visitano il forum: Nessuno e 1 ospite


Non puoi aprire nuovi argomenti
Non puoi rispondere negli argomenti
Non puoi modificare i tuoi messaggi
Non puoi cancellare i tuoi messaggi
Non puoi inviare allegati

Cerca per:
Vai a: