Benvenuto Ospite

Forum Entomologi Italiani

www.entomologiitaliani.net/forum
 
Oggi è 23/03/2026, 3:12

Tutti gli orari sono UTC + 1 ora [ ora legale ]

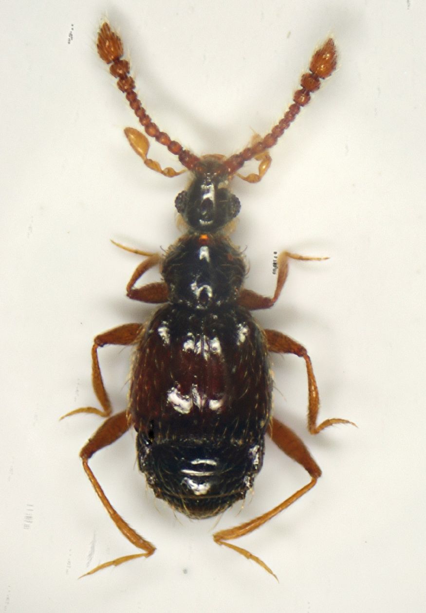
Tychus dalmatinus Reitter, 1884 Dettagli della specie

4.VI.2011 - ITALIA - Friuli-Venezia Giulia - GO, Carso Goriziano - lago Doberdò leg. L. Morin


nuovo argomento
rispondi
Pagina 1 di 1 [ 1 messaggio ]
Autore Messaggio
MessaggioInviato: 23/01/2013, 11:36 
Avatar utente

Iscritto il: 05/02/2009, 17:25
Messaggi: 4894
Località: Zola Predosa (BO)
Nome: Loris Colacurcio
Altra splendido pselaphide donatomi da Lucio.
I Tychus sono bestie strane e molto interessanti, tutt'altro che comuni e difficilmente si riesce a trovarne in numero. Fortunatamente, hano l'edeago molto ben differenziato e (per ora) mi sembrano i più facili da determinare....una volta estratti ;)

Dalle meravigliose antenne e soprattutto dall'edeago (pur con minime differenze), propendo per il Tychus dalmatinus.

Lunghezza: 2 mm. scarsi

Tychus1.JPG


Tychus2.JPG


_________________
Loris


Top
profilo
Visualizza ultimi messaggi:  Ordina per  
nuovo argomento
rispondi
Pagina 1 di 1 [ 1 messaggio ]

Tutti gli orari sono UTC + 1 ora [ ora legale ]


Chi c’è in linea

Visitano il forum: Nessuno e 2 ospiti


Non puoi aprire nuovi argomenti
Non puoi rispondere negli argomenti
Non puoi modificare i tuoi messaggi
Non puoi cancellare i tuoi messaggi
Non puoi inviare allegati

Cerca per:
Vai a: