Benvenuto Ospite

Forum Entomologi Italiani

www.entomologiitaliani.net/forum
 
Oggi è 14/12/2025, 5:38

Tutti gli orari sono UTC + 1 ora [ ora legale ]

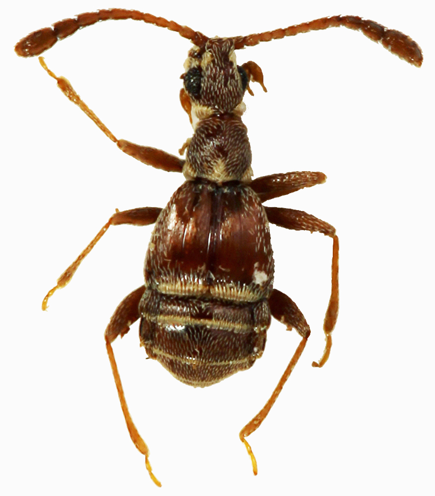
Ctenistes sp. ♀ - Staphylinidae Pselaphinae

XI.2017 - GABON - EE, N.W. Gabon, Mondah Forest, S.Biondi leg.


nuovo argomento
rispondi
Pagina 1 di 1 [ 12 messaggi ]
Autore Messaggio
MessaggioInviato: 11/01/2018, 0:00 
Avatar utente

Iscritto il: 08/02/2010, 23:01
Messaggi: 6179
Località: Vicenza
Nome: Silvano Biondi
fei.jpg


fei2.jpg


2 mm, esemplare unico, alla luce

:hi:

_________________



Silvano


Top
profilo
 Oggetto del messaggio: Re: Pselaphinae - Gabon
MessaggioInviato: 11/01/2018, 10:11 
Avatar utente

Iscritto il: 05/02/2009, 17:25
Messaggi: 4894
Località: Zola Predosa (BO)
Nome: Loris Colacurcio
...splendido pselafide ! :oops:
Ma oltre a dirti che appartiene alla tribù degli Ctenistini...posso fare ben poco :(

:hi:

_________________
Loris


Top
profilo
 Oggetto del messaggio: Re: Pselaphinae - Gabon
MessaggioInviato: 11/01/2018, 10:15 
Avatar utente

Iscritto il: 08/02/2010, 23:01
Messaggi: 6179
Località: Vicenza
Nome: Silvano Biondi
Grazie comunque Loris: è già qualcosa che non sapevo.

:hi:

_________________



Silvano


Top
profilo
 Oggetto del messaggio: Re: Pselaphinae - Gabon
MessaggioInviato: 14/01/2018, 12:40 
Avatar utente

Iscritto il: 08/02/2010, 23:01
Messaggi: 6179
Località: Vicenza
Nome: Silvano Biondi
Alla fine ne sono saltati fuori tre esemplari: è possibile distinguere i sessi dalla morfologia esterna?

:hi:

_________________



Silvano


Top
profilo
 Oggetto del messaggio: Re: Pselaphinae - Gabon
MessaggioInviato: 15/01/2018, 9:37 
Avatar utente

Iscritto il: 05/02/2009, 17:25
Messaggi: 4894
Località: Zola Predosa (BO)
Nome: Loris Colacurcio
Il dimorfismo sessuale dei "nostri" ctenistini e solitamente piuttosto evidente ed il maschio presenta delle antenne con articoli molto più allungati e squadrati, specie gli ultimi articoli (vedi la coppia di Ctenistes palpalis sul forum):

viewtopic.php?f=345&t=16505&hilit=ctenistes

...per la fauna del Gabon, ovviamente non ho alcuna certezza :oops: . Se la regola nazionale è accettata anche dai colleghi africani, mi verrebbe da dire che l'esemplare da te fotografato, potrebbe essere una femmina :mrgreen:

_________________
Loris


Top
profilo
 Oggetto del messaggio: Re: Pselaphinae - Gabon
MessaggioInviato: 17/01/2018, 19:01 
Avatar utente

Iscritto il: 08/02/2010, 23:01
Messaggi: 6179
Località: Vicenza
Nome: Silvano Biondi
Grazie Loris. Mi pare che i miei tre esemplari abbiano le antenne molto simili tra loro. Te li porterò a Modena.

:hi:

_________________



Silvano


Top
profilo
 Oggetto del messaggio: Re: Pselaphinae - Gabon
MessaggioInviato: 17/01/2018, 19:12 
Avatar utente

Iscritto il: 30/12/2009, 22:20
Messaggi: 31564
Località: Roma
Nome: Maurizio Gigli
Non ne capisco niente, ma forse potrebbe essere utile prepararne uno coi palpi ben visibili, dal momento che sembrerebbero abbastanza particolari

_________________
Maurizio Gigli
http://utenti.romascuola.net/bups
http://bup.xoom.it/


Top
profilo
 Oggetto del messaggio: Re: Pselaphinae - Gabon
MessaggioInviato: 17/01/2018, 19:24 
Avatar utente

Iscritto il: 08/02/2010, 23:01
Messaggi: 6179
Località: Vicenza
Nome: Silvano Biondi
Hai ragione Maurizio. Tra l'altro quello fotografato è il primo esemplare che ho preparato dei tre raccolti; gli altri due li ho preparati un po' meglio. In ogni caso, ci penserà Loris :lol:

:hi:

_________________



Silvano


Top
profilo
 Oggetto del messaggio: Re: Pselaphinae - Gabon
MessaggioInviato: 17/01/2018, 21:11 
 

Iscritto il: 25/01/2012, 21:39
Messaggi: 496
Località: athens, greece
Nome: Kakiopoulos George
A key of Ctenistini genera from Jeannel (1959 - Révision des Psélaphides de l'Afrique intertropicale), perhaps will be useful:


ctenistini 2.jpg

ctenistini 1.jpg

Top
profilo
 Oggetto del messaggio: Re: Pselaphinae - Gabon
MessaggioInviato: 18/01/2018, 11:38 
Avatar utente

Iscritto il: 09/11/2009, 14:12
Messaggi: 5164
Località: Hradec Kralove,Czech republik
Nome: Jan Matějíček
È una femmina Ctenistes.

:hi:

_________________
Research Fields
Taxonomy, ecology, biomonitoring , faunistic of Staphylinidae


Top
profilo
 Oggetto del messaggio: Re: Pselaphinae - Gabon
MessaggioInviato: 18/01/2018, 17:21 
Avatar utente

Iscritto il: 08/02/2010, 23:01
Messaggi: 6179
Località: Vicenza
Nome: Silvano Biondi
Grazie Jan

:hi:

_________________



Silvano


Top
profilo
MessaggioInviato: 12/04/2018, 8:49 
Avatar utente

Iscritto il: 08/02/2010, 23:01
Messaggi: 6179
Località: Vicenza
Nome: Silvano Biondi
Come detto, i tre esemplari viaggeranno verso Modena, magari poi ci capiremo qualcosa di più.

:hi:

_________________



Silvano


Top
profilo
Visualizza ultimi messaggi:  Ordina per  
nuovo argomento
rispondi
Pagina 1 di 1 [ 12 messaggi ]

Tutti gli orari sono UTC + 1 ora [ ora legale ]


Chi c’è in linea

Visitano il forum: Nessuno e 1 ospite


Non puoi aprire nuovi argomenti
Non puoi rispondere negli argomenti
Non puoi modificare i tuoi messaggi
Non puoi cancellare i tuoi messaggi
Non puoi inviare allegati

Cerca per:
Vai a:  
cron