Benvenuto Ospite

Forum Entomologi Italiani

www.entomologiitaliani.net/forum
 
Oggi è 30/01/2026, 12:53

Tutti gli orari sono UTC + 1 ora [ ora legale ]

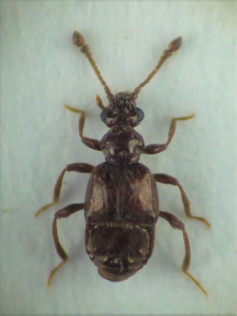
Brachygluta (Brachygluta) sardoa (Saulcy, 1876) Dettagli della specie

4.VII.2016 - ITALIA - Sardegna - CI, Saline di Calasetta


nuovo argomento
rispondi
Pagina 1 di 1 [ 4 messaggi ]
Autore Messaggio
MessaggioInviato: 07/05/2017, 22:53 
Avatar utente

Iscritto il: 21/02/2011, 15:25
Messaggi: 3879
Località: Montecchio Emilia (RE)
Nome: Violi Michele
Tutti gli esemplari che ho raccolto in una sola occasione in Sardegna l'anno scorso dovrebbero appartenere a questa specie, visto che gli edeagi assomigliano molto al disegno di Jan qui.
Ne ho presi una decina con la luce UV nelle saline di Calasetta, Sant'Antioco, ma non era facile scorgerli tra la moltitudine di Bledius :sick:
Si può confermare?

CalasettaSaline4.7.16 (1).JPG


CalasettaSaline4.7.16 (2).JPG


_________________
Michele :D


Top
profilo
MessaggioInviato: 08/05/2017, 8:16 
Avatar utente

Iscritto il: 05/02/2009, 17:25
Messaggi: 4894
Località: Zola Predosa (BO)
Nome: Loris Colacurcio
Direi proprio che ci hai preso :ok:

_________________
Loris


Top
profilo
MessaggioInviato: 08/05/2017, 8:18 
Avatar utente

Iscritto il: 09/11/2009, 14:12
Messaggi: 5189
Località: Hradec Kralove,Czech republik
Nome: Jan Matějíček
Brachygluta (Brachygluta) sardoa (Saulcy, 1876) :ok:


CalasettaSaline4.7.16 %282%29.JPG


_________________
Research Fields
Taxonomy, ecology, biomonitoring , faunistic of Staphylinidae
Top
profilo
MessaggioInviato: 08/05/2017, 14:28 
Avatar utente

Iscritto il: 21/02/2011, 15:25
Messaggi: 3879
Località: Montecchio Emilia (RE)
Nome: Violi Michele
Bene :hp: se vi serve una coppietta fate un fischio.

_________________
Michele :D


Top
profilo
Visualizza ultimi messaggi:  Ordina per  
nuovo argomento
rispondi
Pagina 1 di 1 [ 4 messaggi ]

Tutti gli orari sono UTC + 1 ora [ ora legale ]


Chi c’è in linea

Visitano il forum: Nessuno e 1 ospite


Non puoi aprire nuovi argomenti
Non puoi rispondere negli argomenti
Non puoi modificare i tuoi messaggi
Non puoi cancellare i tuoi messaggi
Non puoi inviare allegati

Cerca per:
Vai a: