Benvenuto Ospite

Forum Entomologi Italiani

www.entomologiitaliani.net/forum
 
Oggi è 23/03/2026, 13:40

Tutti gli orari sono UTC + 1 ora [ ora legale ]

Chevrolatia egregia Reitter, 1881 (Scydmaenidae)



nuovo argomento
rispondi
Pagina 1 di 1 [ 3 messaggi ]
Autore Messaggio
MessaggioInviato: 19/08/2009, 11:22 
Avatar utente

Iscritto il: 06/02/2009, 9:14
Messaggi: 91
Nome: Alessandro Molinu
:pc:
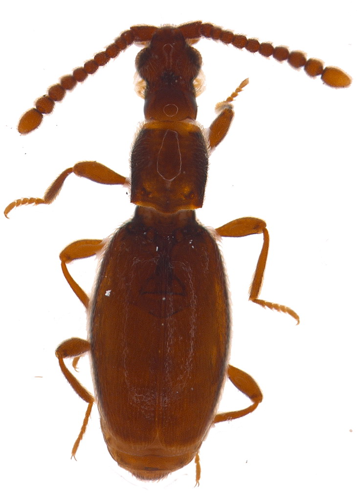
Trappole a caduta, Noce, giugno, 2mm.
Bellissima bestia con capo allungato.
Palpi mascellari ben sviluppati.
Un misto di Silvanidae e Pselaphidae
Chi fa la prima offerta? :no1:
Alessandro


Cole4_Noce1B4_28VI2007_2mm.jpg



Ultima modifica di ESAPODA il 20/08/2009, 12:00, modificato 1 volta in totale.
Top
profilo
 Oggetto del messaggio: Re: Coleottero4
MessaggioInviato: 19/08/2009, 12:24 
Avatar utente

Iscritto il: 05/02/2009, 17:47
Messaggi: 7252
Località: Cagliari
Nome: Piero Leo
Ciao Alessandro!

Chevrolatia egregia Reitter, 1881 (Scydmaenidae)


Top
profilo
 Oggetto del messaggio: Re: Coleottero4
MessaggioInviato: 20/08/2009, 8:50 
Avatar utente

Iscritto il: 06/02/2009, 9:14
Messaggi: 91
Nome: Alessandro Molinu
Tenebrio ha scritto:
Ciao Alessandro!

Chevrolatia egregia Reitter, 1881 (Scydmaenidae)

:to: Grazie Tenebrio!


Top
profilo
Visualizza ultimi messaggi:  Ordina per  
nuovo argomento
rispondi
Pagina 1 di 1 [ 3 messaggi ]

Tutti gli orari sono UTC + 1 ora [ ora legale ]


Chi c’è in linea

Visitano il forum: Nessuno e 1 ospite


Non puoi aprire nuovi argomenti
Non puoi rispondere negli argomenti
Non puoi modificare i tuoi messaggi
Non puoi cancellare i tuoi messaggi
Non puoi inviare allegati

Cerca per:
Vai a: