| Autore |
Messaggio |
|
Julodis
|
Inviato: 03/04/2013, 0:57 |
|
Iscritto il: 30/12/2009, 22:20 Messaggi: 31564 Località: Roma
Nome: Maurizio Gigli
|
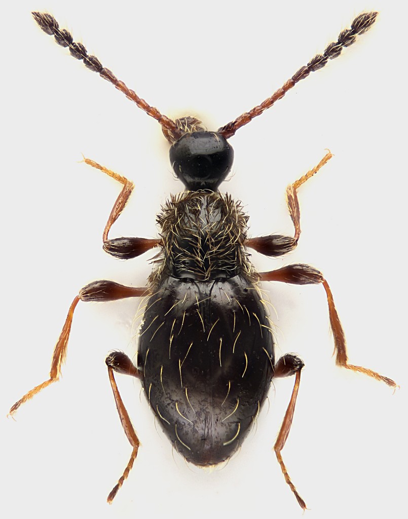
Questo tipo dal collo di pelliccia gironzolava, con alcuni suoi compari, sotto il cerchione arrugginito della ruota di un'automobile, abbandonata sulla sabbia alla foce dell'Arrone. Lazio, Roma, Maccarese, 2.IV.2013, M. Gigli legit 1,4 mm
|
|
| Top |
|
 |
|
Honza
|
Inviato: 03/04/2013, 5:58 |
|
Iscritto il: 09/11/2009, 14:12 Messaggi: 5148 Località: Hradec Kralove,Czech republik
Nome: Jan Matějíček
|
Bella foto Maurizio ! Euconnus hirticollis (Illiger, 1798) cf.
_________________ Research Fields Taxonomy, ecology, biomonitoring , faunistic of Staphylinidae
|
|
| Top |
|
 |
|
Julodis
|
Inviato: 03/04/2013, 7:04 |
|
Iscritto il: 30/12/2009, 22:20 Messaggi: 31564 Località: Roma
Nome: Maurizio Gigli
|
|
Grazie. Purtroppo a questi livelli di ingrandimento non riesco quasi mai ad eliminare due problemi: 1 - i tarsomeri, ed in particolare le unghie, sono sempre poco visibili a causa del bianco dello sfondo (Dovrei incollarli momentaneamente su cartellini grigi o neri!) 2 - la nitidezza dell'immagine diminuisce rapidamente verso i bordi. Per cui gli ultimi antennomeri e le altre parti periferiche sono sempre piuttosto confuse (dovrei trovare un obiettivo migliore!)
|
|
| Top |
|
 |
|
Daniele Sechi
|
Inviato: 03/04/2013, 8:57 |
|
Iscritto il: 04/02/2009, 17:49 Messaggi: 5513 Località: Cagliari
Nome: Daniele Sechi
|
Comunque il risultato finale è ottimo! E anche la preparazione degli esemplari 
_________________  Daniele
|
|
| Top |
|
 |
|
marco paglialunga
|
Inviato: 03/04/2013, 9:07 |
|
Iscritto il: 11/11/2009, 20:54 Messaggi: 4850 Località: Pesaro
Nome: Marco Paglialunga
|
Julodis ha scritto: Grazie. Purtroppo a questi livelli di ingrandimento non riesco quasi mai ad eliminare due problemi: 1 - i tarsomeri, ed in particolare le unghie, sono sempre poco visibili a causa del bianco dello sfondo (Dovrei incollarli momentaneamente su cartellini grigi o neri!) 2 - la nitidezza dell'immagine diminuisce rapidamente verso i bordi. Per cui gli ultimi antennomeri e le altre parti periferiche sono sempre piuttosto confuse (dovrei trovare un obiettivo migliore!) Abbi pietà! Da una parte è frustrante sentire queste lamentele su certe vostre foto per noi fotografi da strapazzo!! Dall'altra è appagante pensare che potreste ancora fare di meglio 
_________________ O voi ch'avete li 'ntelletti sani, mirate la dottrina che s'asconde sotto 'l velame de li versi strani (InfeRRno - canto IX - vv. 61-63)
|
|
| Top |
|
 |
|
Julodis
|
Inviato: 03/04/2013, 22:15 |
|
Iscritto il: 30/12/2009, 22:20 Messaggi: 31564 Località: Roma
Nome: Maurizio Gigli
|
|
Per me è frustrante quando ti trovi una foto in cui sul dorso si vede ogni minima microscultura della cuticola (che in quelle ridotte per il Forum di solito non si vede), e quando ti sposti nelle zone periferiche diventa tutto confuso! Mi succede un po' con tutti gli obiettivi da microscopio, con alcuni di più, con altri meno. Per cui quando vado oltre il 5x mi trovo sempre con questo problema (riducendo l'immagine per il Forum si nota meno). Tempo fa ho anche provato una foto intorno a 20-30x, con una serie di abbinamenti di obiettivi, perchè non ho un 20x utilizzabile, con risultati indecenti (stavo cercano di fotografare i recettori IR di una Melanophila cuspidata). Alla fine mi sono arreso, pensando che oltre un certo limite è meglio lasciar fare al microscopio a scansione (per ora ...).
|
|
| Top |
|
 |
|
Gianfranco
|
Inviato: 04/04/2013, 0:16 |
|
Iscritto il: 21/09/2009, 9:34 Messaggi: 1535 Località: Padova
Nome: Gianfranco Salvato
|
Julodis ha scritto: Grazie. Purtroppo a questi livelli di ingrandimento non riesco quasi mai ad eliminare due problemi: 1 - i tarsomeri, ed in particolare le unghie, sono sempre poco visibili a causa del bianco dello sfondo (Dovrei incollarli momentaneamente su cartellini grigi o neri!) 2 - la nitidezza dell'immagine diminuisce rapidamente verso i bordi. Per cui gli ultimi antennomeri e le altre parti periferiche sono sempre piuttosto confuse (dovrei trovare un obiettivo migliore!) Ah fanatico!!! Vuoi fare l'entomologo o vincere l'oscar per la fotografia? Fai sempre ottime foto! Congratulazioni (ma volendo avresti potuto pettinargli meglio i peli del torace  ). Ciao Gianfranco
|
|
| Top |
|
 |
|
Julodis
|
Inviato: 04/04/2013, 0:27 |
|
Iscritto il: 30/12/2009, 22:20 Messaggi: 31564 Località: Roma
Nome: Maurizio Gigli
|
Gianfranco ha scritto: volendo avresti potuto pettinargli meglio i peli del torace  ). Ciao Gianfranco Pure! Hai idea della fatica che ho fatto per levargli il velo di colla che per capillarità era risalita sul dorso impastando tutti i peli del pronoto e delle elitre?
|
|
| Top |
|
 |
|