Benvenuto Ospite

Forum Entomologi Italiani

www.entomologiitaliani.net/forum
 
Oggi è 23/03/2026, 11:30

Tutti gli orari sono UTC + 1 ora [ ora legale ]

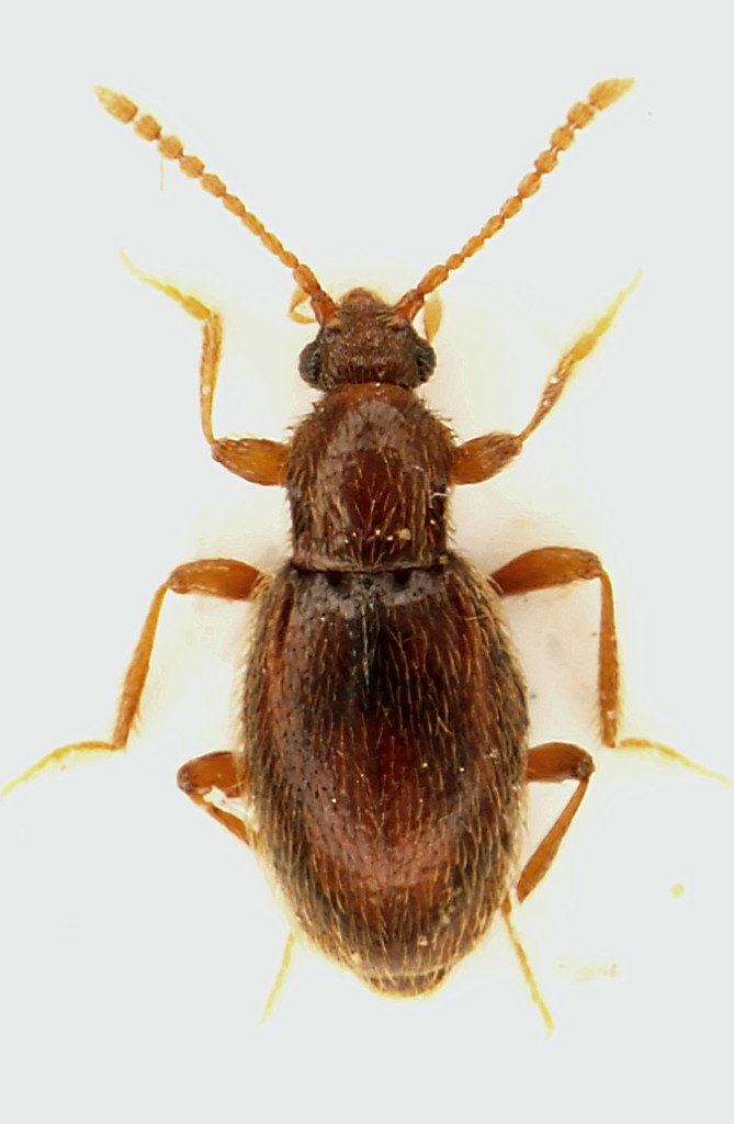
Scydmoraphes sp. - Staphylinidae Scydmaeninae

29.VII.2010 - ITALIA - Lazio - FR, Fiumata, 1200 m


nuovo argomento
rispondi
Pagina 1 di 1 [ 8 messaggi ]
Autore Messaggio
MessaggioInviato: 04/08/2010, 9:42 
Avatar utente

Iscritto il: 30/12/2009, 22:20
Messaggi: 31564
Località: Roma
Nome: Maurizio Gigli
Anche se questo non è propriamente il periodo di raccolta per queste bestioline dei muschi:

Lazio, Frosinone, Fiumata, 1200 m, nei muschi presso un ruscello, 29.VII.2010, Gigli legit
1,5 mm

Scydmaenidae_Fiumata_29-VII-2010.jpg



Brutta foto, ma siamo al limite concesso dallo stativo.

_________________
Maurizio Gigli
http://utenti.romascuola.net/bups
http://bup.xoom.it/


Top
profilo
 Oggetto del messaggio: Re: Scydmaenidae - Lazio
MessaggioInviato: 04/08/2010, 12:43 
Avatar utente

Iscritto il: 31/01/2010, 13:28
Messaggi: 172
Località: Prague, Czech republic
Nome: Adam Šíma
Hello, Maurizio!

Some Neuraphini. I cannot see if the horizontal groove in basal part of pronotum is in middle line divided by a keel (is this a right word? :? )
If yes = Neuraphes (and in this case s. g. Pararaphes and probably unfortunately female)
If not = Scydmoraphes


Top
profilo
 Oggetto del messaggio: Re: Scydmaenidae - Lazio
MessaggioInviato: 08/08/2010, 18:33 
Avatar utente

Iscritto il: 30/12/2009, 22:20
Messaggi: 31564
Località: Roma
Nome: Maurizio Gigli
This is a photo of the protorax.
Perhaps you can undestand something more using this one:

Scydmaenidae_Fiumata_29-VII-2010_testa-protorace.jpg


_________________
Maurizio Gigli
http://utenti.romascuola.net/bups
http://bup.xoom.it/


Top
profilo
 Oggetto del messaggio: Re: Scydmaenidae - Lazio
MessaggioInviato: 09/08/2010, 0:41 
Avatar utente

Iscritto il: 05/02/2009, 17:28
Messaggi: 3228
Nome: Marco Uliana
Io voto per Scydmoraphes, una specie ampiamente diffusa con questo habiuts è Scydmoraphes geticus, ovviamente si tratta solo di una indicazione...


Top
profilo
 Oggetto del messaggio: Re: Scydmaenidae - Lazio
MessaggioInviato: 09/08/2010, 7:52 
Avatar utente

Iscritto il: 30/12/2009, 22:20
Messaggi: 31564
Località: Roma
Nome: Maurizio Gigli
Glaphyrus ha scritto:
Io voto per Scydmoraphes, una specie ampiamente diffusa con questo habiuts è Scydmoraphes geticus, ovviamente si tratta solo di una indicazione...

In base a quanto scritto da Adam, anche io penso la stessa cosa, ma ammetto la mia totale ignoranza della sistematica di questo gruppo (ed in generale di tutti gli Staphylinidae o Staphylinoidea che siano).

_________________
Maurizio Gigli
http://utenti.romascuola.net/bups
http://bup.xoom.it/


Top
profilo
 Oggetto del messaggio: Re: Scydmaenidae - Lazio
MessaggioInviato: 09/08/2010, 8:01 
Avatar utente

Iscritto il: 09/11/2009, 14:12
Messaggi: 5196
Località: Hradec Kralove,Czech republik
Nome: Jan Matějíček
:)

http://www.zin.ru/Animalia/coleoptera/p ... enidae.pdf

_________________
Research Fields
Taxonomy, ecology, biomonitoring , faunistic of Staphylinidae


Top
profilo
MessaggioInviato: 30/08/2010, 1:44 
Avatar utente

Iscritto il: 31/01/2010, 13:28
Messaggi: 172
Località: Prague, Czech republic
Nome: Adam Šíma
Yes, it seems to be Scydmoraphes.


Top
profilo
MessaggioInviato: 30/08/2010, 9:37 
Avatar utente

Iscritto il: 30/12/2009, 22:20
Messaggi: 31564
Località: Roma
Nome: Maurizio Gigli
Thank you, Adam.

_________________
Maurizio Gigli
http://utenti.romascuola.net/bups
http://bup.xoom.it/


Top
profilo
Visualizza ultimi messaggi:  Ordina per  
nuovo argomento
rispondi
Pagina 1 di 1 [ 8 messaggi ]

Tutti gli orari sono UTC + 1 ora [ ora legale ]


Chi c’è in linea

Visitano il forum: Nessuno e 1 ospite


Non puoi aprire nuovi argomenti
Non puoi rispondere negli argomenti
Non puoi modificare i tuoi messaggi
Non puoi cancellare i tuoi messaggi
Non puoi inviare allegati

Cerca per:
Vai a: