Benvenuto Ospite

Forum Entomologi Italiani

www.entomologiitaliani.net/forum
 
Oggi è 23/03/2026, 11:32

Tutti gli orari sono UTC + 1 ora [ ora legale ]

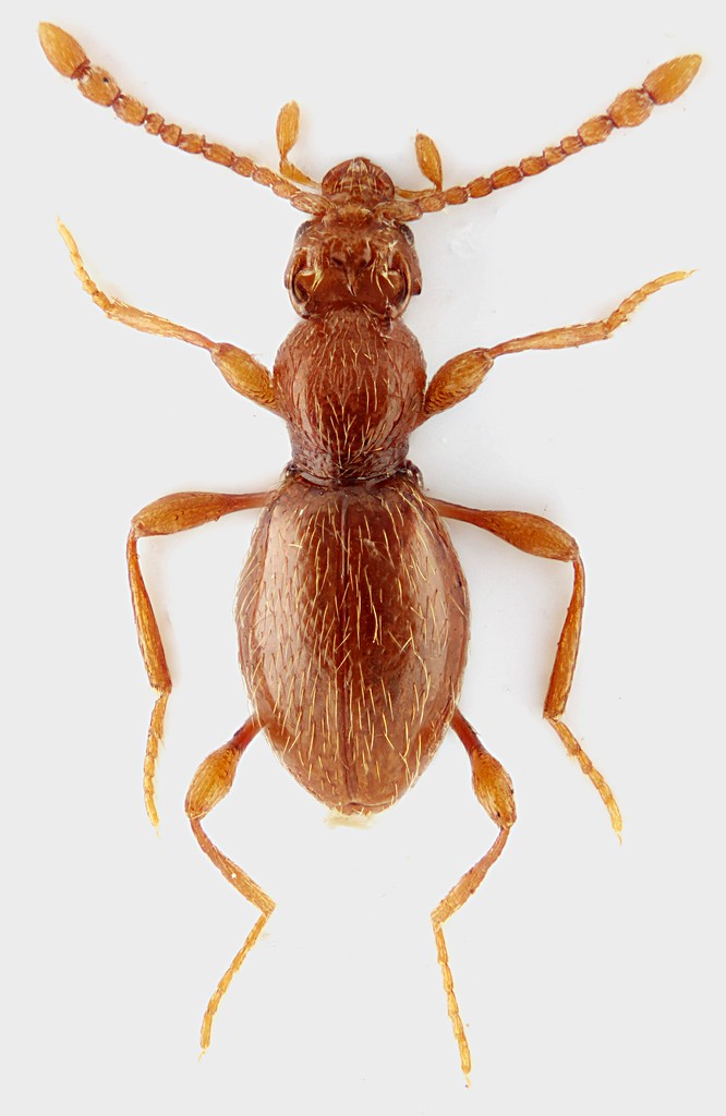
Scydmaenus (Cholerus) cornutus Motschulsky 1845 - Staphylinidae Scydmaeninae - Lazio

12.III.2012 - ITALIA - Lazio - RM, Bosco di Manziana


nuovo argomento
rispondi
Pagina 1 di 1 [ 7 messaggi ]
Autore Messaggio
MessaggioInviato: 14/03/2012, 23:52 
Avatar utente

Iscritto il: 30/12/2009, 22:20
Messaggi: 31564
Località: Roma
Nome: Maurizio Gigli
Questo mi pare diverso dai soliti.
Trovato a vista mentre se ne andava in giro su un tronco umido a terra, tra legno e corteccia.

Lazio, Roma, Bosco di Manziana, 12.III.2012, su tronco di quercia, M. Gigli legit

1,4 mm

La foto in natura è venuta una schifezza ...

Manziana_12-III-2012_Fu046.JPG


... quella all'esemplare preparato, un po' meglio.


Pselaphino_Manziana_12-III-2012_1,4mm_grey.jpg


_________________
Maurizio Gigli
http://utenti.romascuola.net/bups
http://bup.xoom.it/


Top
profilo
MessaggioInviato: 14/03/2012, 23:58 
Avatar utente

Iscritto il: 05/02/2009, 17:47
Messaggi: 7252
Località: Cagliari
Nome: Piero Leo
Maschio di Scydmaenus (Cholerus) cornutus Motschulsky 1845

:) Ciao
Piero


Top
profilo
MessaggioInviato: 15/03/2012, 0:03 
Avatar utente

Iscritto il: 30/12/2009, 22:20
Messaggi: 31564
Località: Roma
Nome: Maurizio Gigli
Ecco perchè mi sembrava strano come Pselaphino! Perchè non lo era!

Mi ha tratto in inganno la testa conformata proprio come in molti generi di Pselafini.

_________________
Maurizio Gigli
http://utenti.romascuola.net/bups
http://bup.xoom.it/


Top
profilo
MessaggioInviato: 15/03/2012, 1:04 
Avatar utente

Iscritto il: 19/06/2011, 12:39
Messaggi: 1355
Nome: Fabio turchetti
A volte capita ancha a me di trovarne alcuni esemplari sotto la corteccia di grossi rami o tronchi di sughera marci a terra, come questo

3/III/2012 Sughereta di Pomezia (RM)


IMG_3066.JPG


_________________
Fabio Turchetti
Top
profilo
MessaggioInviato: 15/03/2012, 1:12 
Avatar utente

Iscritto il: 30/12/2009, 22:20
Messaggi: 31564
Località: Roma
Nome: Maurizio Gigli
Sembrerebbe proprio lui. Mi sembra di vedere che ha una testa "normale", quindi stando a quanto scritto in un'altra discussione su esemplari sardi, dovrebbe essere una femmina.

_________________
Maurizio Gigli
http://utenti.romascuola.net/bups
http://bup.xoom.it/


Top
profilo
MessaggioInviato: 15/03/2012, 1:15 
Avatar utente

Iscritto il: 19/06/2011, 12:39
Messaggi: 1355
Nome: Fabio turchetti
Probabile :D sotto alcool dovrei averne di entrambi i sessi

_________________
Fabio Turchetti


Top
profilo
MessaggioInviato: 15/03/2012, 9:03 
Avatar utente

Iscritto il: 05/02/2009, 17:25
Messaggi: 4894
Località: Zola Predosa (BO)
Nome: Loris Colacurcio
Sembra proprio che questa splendida bestiola sia ben presente e diffusa in tutta Italia....e pensare che non sapevo neanche esistesse, sino ad un paio d'anni fa :oops:

Anche a Bologna ne ho trovati, unicamente sotto corteccia (molto umida), oppure nello sfasciume...sempre di pioppo.

:hi:

_________________
Loris


Top
profilo
Visualizza ultimi messaggi:  Ordina per  
nuovo argomento
rispondi
Pagina 1 di 1 [ 7 messaggi ]

Tutti gli orari sono UTC + 1 ora [ ora legale ]


Chi c’è in linea

Visitano il forum: Nessuno e 1 ospite


Non puoi aprire nuovi argomenti
Non puoi rispondere negli argomenti
Non puoi modificare i tuoi messaggi
Non puoi cancellare i tuoi messaggi
Non puoi inviare allegati

Cerca per:
Vai a: