Forum Entomologi Italiani
https://www.entomologiitaliani.net/public/forum/phpbb3/

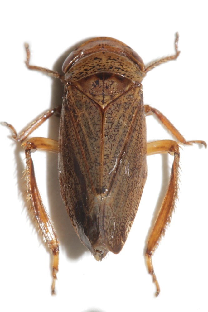
Selenocephalus sp. - Cicadellidae
https://www.entomologiitaliani.net/public/forum/phpbb3/viewtopic.php?f=357&t=10580
Pagina 1 di 1

Autore:  FORBIX [ 13/08/2010, 14:35 ]
Oggetto del messaggio:  Selenocephalus sp. - Cicadellidae

10.VIII.2010 - Capoliveri (LI) - M.te Calamita 300m - Piattino giallo

Dovrebbe trattarsi di due esemplari di sesso diverso della medesima specie (se mi sono sbagliato chiedo scusa).

ESEMPLARE 1
Cicadellidae 1 ID3.JPG

Cicadellidae 1 ID4.JPG

Cicadellidae 1 ID1.JPG



ESEMPLARE 2
Cicadellidae 2 ID6.JPG

Cicadellidae 2 ID5.JPG


Autore:  giuseppe55 [ 13/08/2010, 15:47 ]
Oggetto del messaggio:  Re: Cicadellidae ID - Toscana-Isola d'Elba

Ciao,

il tuo esemplare mi ha incuriosito perchè ne ho uno simile, indeterminato, in collezione.
Nel forum ho trovato questa discussione:

Goniagnathus brevis (Herrich-Schaffer, 1835) - Cicadellidae Deltocephalinae - Sasso Marconi (BO)

http://www.entomologiitaliani.net/public/forum/phpBB3/viewtopic.php?f=20&t=6153

Il mio esemplare è simile, il tuo forse appartiene ad altra specie/genere (vedi stiature longitudinali sul protorace).

Giuseppe

Autore:  halobates [ 13/08/2010, 16:50 ]
Oggetto del messaggio:  Re: Cicadellidae ID - Toscana, Isola d'Elba

;) Esemplare 1 : femmina
Esemplare 2 : maschio

Posso solo dire per adesso che non si tratta di Goniagnathus brevis (Herrich-Schaffer, 1835) come ben ipotizzato da Giuseppe, in attesa di studiarli meglio.

Molto bene Leonardo per le diverse inquadrature che in vista addominale permettono di valutare la zona della faccia delle cicaline che può aiutare per l'ID.

Adesso devo scappare.

:hi:

Autore:  halobates [ 13/08/2010, 21:09 ]
Oggetto del messaggio:  Re: Cicadellidae ID - Toscana, Isola d'Elba

;) Rapida incursione.....in attesa anche di Francesco.

Fam. Cicadellidae; sottofamiglia Deltocephalinae.......e lo studio continua.

Colgo l'occasione per augurare a tutti un Buon Ferragosto.

:hi:

Autore:  FrS [ 21/04/2011, 16:20 ]
Oggetto del messaggio:  Re: Cicadellidae - Deltocephalinae ID? - Toscana, Isola d'Elba

Curiosando qua e là, ho visto questo post... Selenocephalus sp., direi. :D

Saluti
Francesco

Autore:  FORBIX [ 21/04/2011, 17:45 ]
Oggetto del messaggio:  Re: Selenocephalus sp. - Cicadellidae

Grazie Francesco!! :hp: :hp:

Pagina 1 di 1 Tutti gli orari sono UTC + 1 ora [ ora legale ]
Powered by phpBB® Forum Software © phpBB Group
http://www.phpbb.com/