Benvenuto Ospite

Forum Entomologi Italiani

www.entomologiitaliani.net/forum
 
Oggi è 27/12/2025, 18:50

Tutti gli orari sono UTC + 1 ora [ ora legale ]

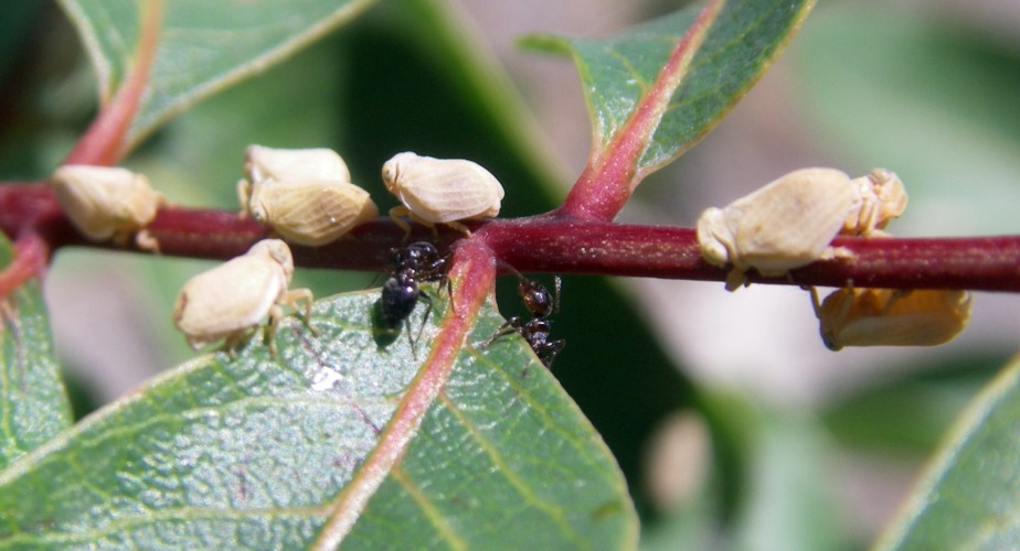
Agalmatium bilobum (Fieber, 1877) (cf.) - Issidae

30.VI.2012 - SPAGNA - EE, Rivas-Vaciamadrid, Madrid


nuovo argomento
rispondi
Pagina 1 di 1 [ 4 messaggi ]
Autore Messaggio
MessaggioInviato: 05/07/2012, 6:13 
 

Iscritto il: 24/10/2011, 17:30
Messaggi: 1527
Nome: Isidro Martínez
Aiuto ID!
4-5 millimetri. Nella Pistacia terebinthus.


Hysteropterum sp. 4b.jpg

Hysteropterum sp. 4.jpg

Top
profilo
 Oggetto del messaggio: Re: Hysteropterum sp. - Issidae ?
MessaggioInviato: 22/12/2012, 20:58 
Avatar utente

Iscritto il: 09/07/2011, 13:43
Messaggi: 2210
Località: Marmirolo (MN)
Nome: Maura Bocci
...o forse Agalmatium sp.? (mi sembra somigliante a A. bilobum, ma non conosco i caratteri di questa specie, è giusto per fare un'ipotesi).
Forse sarebbe meglio fermarsi ad Issidae.

_________________
Maura
(Mitakuye oyasin)


Top
profilo
 Oggetto del messaggio: Re: Hysteropterum sp. - Issidae ?
MessaggioInviato: 22/12/2012, 23:01 
 

Iscritto il: 24/10/2011, 17:30
Messaggi: 1527
Nome: Isidro Martínez
Grazie! Agalmatium sono parte della antica Hysteropterum :-)


Top
profilo
 Oggetto del messaggio: Re: Hysteropterum sp. - Issidae ?
MessaggioInviato: 09/02/2014, 19:38 
Avatar utente

Iscritto il: 06/02/2009, 9:15
Messaggi: 1468
Località: Vigevano PV
Nome: Danilo Mario Piccolino
:) Maura ha visto giusto. Inserisco la risposta di André Burges (Wageninger)

< Danilo, senza dubbio è un Agalmatium, probabilmente bilobum.>


Grazie a Maura ed ad André. :ok:

:hi:

P.S. solo per prudenza mantengo il cf. la certezza si ha solo osservando la conformazione del tubo anale del maschio. (se ricordo bene :gh: )

_________________
Danilo


Top
profilo
Visualizza ultimi messaggi:  Ordina per  
nuovo argomento
rispondi
Pagina 1 di 1 [ 4 messaggi ]

Tutti gli orari sono UTC + 1 ora [ ora legale ]


Chi c’è in linea

Visitano il forum: Nessuno e 1 ospite


Non puoi aprire nuovi argomenti
Non puoi rispondere negli argomenti
Non puoi modificare i tuoi messaggi
Non puoi cancellare i tuoi messaggi
Non puoi inviare allegati

Cerca per:
Vai a: