Benvenuto Ospite

Forum Entomologi Italiani

www.entomologiitaliani.net/forum
 
Oggi è 27/04/2026, 14:13

Tutti gli orari sono UTC + 1 ora [ ora legale ]

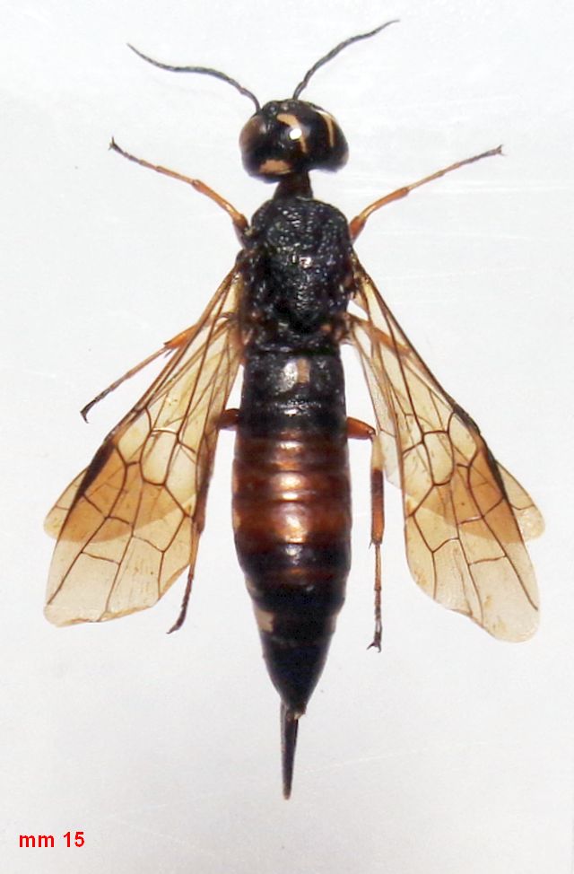
Xiphydria prolongata (Geoffroy, 1785) - Xiphydriidae

18.VI.2024 - ITALIA - Trentino-Alto Adige - TN, dintorni di Avio, SP 208, m 450


nuovo argomento
rispondi
Pagina 1 di 1 [ 1 messaggio ]
Autore Messaggio
MessaggioInviato: 12/08/2024, 18:08 
 

Iscritto il: 08/12/2013, 1:52
Messaggi: 7704
Località: Bagnacavallo (RA)
Nome: Giorgio Pezzi
Questa specie (una conferma è gradita :) è la prima volta che l'ho incontrata, in più in coppia! Maschio (4 foto) e sotto, la femmina.:hp:
:hi:
DSC02775.JPG



DSC02780.JPG

DSC02777.JPG

DSC02781.JPG

DSC02782.JPG

DSC02779.JPG

DSC02774.JPG

Top
profilo
Visualizza ultimi messaggi:  Ordina per  
nuovo argomento
rispondi
Pagina 1 di 1 [ 1 messaggio ]

Tutti gli orari sono UTC + 1 ora [ ora legale ]


Chi c’è in linea

Visitano il forum: Nessuno e 1 ospite


Non puoi aprire nuovi argomenti
Non puoi rispondere negli argomenti
Non puoi modificare i tuoi messaggi
Non puoi cancellare i tuoi messaggi
Non puoi inviare allegati

Cerca per:
Vai a: