Benvenuto Ospite

Forum Entomologi Italiani

www.entomologiitaliani.net/forum
 
Oggi è 11/03/2026, 3:38

Tutti gli orari sono UTC + 1 ora [ ora legale ]

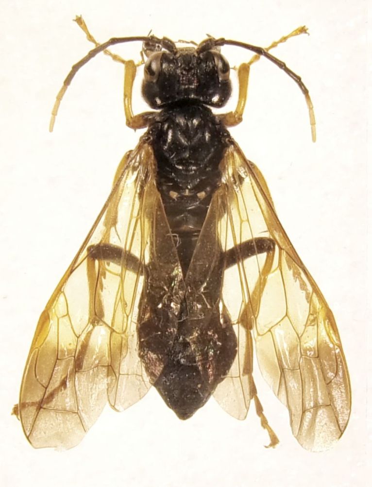
Tenthredo (Endotethryx) crassa Scopoli, 1763 - Tenthredinidae

18.VII.2017 - ITALIA - Piemonte - VB, Val Formazza, sopra Riale, m 1825


nuovo argomento
rispondi
Pagina 1 di 1 [ 3 messaggi ]
Autore Messaggio
MessaggioInviato: 07/08/2017, 21:03 
 

Iscritto il: 08/12/2013, 1:52
Messaggi: 7667
Località: Bagnacavallo (RA)
Nome: Giorgio Pezzi
Questa femmina mi lascia perplesso: non riesco a capirla. mm 15. Clipeo incavato, antenne con tre articoli finali biancastri. Sono giallastri tibie e tarsi e la parte esterna basale delle mandibole. Ali infumate nel terzo apicale. Primo tergite al centro "fessurato" come in Rhogogaster s.l. Mandibole con un grande lobo mediano tridentato.
Grazie per i suggerimenti.
Giorgio. :hi:
100_0173.JPG



Top
profilo
 Oggetto del messaggio: Re: Tenthredinoideo sconosciuto
MessaggioInviato: 08/08/2017, 10:08 
Avatar utente

Iscritto il: 05/02/2009, 17:31
Messaggi: 9527
Località: milano
Nome: maurizio pavesi
ciao giorgio

Tenthredo (Endotethryx) crassa Scopoli, 1763

_________________
*****************
Immagine maurizio


Top
profilo
MessaggioInviato: 09/08/2017, 21:31 
 

Iscritto il: 08/12/2013, 1:52
Messaggi: 7667
Località: Bagnacavallo (RA)
Nome: Giorgio Pezzi
Ciao Maurizio, grazie. A Tenthredo non arrivavo perchè gli occhi non sono certo molto convergenti al clipeo!! Anzi, solo un poco in basso! Però dovevo sbagliare da qualche parte ed ho preferito postarla.
:hi:


Top
profilo
Visualizza ultimi messaggi:  Ordina per  
nuovo argomento
rispondi
Pagina 1 di 1 [ 3 messaggi ]

Tutti gli orari sono UTC + 1 ora [ ora legale ]


Chi c’è in linea

Visitano il forum: Nessuno e 1 ospite


Non puoi aprire nuovi argomenti
Non puoi rispondere negli argomenti
Non puoi modificare i tuoi messaggi
Non puoi cancellare i tuoi messaggi
Non puoi inviare allegati

Cerca per:
Vai a:  
cron