Benvenuto Ospite

Forum Entomologi Italiani

www.entomologiitaliani.net/forum
 
Oggi è 24/01/2026, 4:02

Tutti gli orari sono UTC + 1 ora [ ora legale ]

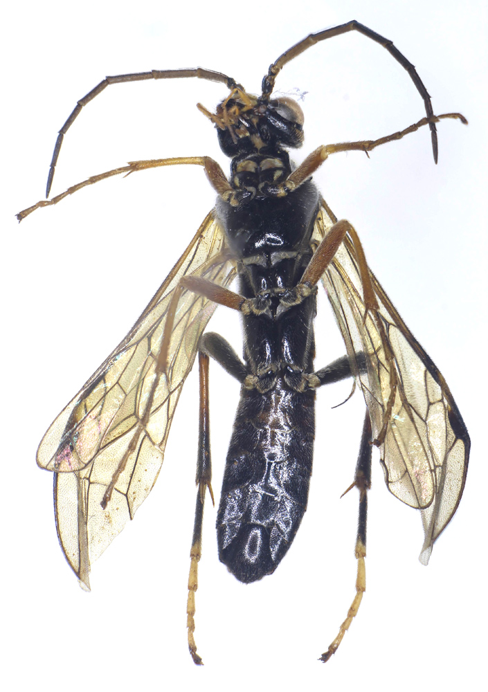
Tenthredopsis tarsata (Fabricius 1804) ♂ - Tenthredinidae - Tenthredininae

11.V.2018 - ITALIA - Lazio - VT, Valle dell'Arcionello, 42°24'N 12°8'E, 540m, leg. Marco Selis


nuovo argomento
rispondi
Pagina 1 di 1 [ 7 messaggi ]
Autore Messaggio
MessaggioInviato: 23/06/2018, 21:31 
Avatar utente

Iscritto il: 01/07/2010, 22:26
Messaggi: 5650
Località: Viterbo
Nome: Marco Selis
Questo Tenthredinidae l'ho raccolto in un rado bosco di roverelle, mentre volava tra le piante erbacee quasi completamente secche.

11 mm

Tenthr1.jpg


Tenthr3.jpg


Tenthr2.jpg



Top
profilo
 Oggetto del messaggio: Re: Tenthredinidae
MessaggioInviato: 24/06/2018, 8:29 
Avatar utente

Iscritto il: 22/11/2010, 18:16
Messaggi: 1130
Località: Donzy (Bourgogne : Dipart. Nièvre) - Francia
Nome: Jean-Pierre Balmer
Saluti,
A entire ventral view of the Insect is necessary.
Ciao.
D & JP Balmer


Top
profilo
 Oggetto del messaggio: Re: Tenthredinidae
MessaggioInviato: 24/06/2018, 14:47 
Avatar utente

Iscritto il: 01/07/2010, 22:26
Messaggi: 5650
Località: Viterbo
Nome: Marco Selis
Jean-Pierre, is this picture good enough?

Tenthr4.jpg



Top
profilo
 Oggetto del messaggio: Re: Tenthredinidae
MessaggioInviato: 24/06/2018, 17:27 
Avatar utente

Iscritto il: 22/11/2010, 18:16
Messaggi: 1130
Località: Donzy (Bourgogne : Dipart. Nièvre) - Francia
Nome: Jean-Pierre Balmer
Saluti,
Maybe a variety of Tenthredella atra ♂, but I am not absolutely sure of it !
Ciao.
D & JP Balmer


Top
profilo
 Oggetto del messaggio: Re: Tenthredinidae
MessaggioInviato: 24/06/2018, 17:56 
Avatar utente

Iscritto il: 01/07/2010, 22:26
Messaggi: 5650
Località: Viterbo
Nome: Marco Selis
Dear Jean-Pierre, I'm not an expert on Symphyta, but my specimen looks morphologically different from your male of Tenthredella atra shown here: viewtopic.php?f=375&t=71482&hilit=tenthredella :?


Top
profilo
 Oggetto del messaggio: Re: Tenthredinidae
MessaggioInviato: 25/06/2018, 9:16 
Avatar utente

Iscritto il: 22/11/2010, 18:16
Messaggi: 1130
Località: Donzy (Bourgogne : Dipart. Nièvre) - Francia
Nome: Jean-Pierre Balmer
Andricus ha scritto:
Dear Jean-Pierre, I'm not an expert on Symphyta, but my specimen looks morphologically different from your male of Tenthredella atra shown here: viewtopic.php?f=375&t=71482&hilit=tenthredella :?
Saluti,
you're right it's not atra !
In fact I had problems to identify your species (which however I have already seen) and a wrong identification on BOLDSYSTEMS is the reason of my error.
I am no longer remembered the message you quote.
I need to do more research.
Ciao.
D & JP Balmer


Top
profilo
 Oggetto del messaggio: Re: Tenthredinidae
MessaggioInviato: 25/06/2018, 10:31 
Avatar utente

Iscritto il: 22/11/2010, 18:16
Messaggi: 1130
Località: Donzy (Bourgogne : Dipart. Nièvre) - Francia
Nome: Jean-Pierre Balmer
Andricus ha scritto:
Dear Jean-Pierre, I'm not an expert on Symphyta, but my specimen looks morphologically different from your male of Tenthredella atra shown here: viewtopic.php?f=375&t=71482&hilit=tenthredella :?
Saluti,
Tenthredopsis tarsata (Fabricius 1804) ♂ ! ! !
One VERY THANK YOU to have indicated me my error.
Ciao.
D & JP Balmer


Top
profilo
Visualizza ultimi messaggi:  Ordina per  
nuovo argomento
rispondi
Pagina 1 di 1 [ 7 messaggi ]

Tutti gli orari sono UTC + 1 ora [ ora legale ]


Chi c’è in linea

Visitano il forum: Nessuno e 1 ospite


Non puoi aprire nuovi argomenti
Non puoi rispondere negli argomenti
Non puoi modificare i tuoi messaggi
Non puoi cancellare i tuoi messaggi
Non puoi inviare allegati

Cerca per:
Vai a:  
cron