Benvenuto Ospite

Forum Entomologi Italiani

www.entomologiitaliani.net/forum
 
Oggi è 30/11/2025, 12:25

Tutti gli orari sono UTC + 1 ora [ ora legale ]

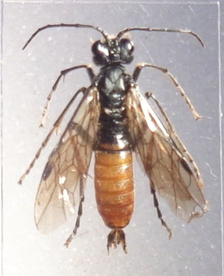
Tenthredo sp. - Tenthredinidae

22.VI.2020 - ITALIA - Veneto - VI, sopra Gallio, m 1583, rif. Campomuletto


nuovo argomento
rispondi
Pagina 1 di 1 [ 1 messaggio ]
Autore Messaggio
 Oggetto del messaggio: Tenthredo sp. - Tenthredinidae
MessaggioInviato: 15/10/2020, 20:28 
 

Iscritto il: 08/12/2013, 1:52
Messaggi: 7574
Località: Bagnacavallo (RA)
Nome: Giorgio Pezzi
Questo maschio mi lascia indeciso: mm 11; dovremmo essere nel gruppo fagi/simplex. Grazie.
:hi:
DSC03947.JPG



DSC03923.JPG

DSC03924.JPG

DSC03950.JPG

DSC03927.JPG

DSC03925.JPG

DSC03926.JPG

Top
profilo
Visualizza ultimi messaggi:  Ordina per  
nuovo argomento
rispondi
Pagina 1 di 1 [ 1 messaggio ]

Tutti gli orari sono UTC + 1 ora [ ora legale ]


Chi c’è in linea

Visitano il forum: Nessuno e 2 ospiti


Non puoi aprire nuovi argomenti
Non puoi rispondere negli argomenti
Non puoi modificare i tuoi messaggi
Non puoi cancellare i tuoi messaggi
Non puoi inviare allegati

Cerca per:
Vai a: