Benvenuto Ospite

Forum Entomologi Italiani

www.entomologiitaliani.net/forum
 
Oggi è 26/04/2026, 20:28

Tutti gli orari sono UTC + 1 ora [ ora legale ]

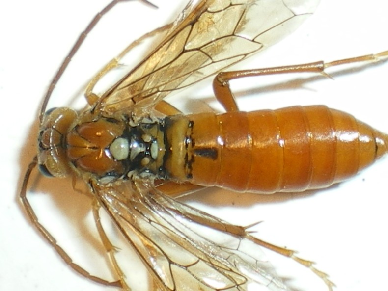
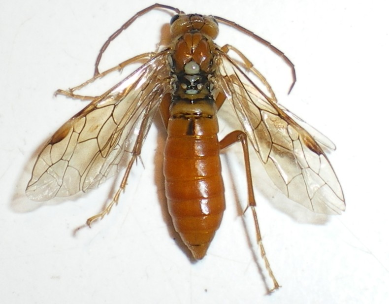
Tenthredopsis litterata (Geoffroy 1785) cf. - Tenthredinidae

14.V.2011 - ITALIA - Marche - AN, Poggio San Romualdo, Fabriano


nuovo argomento
rispondi
Pagina 1 di 1 [ 3 messaggi ]
Autore Messaggio
MessaggioInviato: 04/06/2011, 10:09 
Avatar utente

Iscritto il: 10/05/2009, 15:30
Messaggi: 7183
Località: Ancona
Nome: Giacomo Giovagnoli
Presa a Poggio San Romualdo (Fabriano - Ancona) il 14-V-2011.

Credo Tenthredinidae... :oops:

IMGP0808.jpg


IMGP0815.jpg


IMGP0811.jpg


IMGP0814.jpg



Ciao :)

_________________
Immagine Giacomo


Top
profilo
 Oggetto del messaggio: Re: Tenthredinidae da ID 3
MessaggioInviato: 04/06/2011, 11:45 
Avatar utente

Iscritto il: 22/11/2010, 18:16
Messaggi: 1130
Località: Donzy (Bourgogne : Dipart. Nièvre) - Francia
Nome: Jean-Pierre Balmer
Ciao,
Thenthredopsis litterata (cf)
Because :
- 1st tergite is without a medial furrow (but 2nd tergite with furrow !)
- The forms (but not very visible on the 2nd photo) of labre and clypeus
Saluti.

D & JP Balmer


Top
profilo
MessaggioInviato: 04/06/2011, 13:19 
Avatar utente

Iscritto il: 10/05/2009, 15:30
Messaggi: 7183
Località: Ancona
Nome: Giacomo Giovagnoli
Thanks! :D

I can't make other photos because is packed... :oops:

_________________
Immagine Giacomo


Top
profilo
Visualizza ultimi messaggi:  Ordina per  
nuovo argomento
rispondi
Pagina 1 di 1 [ 3 messaggi ]

Tutti gli orari sono UTC + 1 ora [ ora legale ]


Chi c’è in linea

Visitano il forum: Nessuno e 2 ospiti


Non puoi aprire nuovi argomenti
Non puoi rispondere negli argomenti
Non puoi modificare i tuoi messaggi
Non puoi cancellare i tuoi messaggi
Non puoi inviare allegati

Cerca per:
Vai a: