Benvenuto Ospite

Forum Entomologi Italiani

www.entomologiitaliani.net/forum
 
Oggi è 28/04/2026, 11:59

Tutti gli orari sono UTC + 1 ora [ ora legale ]

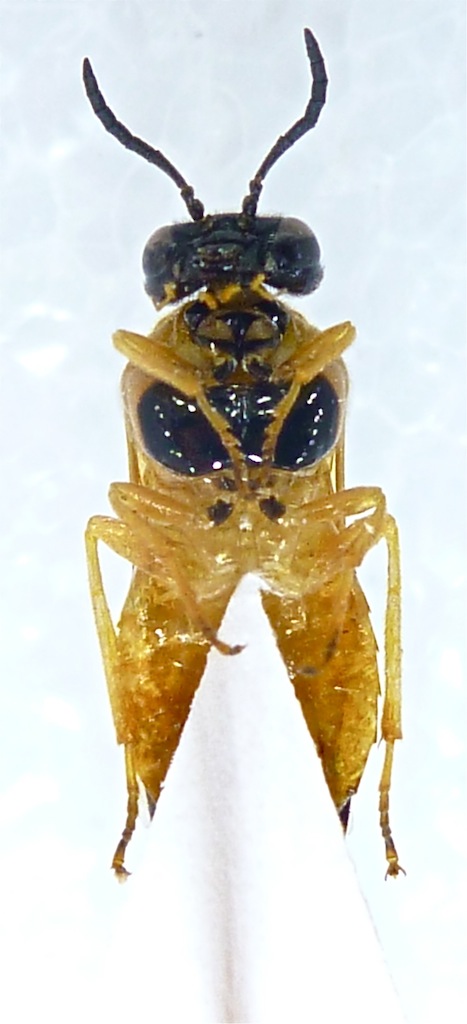
Selandria serva (Fabricius, 1793) - Tenthredinidae

8.X.2011 - ITALIA - Sicilia - PA, Bosco Ficuzza


nuovo argomento
rispondi
Pagina 1 di 1 [ 8 messaggi ]
Autore Messaggio
MessaggioInviato: 09/10/2011, 21:01 
Avatar utente

Iscritto il: 01/06/2011, 11:43
Messaggi: 292
Località: Palermo
Nome: Lello Brancato
L'ho trovato ieri che galleggiava in un abbeveratoio al bosco Ficuzza.
Non sono riuscito a capirci proprio nulla e vi chiedo aiuto.
10 mm.
Grazie in anticipo.


IMG_2127.jpg

IMG_2131.jpg


_________________
....ed era tutta vela la navicella dell'ingegno mio.
Top
profilo
 Oggetto del messaggio: Re: Aiuto per Imenottero
MessaggioInviato: 09/10/2011, 21:29 
Avatar utente

Iscritto il: 01/06/2011, 11:43
Messaggi: 292
Località: Palermo
Nome: Lello Brancato
Ho controllato meglio sul forum ed effettivamente mi sembra un argidae ?

_________________
....ed era tutta vela la navicella dell'ingegno mio.


Top
profilo
 Oggetto del messaggio: Re: Aiuto per Imenottero
MessaggioInviato: 10/10/2011, 11:27 
Avatar utente

Iscritto il: 22/11/2010, 18:16
Messaggi: 1130
Località: Donzy (Bourgogne : Dipart. Nièvre) - Francia
Nome: Jean-Pierre Balmer
Ciao,
Not Argidae, because the antennae have 10 segments !
I believe : Athalia sp.
Saluti.
D & JP Balmer


Top
profilo
 Oggetto del messaggio: Re: Aiuto per Imenottero
MessaggioInviato: 10/10/2011, 11:46 
Avatar utente

Iscritto il: 05/02/2009, 17:31
Messaggi: 9527
Località: milano
Nome: maurizio pavesi
ciao

non credo sia un'Athalia, le Athalia di regola hanno i tarsi ad anelli neri, penserei piuttosto a una Selandria (in questo caso gli articoli antennali dovrebbero essere 9, ma la foto è sfuocata e non si riesce a contarli bene), probabilmente Selandria serva (Fabricius, 1793)

per essere sicuro, servirebbe una foto a fuoco delle antenne, per vedere le proporzioni degli articoli, e una ad ali aperte, per vedere meglio la venatura alare

_________________
*****************
Immagine maurizio


Top
profilo
 Oggetto del messaggio: Re: Aiuto per Imenottero
MessaggioInviato: 10/10/2011, 14:35 
Avatar utente

Iscritto il: 22/11/2010, 18:16
Messaggi: 1130
Località: Donzy (Bourgogne : Dipart. Nièvre) - Francia
Nome: Jean-Pierre Balmer
gomphus ha scritto:
non credo sia un'Athalia, le Athalia di regola hanno i tarsi ad anelli neri, penserei piuttosto a una Selandria (in questo caso gli articoli antennali dovrebbero essere 9, ma la foto è sfuocata e non si riesce a contarli bene), probabilmente Selandria serva (Fabricius, 1793)
Ciao,
1) - YES : the black rings with the tarsi are indeed present, except on A. lugens .
2) - On the photo, It seems that M finishes far of the starting point of Rs+M .
Finally , it east cannot be not Selandriinae (sensu Berland) ... ?
Saluti.
D & JP Balmer


Top
profilo
MessaggioInviato: 10/10/2011, 18:18 
Avatar utente

Iscritto il: 01/06/2011, 11:43
Messaggi: 292
Località: Palermo
Nome: Lello Brancato
Ho provato a fare delle foto migliori :oops: .... ma per ora ho solo la compatta a disposizione...
P.S. gli articoli della antenne sono 9


P1000078.jpg

P1000081.jpg


_________________
....ed era tutta vela la navicella dell'ingegno mio.
Top
profilo
 Oggetto del messaggio: Re: Aiuto per Imenottero
MessaggioInviato: 11/10/2011, 15:29 
Avatar utente

Iscritto il: 22/11/2010, 18:16
Messaggi: 1130
Località: Donzy (Bourgogne : Dipart. Nièvre) - Francia
Nome: Jean-Pierre Balmer
gomphus ha scritto:
per essere sicuro, servirebbe una foto a fuoco delle antenne, per vedere le proporzioni degli articoli, e una ad ali aperte, per vedere meglio la venatura alare
Ciao,
YES !
Saluti.
D & JP Balmer


Top
profilo
MessaggioInviato: 11/10/2011, 18:01 
Avatar utente

Iscritto il: 05/02/2009, 17:31
Messaggi: 9527
Località: milano
Nome: maurizio pavesi
:ok:

_________________
*****************
Immagine maurizio


Top
profilo
Visualizza ultimi messaggi:  Ordina per  
nuovo argomento
rispondi
Pagina 1 di 1 [ 8 messaggi ]

Tutti gli orari sono UTC + 1 ora [ ora legale ]


Chi c’è in linea

Visitano il forum: Nessuno e 1 ospite


Non puoi aprire nuovi argomenti
Non puoi rispondere negli argomenti
Non puoi modificare i tuoi messaggi
Non puoi cancellare i tuoi messaggi
Non puoi inviare allegati

Cerca per:
Vai a: