Forum Entomologi Italiani
https://www.entomologiitaliani.net/public/forum/phpbb3/

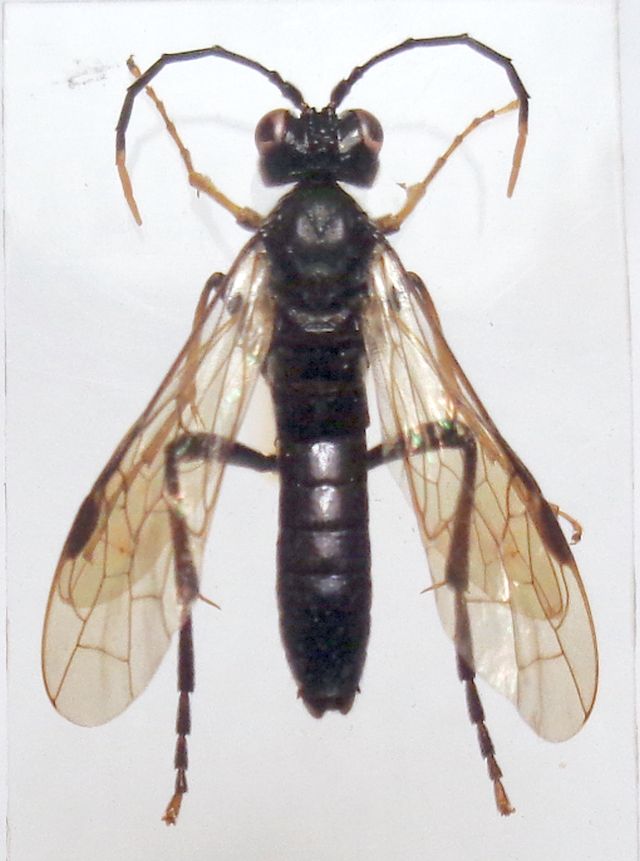
Tenthredo (Tenthredella) livida Linnaeus, 1758 (cf.) - Tenthredinidae
https://www.entomologiitaliani.net/public/forum/phpbb3/viewtopic.php?f=375&t=96255
Pagina 1 di 1

Autore:  Chalybion [ 18/08/2021, 21:33 ]
Oggetto del messaggio:  Tenthredo (Tenthredella) livida Linnaeus, 1758 (cf.) - Tenthredinidae

Maschio di mm 13 ca.; clipeo nero, labbro bianco, regolamentari macchie bianche ai lati del 1° tergite e metapleura adiacente, pro e mesotibie e tarsi gialli, metazampe quasi totalmente nere (tibie sfumate di fulvo), femori tutti nerastri. grazie per ogni parere.
:hi:
livid.JPG



Allegati:
liv ant.JPG

liv front.JPG

liv lat.JPG


Pagina 1 di 1 Tutti gli orari sono UTC + 1 ora [ ora legale ]
Powered by phpBB® Forum Software © phpBB Group
http://www.phpbb.com/