Benvenuto Ospite

Forum Entomologi Italiani

www.entomologiitaliani.net/forum
 
Oggi è 30/11/2025, 16:17

Tutti gli orari sono UTC + 1 ora [ ora legale ]

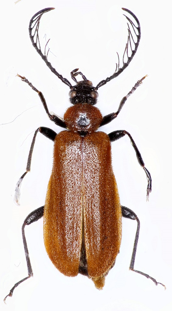
Schizotus pectinicornis (Linnaeus, 1758) (cf.) - Pyrochroidae

19.V.2013 - GERMANIA - EE, Hardegsen


nuovo argomento
rispondi
Pagina 1 di 1 [ 2 messaggi ]
Autore Messaggio
MessaggioInviato: 13/01/2016, 22:27 
Avatar utente

Iscritto il: 31/07/2014, 16:09
Messaggi: 619
Località: Northeim, Lower Saxony, Germany
Nome: Alex Hasenkampf
:hi: 7mm


2016-01-12-21.34.22 ZS PMax.jpg

2016-01-12-21.32.42 ZS PMax.jpg

7mm 19.05.13 Hardegsen (51°39'44.0N 9°48'53.0E).jpg

Top
profilo
 Oggetto del messaggio: Re: Schizotus pectinicornis ?
MessaggioInviato: 14/01/2016, 22:07 
Avatar utente

Iscritto il: 31/07/2014, 16:09
Messaggi: 619
Località: Northeim, Lower Saxony, Germany
Nome: Alex Hasenkampf
:gun: Schizotus pectinicornis
(Linnaeus, 1758)


Top
profilo
Visualizza ultimi messaggi:  Ordina per  
nuovo argomento
rispondi
Pagina 1 di 1 [ 2 messaggi ]

Tutti gli orari sono UTC + 1 ora [ ora legale ]


Chi c’è in linea

Visitano il forum: Nessuno e 1 ospite


Non puoi aprire nuovi argomenti
Non puoi rispondere negli argomenti
Non puoi modificare i tuoi messaggi
Non puoi cancellare i tuoi messaggi
Non puoi inviare allegati

Cerca per:
Vai a: