Benvenuto Ospite

Forum Entomologi Italiani

www.entomologiitaliani.net/forum
 
Oggi è 22/04/2026, 14:17

Tutti gli orari sono UTC + 1 ora [ ora legale ]

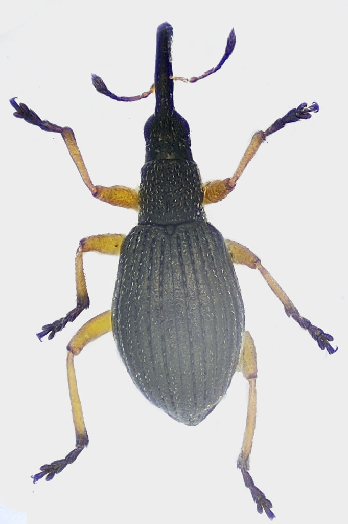
Protapion fulvipes (Geoffroy, 1785) cf. - Apionidae

20.I.2011 - ITALIA - Veneto - BL, Feltre: Foen Loc. Fornace 46° 2'35"N 11°55'3"E


nuovo argomento
rispondi
Pagina 1 di 1 [ 2 messaggi ]
Autore Messaggio
MessaggioInviato: 26/01/2011, 23:44 
Avatar utente

Iscritto il: 08/06/2009, 0:06
Messaggi: 3415
Località: Feltre(BL)
Nome: Nicola Dal Zotto
circa 2mm da vaglio
apionf.jpg


_________________
Nicola Dal Zotto


Top
profilo
 Oggetto del messaggio: Re: Apion
MessaggioInviato: 26/01/2011, 23:50 
 

Iscritto il: 18/10/2009, 17:10
Messaggi: 1341
Località: Czech Republic
Nome: Petr Kresl
My opinion is Protapion fulvipes

_________________
Ciao Petr


Top
profilo
Visualizza ultimi messaggi:  Ordina per  
nuovo argomento
rispondi
Pagina 1 di 1 [ 2 messaggi ]

Tutti gli orari sono UTC + 1 ora [ ora legale ]


Chi c’è in linea

Visitano il forum: Nessuno e 1 ospite


Non puoi aprire nuovi argomenti
Non puoi rispondere negli argomenti
Non puoi modificare i tuoi messaggi
Non puoi cancellare i tuoi messaggi
Non puoi inviare allegati

Cerca per:
Vai a: