Benvenuto Ospite

Forum Entomologi Italiani

www.entomologiitaliani.net/forum
 
Oggi è 26/04/2026, 12:27

Tutti gli orari sono UTC + 1 ora [ ora legale ]

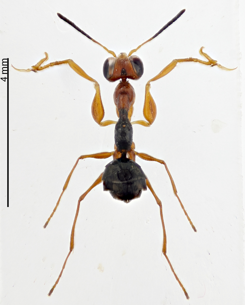
Gonatopus sp. - Drynidae

12.II.2025 - ITALIA - Sardegna - CI, Isola di Sant'Antioco, al vaglio, leg. D. Sechi


nuovo argomento
rispondi
Pagina 1 di 1 [ 5 messaggi ]
Autore Messaggio
 Oggetto del messaggio: Gonatopus sp. - Drynidae
MessaggioInviato: 14/03/2025, 18:10 
Avatar utente

Iscritto il: 04/02/2009, 17:49
Messaggi: 5557
Località: Cagliari
Nome: Daniele Sechi
Non so se sia possibile arrivare ad un'identificazione di questi mostriciattoli.
Drynidae rid.jpg

Drynidae testa RID.jpg


_________________
:hi:
Daniele


Top
profilo
 Oggetto del messaggio: Re: Drynidae
MessaggioInviato: 14/03/2025, 18:32 
Avatar utente

Iscritto il: 05/02/2009, 17:44
Messaggi: 2699
Località: Garbagnate Milanese
Nome: Augusto Franzini
Veramente un marziano! :shock:

_________________
Augusto (aug)
Prediction is very difficult, especially about the future (Niels Bohr, fisico)


Top
profilo
 Oggetto del messaggio: Re: Drynidae
MessaggioInviato: 15/03/2025, 11:34 
Avatar utente

Iscritto il: 08/07/2022, 10:09
Messaggi: 399
Località: Lucca (LU)
Nome: Massimiliano Marchi
Clamoroso :o :o :o


Top
profilo
 Oggetto del messaggio: Re: Drynidae
MessaggioInviato: 17/03/2025, 11:20 
Avatar utente

Iscritto il: 28/05/2009, 16:38
Messaggi: 5090
Nome: luigi lenzini
Ne fotografai uno in natura anni fa (Gonatopus?). Le particolari zampe anteriori credo servano per aggrapparsi all'ospite da parassitare.


Drinidae.JPG

Top
profilo
 Oggetto del messaggio: Re: Gonatopus sp. - Drynidae
MessaggioInviato: 27/03/2025, 20:32 
Avatar utente

Iscritto il: 01/06/2011, 11:43
Messaggi: 292
Località: Palermo
Nome: Lello Brancato
Somiglia molto a questo....
viewtopic.php?f=386&t=92084

Saluti

_________________
....ed era tutta vela la navicella dell'ingegno mio.


Top
profilo
Visualizza ultimi messaggi:  Ordina per  
nuovo argomento
rispondi
Pagina 1 di 1 [ 5 messaggi ]

Tutti gli orari sono UTC + 1 ora [ ora legale ]


Chi c’è in linea

Visitano il forum: Nessuno e 1 ospite


Non puoi aprire nuovi argomenti
Non puoi rispondere negli argomenti
Non puoi modificare i tuoi messaggi
Non puoi cancellare i tuoi messaggi
Non puoi inviare allegati

Cerca per:
Vai a: