Benvenuto Ospite

Forum Entomologi Italiani

www.entomologiitaliani.net/forum
 
Oggi è 29/11/2025, 2:12

Tutti gli orari sono UTC + 1 ora [ ora legale ]

Braconidae?

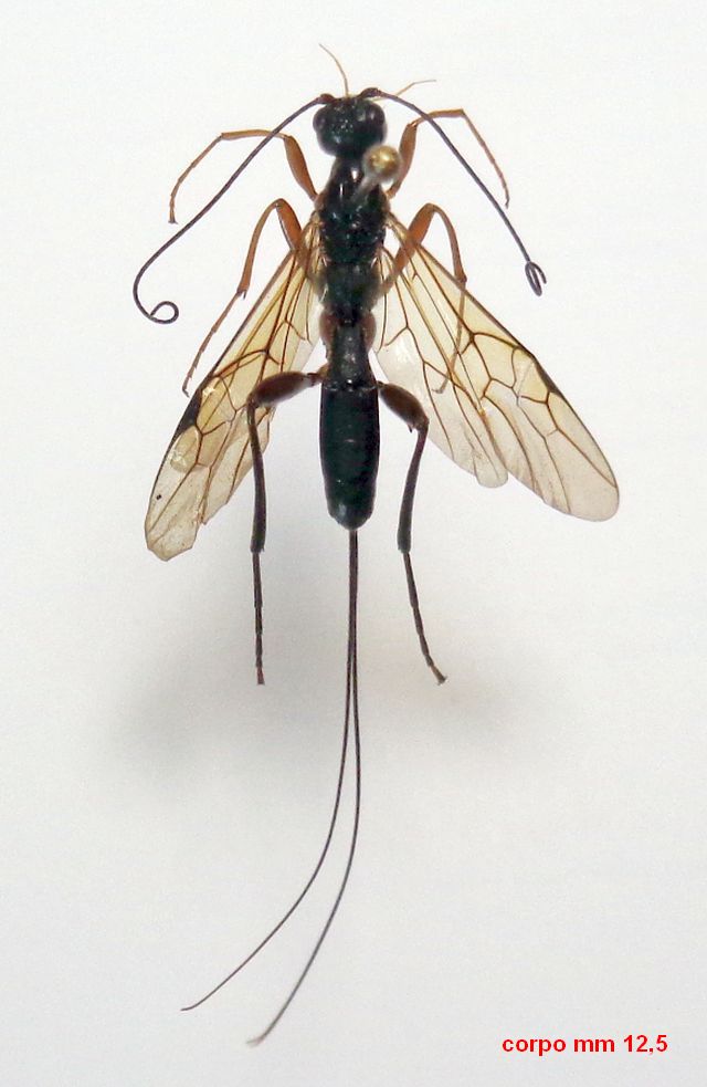
16.VI.2023 - ITALIA - Trentino-Alto Adige - TN, dint. passo Vezzena (Levico Terme), m 1335


nuovo argomento
rispondi
Pagina 1 di 1 [ 1 messaggio ]
Autore Messaggio
 Oggetto del messaggio: Braconidae?
MessaggioInviato: 14/07/2023, 19:21 
 

Iscritto il: 08/12/2013, 1:52
Messaggi: 7573
Località: Bagnacavallo (RA)
Nome: Giorgio Pezzi
Non ho verificato la la venulazione ma a naso mi pare un Braconidae, spero comunque ben caratteristico. 38 flagellomeri. Fronte con ampio solco percorso da una alta carena nella parte mediobasale. Scuto lucido finemente punteggiato, alla base, sopra lo scutello, con due fossette oblique separate da una carena. Grazie per ogni info.
:hi:
DSC00801.JPG



DSC00821.JPG

DSC00804.JPG

DSC00810.JPG

DSC00813.JPG

DSC00803.JPG

DSC00812.JPG

DSC00809.JPG

Top
profilo
Visualizza ultimi messaggi:  Ordina per  
nuovo argomento
rispondi
Pagina 1 di 1 [ 1 messaggio ]

Tutti gli orari sono UTC + 1 ora [ ora legale ]


Chi c’è in linea

Visitano il forum: Nessuno e 4 ospiti


Non puoi aprire nuovi argomenti
Non puoi rispondere negli argomenti
Non puoi modificare i tuoi messaggi
Non puoi cancellare i tuoi messaggi
Non puoi inviare allegati

Cerca per:
Vai a:  
cron