Benvenuto Ospite

Forum Entomologi Italiani

www.entomologiitaliani.net/forum
 
Oggi è 28/02/2026, 22:17

Tutti gli orari sono UTC + 1 ora [ ora legale ]

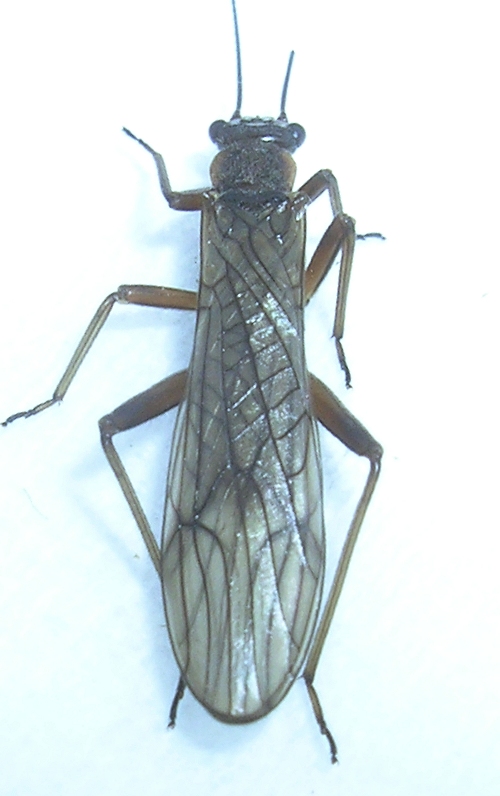
Amphinemura sulcicollis (Stephens, 1836) - Plecoptera Nemouridae ?

25.V.2012 - ITALIA - Umbria - PG, Scheggia e Pascelupo - Loc. Coldipeccio (Fossi)


nuovo argomento
rispondi
Pagina 1 di 1 [ 1 messaggio ]
Autore Messaggio
MessaggioInviato: 30/05/2012, 23:47 
Avatar utente

Iscritto il: 09/07/2011, 13:43
Messaggi: 2210
Località: Marmirolo (MN)
Nome: Maura Bocci
Lunghezza del corpo ca. 8 mm.

La venulazione alare mi sembra quella della famiglia Nemouridae.

Image1.jpg


Image2.jpg



Il genere Amphinemura si dovrebbe distinguere per la presenza di due ciuffi di tracheobranchie sul prosterno... siccome non sono sicura di aver capito, vi chiedo se è quello indicato dalle frecce che si intende :roll:

Image3.jpg


Image4.jpg



Se il genere è corretto, tra le tre specie che lo rappresentano in Italia A. sulcicollis è quella che mi sembra corrispondere per venulazione.

_________________
Maura
(Mitakuye oyasin)


Top
profilo
Visualizza ultimi messaggi:  Ordina per  
nuovo argomento
rispondi
Pagina 1 di 1 [ 1 messaggio ]

Tutti gli orari sono UTC + 1 ora [ ora legale ]


Chi c’è in linea

Visitano il forum: Nessuno e 1 ospite


Non puoi aprire nuovi argomenti
Non puoi rispondere negli argomenti
Non puoi modificare i tuoi messaggi
Non puoi cancellare i tuoi messaggi
Non puoi inviare allegati

Cerca per:
Vai a: