Benvenuto Ospite

Forum Entomologi Italiani

www.entomologiitaliani.net/forum
 
Oggi è 01/03/2026, 2:46

Tutti gli orari sono UTC + 1 ora [ ora legale ]

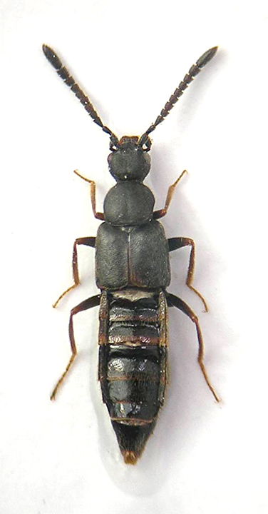
Staphylinidae 9 da ID

4.III.2014 - ITALIA - Abruzzo - PE, Pianella


nuovo argomento
rispondi
Pagina 1 di 1 [ 1 messaggio ]
Autore Messaggio
 Oggetto del messaggio: Staphylinidae 9 da ID
MessaggioInviato: 29/03/2014, 22:17 
Avatar utente

Iscritto il: 23/06/2010, 19:05
Messaggi: 2588
Località: Pescara
Nome: Alessio Morelli
A "quelli" tozzi si aggiungono "quelli" eleganti :sma: .

Questo, per la cronaca, è uno degli staphylinidae più maleodoranti che io abbia mai incontrato, altro che elegante :sick: .

5mm
Staphy 10.jpg



Top
profilo
Visualizza ultimi messaggi:  Ordina per  
nuovo argomento
rispondi
Pagina 1 di 1 [ 1 messaggio ]

Tutti gli orari sono UTC + 1 ora [ ora legale ]


Chi c’è in linea

Visitano il forum: Nessuno e 16 ospiti


Non puoi aprire nuovi argomenti
Non puoi rispondere negli argomenti
Non puoi modificare i tuoi messaggi
Non puoi cancellare i tuoi messaggi
Non puoi inviare allegati

Cerca per:
Vai a:  
cron