Benvenuto Ospite

Forum Entomologi Italiani

www.entomologiitaliani.net/forum
 
Oggi è 28/02/2026, 10:37

Tutti gli orari sono UTC + 1 ora [ ora legale ]

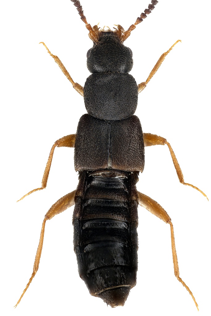
Staphylinidino del Trentino

2.IV.2014 - ITALIA - Trentino-Alto Adige - TN, Zivignago di Pergine


nuovo argomento
rispondi
Pagina 1 di 1 [ 1 messaggio ]
Autore Messaggio
 Oggetto del messaggio: Staphylinidino del Trentino
MessaggioInviato: 07/04/2014, 22:55 
Avatar utente

Iscritto il: 22/05/2009, 21:00
Messaggi: 2781
Località: Pergine Valsugana (TN)
Nome: Andrea Carlin
:hi: Trovato anch'esso in zona umida lungo un canaletto d'acqua vicino ad un frutteto semiallagato.
Chiedo gentilmente aiuto almeno per avere qualche dritta sul genere! Grazie mille! :birra: :birra: :birra:

Lunghezza: 3 mm
Staphylinidae.jpg



:hi: :lov2:

_________________
Andrea Carlin, Pergine Valsugana (TN) carlin.andrea(AT)gmail.com

Nota: tutti gli esemplari inseriti nelle discussioni aperte da me sono da ritenere "Andrea Carlin legit" se non diversamente specificato.


Top
profilo
Visualizza ultimi messaggi:  Ordina per  
nuovo argomento
rispondi
Pagina 1 di 1 [ 1 messaggio ]

Tutti gli orari sono UTC + 1 ora [ ora legale ]


Chi c’è in linea

Visitano il forum: Nessuno e 2 ospiti


Non puoi aprire nuovi argomenti
Non puoi rispondere negli argomenti
Non puoi modificare i tuoi messaggi
Non puoi cancellare i tuoi messaggi
Non puoi inviare allegati

Cerca per:
Vai a: