| Autore |
Messaggio |
|
Tenebrio
|
Inviato: 30/04/2012, 0:48 |
|
Iscritto il: 05/02/2009, 17:47 Messaggi: 7252 Località: Cagliari
Nome: Piero Leo
|
Qui siamo nei pressi di Aoulouz (alta valle del Sous, tra Anti e Alto Atlante), in fase di spostamento verso le zone desertiche della parte orientale del paese. Qui abbiamo raccolto varie specie interessanti di Tenebrionidi (2 specie di Pimelia, Adelostoma, Stenosis, Adesmia, Thalpobia, Sepidium, Scaurus, Gonocephalum, ecc.). Adesmia maroccanaSepidium sp. Un bellissimo Eugaster (Tettigoniidae) In Marocco mi ha sempre affascinato la grande varietà di rettili, gruppo di cui ammetto la mia grande ignoranza. Questo lucertolone sembra un lontano parente dei gòngili Questo credo sia un Agamide Questo, con una strana colorazione, mi ha ricordato un po’ il nostro tarantolino. … continua…  Ciao Piero
|
|
| Top |
|
 |
|
Umbro
|
Inviato: 30/04/2012, 18:11 |
|
Iscritto il: 28/05/2011, 21:10 Messaggi: 1981
Nome: Umberto Devincenzo
|
Stupendo il Sepidium sp.!!  mimetizzato al massimo.. Per caso, ne avete raccolto qualcuno di scorpione?? 
_________________ "La compassione e l'empatia per il più piccolo degli animali, è una delle più nobili virtù che un uomo possa ricevere in dono." Charles Darwin
|
|
| Top |
|
 |
|
Julodis
|
Inviato: 30/04/2012, 22:57 |
|
Iscritto il: 30/12/2009, 22:20 Messaggi: 31564 Località: Roma
Nome: Maurizio Gigli
|
|
Quati ricordi! Non devo più guardare questa discussione o rimpiango tutto quel che non sono riuscito a fare le varie volte che ci sono stato.
Quelle euforbie stanno pure sul mio balcone!
|
|
| Top |
|
 |
|
FORBIX
|
Inviato: 30/04/2012, 23:34 |
|
Iscritto il: 17/02/2009, 0:05 Messaggi: 8524 Località: Isola d'Elba - Arcipelago Toscano
Nome: Leonardo Forbicioni
|
Che meraviglia! Come mi sarebbe piaciuto poter essere con voi! Per quanto riguarda i sauri, vista la loro bellezza, meritano quantomeno un tentativo di determinazione. Quello "assotterrato" secondo me è proprio un Gongilo Dovrebbe trattarsi di: Chalcides ocellatus Forskal, 1775 - Scincidae L' Agamidae invece credo sia un Trapelus sp. ...per la specie boh!! Recentemente dovrebbe essere stata descritta una nuova specie per questo genere proprio per il Marocco (mi sembra). Ma il più bello di tutti secondo me è il "Tarantolino" bellissimo animale  . Quasi sicuramente dovrebbe essere: Saurodactylus brosseti Bons & Pasteur, 1957 - Gekkonidae
_________________ "Stay hungry, stay foolish". Steve Jobs, 2005 ___________________ jjuniper8(at)gmail.com Twitter: @weevil_forbixcell. 339/5275910 ___________________
|
|
| Top |
|
 |
|
Daniele Sechi
|
Inviato: 30/04/2012, 23:47 |
|
Iscritto il: 04/02/2009, 17:49 Messaggi: 5557 Località: Cagliari
Nome: Daniele Sechi
|
FORBIX ha scritto: Che meraviglia! Per quanto riguarda i sauri, vista la loro bellezza, meritano quantomeno un tentativo di determinazione. Quello "assotterrato" secondo me è proprio un Gongilo Dovrebbe trattarsi di: Chalcides ocellatus Forskal, 1775 - Scincidae[/b] Ma l' ocellatus ce l'abbiamo anche in Sardegna, quello sembrava assai diverso. Più grande, con quelle macchie arancioni, la lunga coda 
_________________  Daniele
|
|
| Top |
|
 |
|
Tenebrio
|
Inviato: 30/04/2012, 23:53 |
|
Iscritto il: 05/02/2009, 17:47 Messaggi: 7252 Località: Cagliari
Nome: Piero Leo
|
Ciao Leonardo, grazie per l'aiuto con i rettili. Il "tarantolino" sembra proprio essere il Saurodactylus brosseti da te indicato. Quello della prima foto non so se possa essere un Chalcides, ma (come ha appena scritto anche Daniele) sicuramente non è l' ocellatus (era più grande, più colorato, zampe piu sviluppate, codapiù lunga e snella).  Ciao Piero
|
|
| Top |
|
 |
|
Tenebrio
|
Inviato: 30/04/2012, 23:57 |
|
Iscritto il: 05/02/2009, 17:47 Messaggi: 7252 Località: Cagliari
Nome: Piero Leo
|
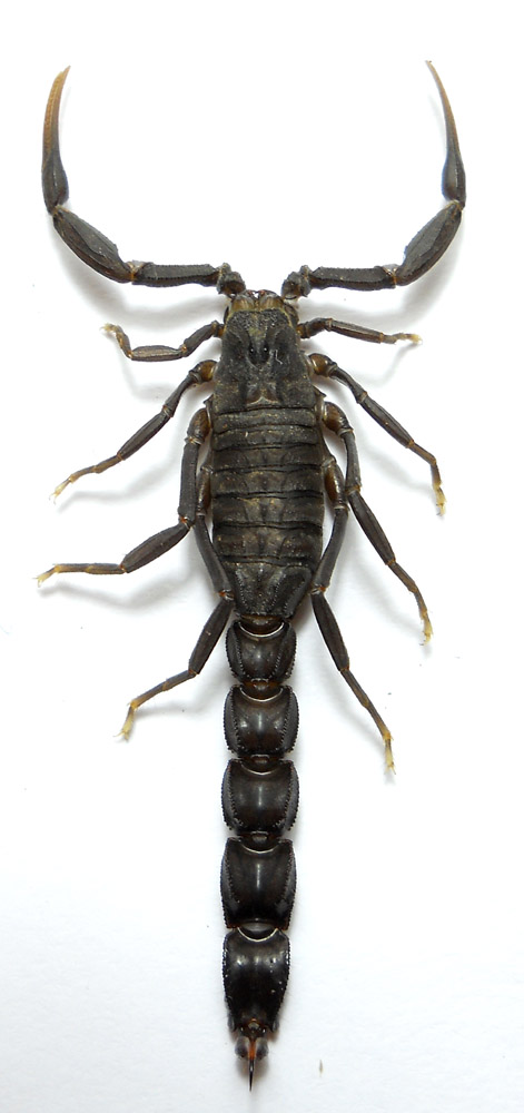
Umbro ha scritto: ne avete raccolto qualcuno di scorpione?? Sì, quelli che abbiamo trovato li abbiamo presi: Eccoti delle foto: I Buthidae di questo tipo e colore erano i soli abbastanza frequenti; lunghezza 8,5 cm (corpo + telson). Lunghezza 5,5 cm Questo e il seguente potrebbero forse essere del genere Androctonus; lunghezza 4,5 cm Lunghezza 4,3 cm Questo mi sembra il più strano di tutti. Lunghezza 3,2 cm  Ciao Piero
|
|
| Top |
|
 |
|
FORBIX
|
Inviato: 30/04/2012, 23:59 |
|
Iscritto il: 17/02/2009, 0:05 Messaggi: 8524 Località: Isola d'Elba - Arcipelago Toscano
Nome: Leonardo Forbicioni
|
Si, è vero Daniele, voi dovreste avere la subspecie tiligugu (Gmelin, 1789)....magari sarà una ssp. marocchina, ma onestamente non vedo alternative....a me sembra lui, ma non sono certo un "Lucertolaro" Magari passa Paolo Mazzei da queste parti, e saprà dirci qualcosa di più concreto. Comunque sono animali misteriosi ed affascinanti! Io ogni volta che trovo una Luscengola nei parti dell'Elba, mi diverto sempre alcuni minuti ad osservarla ed a tentare di avvicinarla, per fotografarla senza farla scappare! E' una vera e propria impresa, ma spesso ci sono riuscito, anche a filmarla! 
_________________ "Stay hungry, stay foolish". Steve Jobs, 2005 ___________________ jjuniper8(at)gmail.com Twitter: @weevil_forbixcell. 339/5275910 ___________________
|
|
| Top |
|
 |
|
FORBIX
|
Inviato: 01/05/2012, 0:10 |
|
Iscritto il: 17/02/2009, 0:05 Messaggi: 8524 Località: Isola d'Elba - Arcipelago Toscano
Nome: Leonardo Forbicioni
|
Avete ragione.....non avevo preso troppo in considerazione le dimensioni. Dovrebbe essere sempre uno Scincidae, ma lo Scinco Algerino (Eumeces algeriensis). Chiedo venia! 
_________________ "Stay hungry, stay foolish". Steve Jobs, 2005 ___________________ jjuniper8(at)gmail.com Twitter: @weevil_forbixcell. 339/5275910 ___________________
|
|
| Top |
|
 |
|
Tenebrio
|
Inviato: 01/05/2012, 0:13 |
|
Iscritto il: 05/02/2009, 17:47 Messaggi: 7252 Località: Cagliari
Nome: Piero Leo
|
Ho ancora qualche scatto del misterioso sauro:  Ciao Piero
|
|
| Top |
|
 |
|
FORBIX
|
Inviato: 01/05/2012, 0:21 |
|
Iscritto il: 17/02/2009, 0:05 Messaggi: 8524 Località: Isola d'Elba - Arcipelago Toscano
Nome: Leonardo Forbicioni
|
Ma che bello!!!! Per me con Eumeces dovremmo esserci! 
_________________ "Stay hungry, stay foolish". Steve Jobs, 2005 ___________________ jjuniper8(at)gmail.com Twitter: @weevil_forbixcell. 339/5275910 ___________________
|
|
| Top |
|
 |
|
Tenebrio
|
Inviato: 01/05/2012, 0:34 |
|
Iscritto il: 05/02/2009, 17:47 Messaggi: 7252 Località: Cagliari
Nome: Piero Leo
|
FORBIX ha scritto: Ma che bello!!!! Per me con Eumeces dovremmo esserci!   Direi proprio di sì!  Ciao Piero
|
|
| Top |
|
 |
|
eurinomio
|
Inviato: 01/05/2012, 1:25 |
|
Iscritto il: 19/09/2009, 22:25 Messaggi: 5915 Località: Brescia
Nome: Vinicio Salami
|
Tenebrio ha scritto: ...Per me con Eumeces dovremmo esserci!  ... dovrebbe proprio essere Eumeces algeriensis. 
|
|
| Top |
|
 |
|
Apoderus
|
Inviato: 01/05/2012, 12:08 |
|
Iscritto il: 08/02/2010, 23:01 Messaggi: 6188 Località: Vicenza
Nome: Silvano Biondi
|
Complimenti per il reportage. Qualche Rhynchitidae ? 
_________________
Silvano
|
|
| Top |
|
 |
|
Lucanus tetraodon
|
Inviato: 01/05/2012, 17:26 |
|
Iscritto il: 30/12/2010, 11:51 Messaggi: 4548 Località: San Giovanni Valdarno (AR)
Nome: Giovanni Altadonna
|
Bellissimo reportage, Piero; grazie per la condivisione! Grazie anche per aver postato le foto dei rettili! Anche se penso che riguardo la determinazione dello scinco non ci siano più dubbi  , inserisco per confronto le foto di un bellissimo Chalcides ocellatus tiligugu (Gmelin, 1789) effettuata il 9/IV/2012 nei pressi del Simeto. Era un esemplare di oltre 20 cm, trovato ancora intorpidito sotto una pietra, insieme a due grosse scolopendre, mentre cercavo carabidi. 
_________________ "L' uomo che è cieco alle bellezze della natura ha perduto metà del piacere di vivere" Sir Robert Baden Powell
Giovanni Altadonna
|
|
| Top |
|
 |
|