Benvenuto Ospite

Forum Entomologi Italiani

www.entomologiitaliani.net/forum
 
Oggi è 19/11/2025, 6:22

Tutti gli orari sono UTC + 1 ora [ ora legale ]

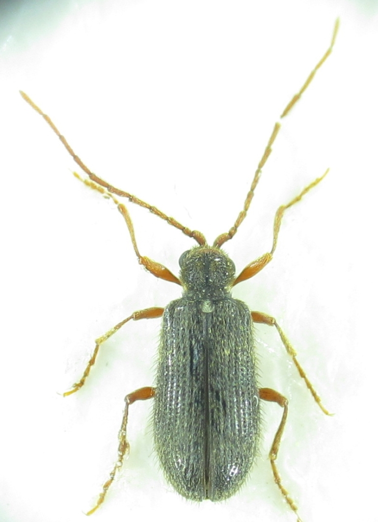
Ptinus sp. - Anobiidae Ptininae

7.VI.2015 - TURCHIA - EE, Esenyurt


nuovo argomento
rispondi
Pagina 1 di 1 [ 3 messaggi ]
Autore Messaggio
 Oggetto del messaggio: Ptinus sp. - Anobiidae Ptininae
MessaggioInviato: 23/06/2015, 19:33 
Avatar utente

Iscritto il: 21/09/2014, 11:55
Messaggi: 1561
Località: Istanbul Turkey
Nome: Barış
Ptinus sp?
Size:5 mm


Ptinus sp 5mm 07-06-2015 Ev.jpg

Top
profilo
 Oggetto del messaggio: Re: Ptinidae?
MessaggioInviato: 23/06/2015, 19:58 
 

Iscritto il: 10/07/2010, 14:42
Messaggi: 4791
Nome: Giuseppe Pace
Baris99 ha scritto:
Ptinus sp?
Size:5 mm

:ok:
Maschio di Ptinus sp.

Lo confronterei con:
Ptinus (Bruchoptinus) rufipes Olivier 1790


Ciao
Giuseppe


Top
profilo
 Oggetto del messaggio: Re: Ptinidae?
MessaggioInviato: 23/06/2015, 20:12 
Avatar utente

Iscritto il: 21/09/2014, 11:55
Messaggi: 1561
Località: Istanbul Turkey
Nome: Barış
Thank you very much for ID.Male and female is really different. :sh:
http://coleoptera.ksib.pl/search.php?img=16677


Top
profilo
Visualizza ultimi messaggi:  Ordina per  
nuovo argomento
rispondi
Pagina 1 di 1 [ 3 messaggi ]

Tutti gli orari sono UTC + 1 ora [ ora legale ]


Chi c’è in linea

Visitano il forum: Nessuno e 2 ospiti


Non puoi aprire nuovi argomenti
Non puoi rispondere negli argomenti
Non puoi modificare i tuoi messaggi
Non puoi cancellare i tuoi messaggi
Non puoi inviare allegati

Cerca per:
Vai a:  
cron