Benvenuto Ospite

Forum Entomologi Italiani

www.entomologiitaliani.net/forum
 
Oggi è 20/11/2025, 21:51

Tutti gli orari sono UTC + 1 ora [ ora legale ]

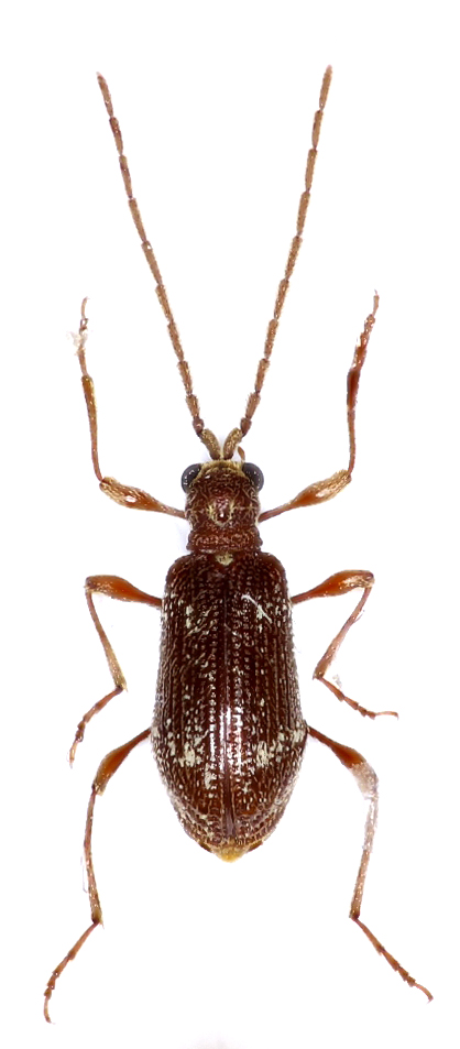
Ptinus (Ptinus) fur (Linnaeus, 1758) - Anobiidae Ptininae

10.IV.2013 - GERMANIA - EE, Northeim


nuovo argomento
rispondi
Pagina 1 di 1 [ 2 messaggi ]
Autore Messaggio
MessaggioInviato: 16/01/2016, 18:13 
Avatar utente

Iscritto il: 31/07/2014, 16:09
Messaggi: 619
Località: Northeim, Lower Saxony, Germany
Nome: Alex Hasenkampf
:hi: 4mm


4mm 10.04.13 Northeim Балкон (51°41′35″N 9°59′32″E).jpg

Top
profilo
 Oggetto del messaggio: Re: Ptinus sp.
MessaggioInviato: 20/01/2016, 22:57 
Avatar utente

Iscritto il: 31/07/2014, 16:09
Messaggi: 619
Località: Northeim, Lower Saxony, Germany
Nome: Alex Hasenkampf
Ptinus fur (Linnaeus, 1758)


Top
profilo
Visualizza ultimi messaggi:  Ordina per  
nuovo argomento
rispondi
Pagina 1 di 1 [ 2 messaggi ]

Tutti gli orari sono UTC + 1 ora [ ora legale ]


Chi c’è in linea

Visitano il forum: Nessuno e 2 ospiti


Non puoi aprire nuovi argomenti
Non puoi rispondere negli argomenti
Non puoi modificare i tuoi messaggi
Non puoi cancellare i tuoi messaggi
Non puoi inviare allegati

Cerca per:
Vai a: