| Autore |
Messaggio |
|
Fumea crassiorella
|
Inviato: 28/10/2015, 16:18 |
|
Iscritto il: 02/09/2009, 20:57 Messaggi: 8703 Località: Cagliari
Nome: Roberto Rattu
|
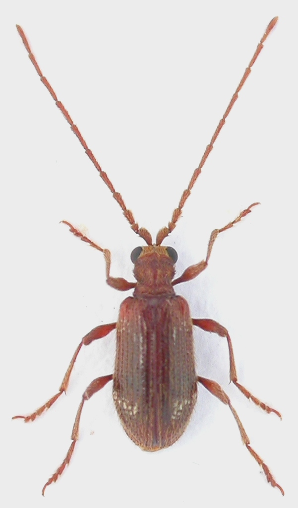
Esemplare lungo 3.5 mm raccolto alla lampada UV:
|
|
| Top |
|
 |
|
giuseppe55
|
Inviato: 28/10/2015, 19:28 |
|
Iscritto il: 10/07/2010, 14:42 Messaggi: 4842
Nome: Giuseppe Pace
|
|
Ciao Roberto,
per il momento Ptinus sp.
Dovrò controllare.
Visto che lo hai estratto penso sia possibile arrivare anche alla specie. Spero.
Ciao Giuseppe
|
|
| Top |
|
 |
|
Fumea crassiorella
|
Inviato: 28/10/2015, 20:42 |
|
Iscritto il: 02/09/2009, 20:57 Messaggi: 8703 Località: Cagliari
Nome: Roberto Rattu
|
Ciao Giuseppe, grazie 
|
|
| Top |
|
 |
|
giuseppe55
|
Inviato: 29/10/2015, 19:03 |
|
Iscritto il: 10/07/2010, 14:42 Messaggi: 4842
Nome: Giuseppe Pace
|
|
| Top |
|
 |
|
Fumea crassiorella
|
Inviato: 29/10/2015, 20:05 |
|
Iscritto il: 02/09/2009, 20:57 Messaggi: 8703 Località: Cagliari
Nome: Roberto Rattu
|
Ciao Giuseppe, ho verificato velocemente gli speroni delle tibie mediane: le punte sono lievemente curve ma certamente non uncinate. 
|
|
| Top |
|
 |
|
giuseppe55
|
Inviato: 30/10/2015, 19:27 |
|
Iscritto il: 10/07/2010, 14:42 Messaggi: 4842
Nome: Giuseppe Pace
|
Fumea crassiorella ha scritto: Ciao Giuseppe, ho verificato velocemente gli speroni delle tibie mediane: le punte sono lievemente curve ma certamente non uncinate. Grazie Roberto, visto che si tratta di specie diversa, occorre verificare gli altri caratteri, come la pubescenza delle elitre. Quella delle interstrie si intuisce. Sembra relativamente lunga, in singola fila, ed eretta/inclinata. Quella delle strie penso sia più corta ed aderente. Ma i singoli peli sono più piccoli del punto o raggiungo la base del successivo ? Ciao Giuseppe
|
|
| Top |
|
 |
|
Fumea crassiorella
|
Inviato: 01/11/2015, 13:56 |
|
Iscritto il: 02/09/2009, 20:57 Messaggi: 8703 Località: Cagliari
Nome: Roberto Rattu
|
giuseppe55 ha scritto: Fumea crassiorella ha scritto: Ciao Giuseppe, ho verificato velocemente gli speroni delle tibie mediane: le punte sono lievemente curve ma certamente non uncinate. Grazie Roberto, visto che si tratta di specie diversa, occorre verificare gli altri caratteri, come la pubescenza delle elitre. Quella delle interstrie si intuisce. Sembra relativamente lunga, in singola fila, ed eretta/inclinata. Quella delle strie penso sia più corta ed aderente. Ma i singoli peli sono più piccoli del punto o raggiungo la base del successivo ? Ciao Giuseppe Giuseppe, la pubescenza nelle strie è abbattuta, nelle interstrie è invece distintamente sollevata, sub-eretta specialmente nella declività delle elitre. Confermo la lunghezza dei peli: l'apice raggiunge il punto di inserzione del pelo successivo. 
|
|
| Top |
|
 |
|
giuseppe55
|
Inviato: 01/11/2015, 19:44 |
|
Iscritto il: 10/07/2010, 14:42 Messaggi: 4842
Nome: Giuseppe Pace
|
Fumea crassiorella ha scritto: Giuseppe, la pubescenza nelle strie è abbattuta, nelle interstrie è invece distintamente sollevata, sub-eretta specialmente nella declività delle elitre. Confermo la lunghezza dei peli: l'apice raggiunge il punto di inserzione del pelo successivo. Grazie Roberto, controllo se con le tue indicazioni riesco ad arrivare alla specie. Ciao Giuseppe
|
|
| Top |
|
 |
|
giuseppe55
|
Inviato: 03/11/2015, 19:49 |
|
Iscritto il: 10/07/2010, 14:42 Messaggi: 4842
Nome: Giuseppe Pace
|
|
Ciao Roberto,
ho provato a controllare se riuscivo ad arrivare alla specie. Riesco ad escluderne solo alcune. Il genere è abbastanza difficile e sono troppe le specie che ancora non conosco.
Ci vorrebbe il parere di Benjamin Calmont (Jean-ed de la Quenouille).
Giuseppe
|
|
| Top |
|
 |
|
Fumea crassiorella
|
Inviato: 03/11/2015, 20:02 |
|
Iscritto il: 02/09/2009, 20:57 Messaggi: 8703 Località: Cagliari
Nome: Roberto Rattu
|
Grazie per l'impegno e la pazienza giuseppe55 ha scritto: Il genere è abbastanza difficile e sono troppe le specie che ancora non conosco Lo avevo immaginato; avevo provato anche io a determinarlo ma ho gettato la spugna da subito 
|
|
| Top |
|
 |
|
giuseppe55
|
Inviato: 03/11/2015, 20:12 |
|
Iscritto il: 10/07/2010, 14:42 Messaggi: 4842
Nome: Giuseppe Pace
|
Dovrò provvedere a cercare/scambiare le specie che ancora non conosco. Ciao Giuseppe
|
|
| Top |
|
 |
|
Jean-ed de la Quenouille
|
Inviato: 02/09/2016, 12:16 |
|
Iscritto il: 15/12/2011, 21:07 Messaggi: 69
Nome: Benjamin Calmont
|
giuseppe55 ha scritto: :sick: Dovrò provvedere a cercare/scambiare le specie che ancora non conosco. Ciao Giuseppe Giuseppe infine, questa specie è un Ptinus corsicus Kiesenwetter 1877. Ho bisogno del vostro indirizzo per inviare la fauna della Francia Ptinina e Gibbinae, in ringraziamento per i tuoi esempi. Per avere un'idea del libro, è qui: http://www.insecte.org/forum/viewtopic.php?t=155925
|
|
| Top |
|
 |
|
giuseppe55
|
Inviato: 02/09/2016, 16:09 |
|
Iscritto il: 10/07/2010, 14:42 Messaggi: 4842
Nome: Giuseppe Pace
|
giuseppe55 ha scritto: Ci vorrebbe il parere di Benjamin Calmont (Jean-ed de la Quenouille). Jean-ed de la Quenouille ha scritto: Giuseppe infine, questa specie è un Ptinus corsicus Kiesenwetter 1877. Avevo ragione a dire che serviva il parere di un Esperto. Jean-ed de la Quenouille ha scritto: Ho bisogno del vostro indirizzo per inviare la fauna della Francia Ptinina e Gibbinae, in ringraziamento per i tuoi esempi. Per avere un'idea del libro, è qui: http://www.insecte.org/forum/viewtopic.php?t=155925Sono lieto che il libro sia stato pubblicato. Da quanto vedo è venuto BENISSIMO. Sono curiosissimo di leggerlo. Ciao Giuseppe
|
|
| Top |
|
 |
|
Fumea crassiorella
|
Inviato: 02/09/2016, 17:46 |
|
Iscritto il: 02/09/2009, 20:57 Messaggi: 8703 Località: Cagliari
Nome: Roberto Rattu
|
Grazie della determinazione 
|
|
| Top |
|
 |
|