Benvenuto Ospite

Forum Entomologi Italiani

www.entomologiitaliani.net/forum
 
Oggi è 19/11/2025, 21:08

Tutti gli orari sono UTC + 1 ora [ ora legale ]

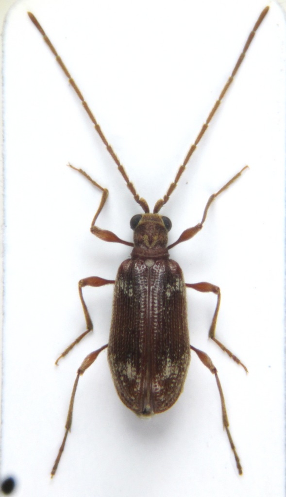
Ptinus (Ptinus) fur (Linnaeus, 1758) - Anobiidae Ptininae

21.XII.2015 - ROMANIA - EE, Bacau County: Comanesti


nuovo argomento
rispondi
Pagina 1 di 1 [ 3 messaggi ]
Autore Messaggio
MessaggioInviato: 25/01/2020, 22:47 
Avatar utente

Iscritto il: 31/08/2010, 7:16
Messaggi: 3040
Località: Romania
Nome: Pintilioaie Alexandru Mihai
Lenght ~ 4.5 mm, is it Ptinus fur? :birra: :hi:

IMG_0487.JPG



IMG_0488.JPG



IMG_0490.JPG


_________________
alexandrupintilioaie(AT)gmail.com


Top
profilo
 Oggetto del messaggio: Re: Ptinus fur?
MessaggioInviato: 26/01/2020, 13:01 
 

Iscritto il: 10/07/2010, 14:42
Messaggi: 4792
Nome: Giuseppe Pace
Sì,

Ptinus (Ptinus) fur (Linné, 1758).

Ciao
Giuseppe


Top
profilo
MessaggioInviato: 26/01/2020, 18:12 
Avatar utente

Iscritto il: 31/08/2010, 7:16
Messaggi: 3040
Località: Romania
Nome: Pintilioaie Alexandru Mihai
Thank you :birra: :lov1: :hi:

_________________
alexandrupintilioaie(AT)gmail.com


Top
profilo
Visualizza ultimi messaggi:  Ordina per  
nuovo argomento
rispondi
Pagina 1 di 1 [ 3 messaggi ]

Tutti gli orari sono UTC + 1 ora [ ora legale ]


Chi c’è in linea

Visitano il forum: Nessuno e 3 ospiti


Non puoi aprire nuovi argomenti
Non puoi rispondere negli argomenti
Non puoi modificare i tuoi messaggi
Non puoi cancellare i tuoi messaggi
Non puoi inviare allegati

Cerca per:
Vai a: