Benvenuto Ospite

Forum Entomologi Italiani

www.entomologiitaliani.net/forum
 
Oggi è 19/04/2026, 21:59

Tutti gli orari sono UTC + 1 ora [ ora legale ]

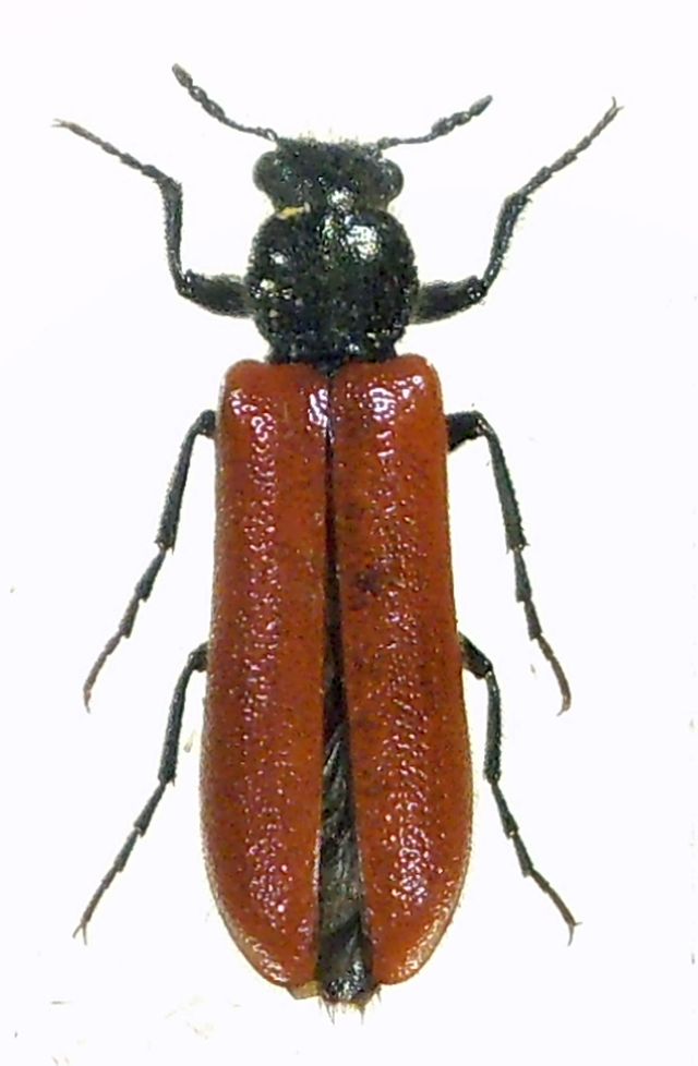
Psoa dubia (Rossi 1792) - Bostrichidae

5.V.2013 - ITALIA - Emilia-Romagna - RA, monte Mauro, 450 m ca.


nuovo argomento
rispondi
Pagina 1 di 1 [ 4 messaggi ]
Autore Messaggio
MessaggioInviato: 10/11/2015, 21:40 
 

Iscritto il: 08/12/2013, 1:52
Messaggi: 7698
Località: Bagnacavallo (RA)
Nome: Giorgio Pezzi
Questo esemplare mi è stato donato dal raccoglitore, l'amico A. Mingazzini che ringrazio. Di Romagna ho notizia di un altro esemplare in coll. I. Gudenzi e trovato a Cusercoli nel 1978. Qualcuno ha altri reperti per la Romagna? Grazie.
:hi:
DSCF2107.JPG



Top
profilo
MessaggioInviato: 11/11/2015, 20:18 
 

Iscritto il: 10/07/2010, 14:42
Messaggi: 4869
Nome: Giuseppe Pace
Ciao Giorgio,

di che colore è la pubescenza delle elitre ?

Giuseppe


Top
profilo
MessaggioInviato: 12/11/2015, 20:58 
 

Iscritto il: 08/12/2013, 1:52
Messaggi: 7698
Località: Bagnacavallo (RA)
Nome: Giorgio Pezzi
Se stai pensando alla viennensis direi di no perchè la setolosità è eretta e nera. :hi:


Top
profilo
MessaggioInviato: 13/11/2015, 19:15 
 

Iscritto il: 10/07/2010, 14:42
Messaggi: 4869
Nome: Giuseppe Pace
Chalybion ha scritto:
Se stai pensando alla viennensis direi di no perchè la setolosità è eretta e nera.

:)

Ero certo che avevi controllato il carattere.
La richiesta era però d'obbligo vista l'interessante località.

Ciao
Giuseppe


Top
profilo
Visualizza ultimi messaggi:  Ordina per  
nuovo argomento
rispondi
Pagina 1 di 1 [ 4 messaggi ]

Tutti gli orari sono UTC + 1 ora [ ora legale ]


Chi c’è in linea

Visitano il forum: Nessuno e 1 ospite


Non puoi aprire nuovi argomenti
Non puoi rispondere negli argomenti
Non puoi modificare i tuoi messaggi
Non puoi cancellare i tuoi messaggi
Non puoi inviare allegati

Cerca per:
Vai a: