Benvenuto Ospite

Forum Entomologi Italiani

www.entomologiitaliani.net/forum
 
Oggi è 29/05/2026, 18:02

Tutti gli orari sono UTC + 1 ora [ ora legale ]

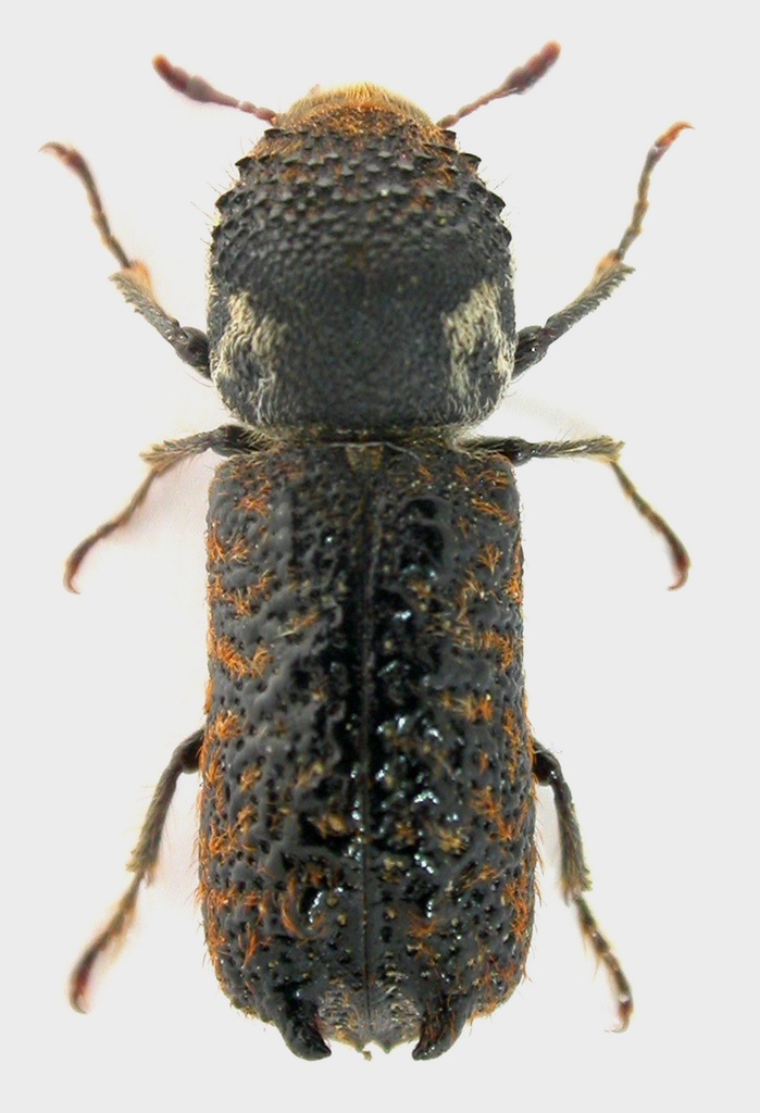
Schistoceros bimaculatus (Olivier, 1790) - Bostrichidae

28.IV.2018 - ITALIA - Sardegna - CA, Saline di Cagliari, R. Rattu leg.


nuovo argomento
rispondi
Pagina 1 di 1 [ 1 messaggio ]
Autore Messaggio
MessaggioInviato: 06/05/2018, 19:51 
Avatar utente

Iscritto il: 02/09/2009, 20:57
Messaggi: 8703
Località: Cagliari
Nome: Roberto Rattu
Un bostrichide che si incontra di rado: Schistoceros bimaculatus. Raccolto, un po' inaspettatamente, ombrellando Tamarix. Misura 9.0 mm

DSCN3638.JPG



Top
profilo
Visualizza ultimi messaggi:  Ordina per  
nuovo argomento
rispondi
Pagina 1 di 1 [ 1 messaggio ]

Tutti gli orari sono UTC + 1 ora [ ora legale ]


Chi c’è in linea

Visitano il forum: Nessuno e 0 ospiti


Non puoi aprire nuovi argomenti
Non puoi rispondere negli argomenti
Non puoi modificare i tuoi messaggi
Non puoi cancellare i tuoi messaggi
Non puoi inviare allegati

Cerca per:
Vai a: