Forum Entomologi Italiani
https://www.entomologiitaliani.net/public/forum/phpbb3/

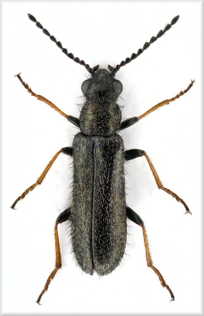
Dasytes (Mesodasytes) nigroaeneus Küster, 1850 - Dasytidae
https://www.entomologiitaliani.net/public/forum/phpbb3/viewtopic.php?f=430&t=27425
Pagina 1 di 1

Autore:  Andrea Pergine [ 07/10/2011, 17:31 ]
Oggetto del messaggio:  Dasytes (Mesodasytes) nigroaeneus Küster, 1850 - Dasytidae

:hi: Per non prendere cantonate non mi sbilancio nemmeno sulla famiglia.... :?

Spero molto nella vostra collaborazione! :birra: :birra: :birra:

lunghezza: 3,7 mm
foto 1.jpg


Autore:  Julodis [ 07/10/2011, 17:50 ]
Oggetto del messaggio:  Re: Coleottero dell'Isola di San Pietro - Sardegna

La famiglia dovrebbe essere Dasytidae.

Autore:  Palaemonetes [ 07/10/2011, 22:23 ]
Oggetto del messaggio:  Re: Coleottero dell'Isola di San Pietro - Sardegna

Credo sia Dasytes (Mesodasytes) nigroaeneus Kuster 1850.

Autore:  Andrea Pergine [ 08/10/2011, 0:43 ]
Oggetto del messaggio:  Re: Coleottero dell'Isola di San Pietro - Sardegna

:birra: Grazie mille Maurizio e soprattutto Andrea, sembra proprio lui! :birra:
Con queste piccole famiglie ho pochissima dimestichezza! :cry:

Grazie ancora! :lov2:

:hi: :hi: :hi:

Pagina 1 di 1 Tutti gli orari sono UTC + 1 ora [ ora legale ]
Powered by phpBB® Forum Software © phpBB Group
http://www.phpbb.com/