Benvenuto Ospite

Forum Entomologi Italiani

www.entomologiitaliani.net/forum
 
Oggi è 22/11/2025, 20:27

Tutti gli orari sono UTC + 1 ora [ ora legale ]

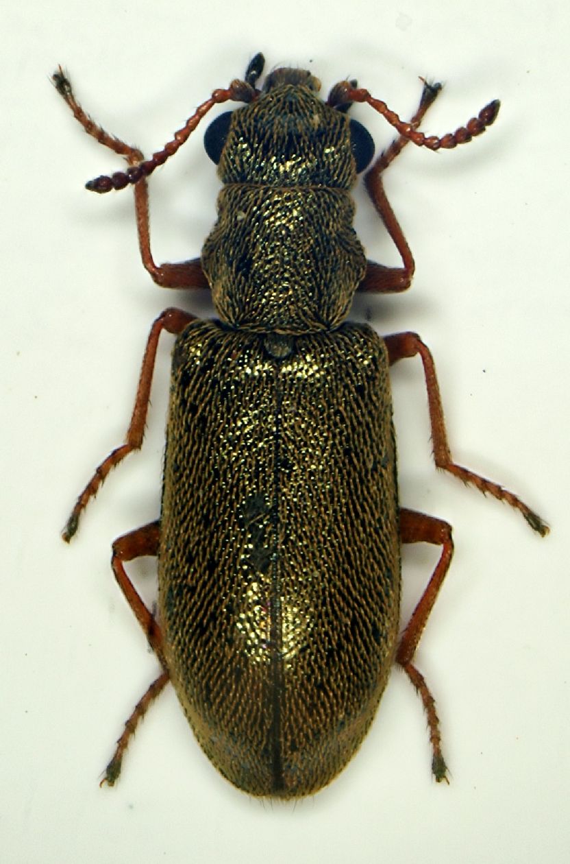
Danacea ambigua Mulsant & Rey 1868 - Dasytidae

10.XI.2011 - ITALIA - Emilia-Romagna - BO, Sasso Marconi


nuovo argomento
rispondi
Pagina 1 di 1 [ 4 messaggi ]
Autore Messaggio
MessaggioInviato: 18/11/2011, 23:21 
Avatar utente

Iscritto il: 05/02/2009, 17:25
Messaggi: 4894
Località: Zola Predosa (BO)
Nome: Loris Colacurcio
Un incontro inaspettato per chi vaglia...o almeno credo.
Raccolto da lavaggio di terreno raccolto sotto pietra mediamente infossata....forse era a riposare, in attesa della bella stagione.

Lunghezza: sui 3-4 mm.

A Dasytide (SassO).JPG


_________________
Loris


Top
profilo
 Oggetto del messaggio: Re: Danacea ?? - Dasytidae
MessaggioInviato: 19/11/2011, 0:06 
Avatar utente

Iscritto il: 17/02/2009, 0:05
Messaggi: 8521
Località: Isola d'Elba - Arcipelago Toscano
Nome: Leonardo Forbicioni
Oh questa cosa ci faceva sotto terra! :? :? :?
Non credevo che svernassero da adulti! :roll:

_________________
"Stay hungry, stay foolish".
Steve Jobs, 2005
___________________
jjuniper8(at)gmail.com
Twitter: @weevil_forbix
cell. 339/5275910
___________________


Top
profilo
 Oggetto del messaggio: Re: Danacea ?? - Dasytidae
MessaggioInviato: 05/12/2011, 16:20 
Avatar utente

Iscritto il: 18/02/2009, 0:24
Messaggi: 3909
Località: Asciano (Siena)
Nome: Andrea Petrioli
Credo che per il Genere non ci siano dubbi :oops: :oops: :oops: vero? :D

_________________
:hi:
______
Andrea


Top
profilo
 Oggetto del messaggio: Re: Danacea sp. - Dasytidae
MessaggioInviato: 05/07/2014, 19:53 
Avatar utente

Iscritto il: 14/03/2009, 12:59
Messaggi: 3238
Località: Milano
Nome: Gabriele Franzini
Ciao, ho finalmente esaminato l'esemplare passatomi da Loris e si tratta di Danacea ambigua Mulsant &Rey 1868.

Lo svernamento allo stato adulto è presente in vari Dasytidae, e combacia bene con il fatto che questa specie a fine marzo è già in giro anche al Nord.

:hi: :hi: G.


Top
profilo
Visualizza ultimi messaggi:  Ordina per  
nuovo argomento
rispondi
Pagina 1 di 1 [ 4 messaggi ]

Tutti gli orari sono UTC + 1 ora [ ora legale ]


Chi c’è in linea

Visitano il forum: Nessuno e 4 ospiti


Non puoi aprire nuovi argomenti
Non puoi rispondere negli argomenti
Non puoi modificare i tuoi messaggi
Non puoi cancellare i tuoi messaggi
Non puoi inviare allegati

Cerca per:
Vai a:  
cron