Benvenuto Ospite

Forum Entomologi Italiani

www.entomologiitaliani.net/forum
 
Oggi è 27/03/2026, 10:46

Tutti gli orari sono UTC + 1 ora [ ora legale ]

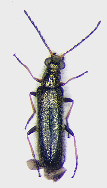
Dasytes (Mesodasytes) iteratus Peyerimhoff, 1925 - Dasytidae

5.VI.2015 - ITALIA - Sardegna - SS, Strada tra Ittireddu e Foresta Burgos, m 500


nuovo argomento
rispondi
Pagina 1 di 1 [ 1 messaggio ]
Autore Messaggio
MessaggioInviato: 25/08/2015, 21:43 
Avatar utente

Iscritto il: 14/03/2009, 12:59
Messaggi: 3258
Località: Milano
Nome: Gabriele Franzini
leg. A. & G. Franzini. Maschio, lungh. 4 mm.
Dasytes iteratus M.jpg



Specie sarda e nord-africana, con una presenza marginale in Francia (Var).
Con tutte le tibie gialle e (anche se in foto non si vedono bene) i femori tutti gialli alla base, in Sardegna ce ne sono 2 specie (questa e il D.croceipes Kiesenwetter, 1865) distinguibili con sicurezza solo dall'esame dell'edeago.

:hi: :hi: G.


Top
profilo
Visualizza ultimi messaggi:  Ordina per  
nuovo argomento
rispondi
Pagina 1 di 1 [ 1 messaggio ]

Tutti gli orari sono UTC + 1 ora [ ora legale ]


Chi c’è in linea

Visitano il forum: Nessuno e 1 ospite


Non puoi aprire nuovi argomenti
Non puoi rispondere negli argomenti
Non puoi modificare i tuoi messaggi
Non puoi cancellare i tuoi messaggi
Non puoi inviare allegati

Cerca per:
Vai a: