Benvenuto Ospite

Forum Entomologi Italiani

www.entomologiitaliani.net/forum
 
Oggi è 28/03/2026, 11:18

Tutti gli orari sono UTC + 1 ora [ ora legale ]

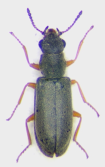
Danacea (Danacea) sardoa sardoa Kiesenwetter 1871 - Dasytidae

4.VI.2015 - ITALIA - Sardegna - NU, Fonni - Bruncu Spina m 1500


nuovo argomento
rispondi
Pagina 1 di 1 [ 1 messaggio ]
Autore Messaggio
MessaggioInviato: 31/10/2015, 17:42 
Avatar utente

Iscritto il: 14/03/2009, 12:59
Messaggi: 3258
Località: Milano
Nome: Gabriele Franzini
Maschio, lungh. 3,5 mm, leg. A & G. Franzini.
Danacea sardoa.jpg


Questa volta tocca ad una specie molto comune e diffusa, una delle due più frequenti in Sardegna (l'altra è la imperialis). E' riconoscibile per le setole del pronoto orientate in avanti, tranne una zona dietro il bordo anteriore in cui sono all'indietro, e per le appendici gialle.
In Sardegna ce ne sono due sottospecie, in Corsica un'altra e un'altra ancora nell'Arcipelago Toscano.

:hi: :hi: G.


Top
profilo
Visualizza ultimi messaggi:  Ordina per  
nuovo argomento
rispondi
Pagina 1 di 1 [ 1 messaggio ]

Tutti gli orari sono UTC + 1 ora [ ora legale ]


Chi c’è in linea

Visitano il forum: Nessuno e 1 ospite


Non puoi aprire nuovi argomenti
Non puoi rispondere negli argomenti
Non puoi modificare i tuoi messaggi
Non puoi cancellare i tuoi messaggi
Non puoi inviare allegati

Cerca per:
Vai a: