Benvenuto Ospite

Forum Entomologi Italiani

www.entomologiitaliani.net/forum
 
Oggi è 23/05/2026, 23:39

Tutti gli orari sono UTC + 1 ora [ ora legale ]

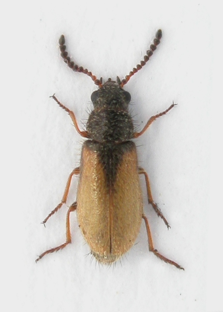
Dasytes (Dasytes) flavescens Gené, 1839 - Dasytidae

11.V.2013 - ITALIA - Sardegna - CA, Cagliari, Saline, Molentàrgius, R. Rattu leg.


nuovo argomento
rispondi
Pagina 1 di 1 [ 3 messaggi ]
Autore Messaggio
MessaggioInviato: 14/03/2016, 17:07 
Avatar utente

Iscritto il: 02/09/2009, 20:57
Messaggi: 8703
Località: Cagliari
Nome: Roberto Rattu
Questa, se determinata correttamente come da titolo, appare una specie piuttosto caratteristica per la fauna sarda del genere Dasytes (s. str.): misura 3.1 mm

DSCN1570.JPG



Top
profilo
MessaggioInviato: 14/03/2016, 21:47 
Avatar utente

Iscritto il: 14/03/2009, 12:59
Messaggi: 3274
Località: Milano
Nome: Gabriele Franzini
:ok: :ok: A confermare questo non ci sono rischi.

:hi: :hi: G.


Top
profilo
MessaggioInviato: 14/03/2016, 23:06 
Avatar utente

Iscritto il: 17/02/2009, 0:05
Messaggi: 8524
Località: Isola d'Elba - Arcipelago Toscano
Nome: Leonardo Forbicioni
Questo mi piace!!...forse proprio perchè si distingue facilmente! :lol1: :lol1:

_________________
"Stay hungry, stay foolish".
Steve Jobs, 2005
___________________
jjuniper8(at)gmail.com
Twitter: @weevil_forbix
cell. 339/5275910
___________________


Top
profilo
Visualizza ultimi messaggi:  Ordina per  
nuovo argomento
rispondi
Pagina 1 di 1 [ 3 messaggi ]

Tutti gli orari sono UTC + 1 ora [ ora legale ]


Chi c’è in linea

Visitano il forum: Nessuno e 1 ospite


Non puoi aprire nuovi argomenti
Non puoi rispondere negli argomenti
Non puoi modificare i tuoi messaggi
Non puoi cancellare i tuoi messaggi
Non puoi inviare allegati

Cerca per:
Vai a: