Benvenuto Ospite

Forum Entomologi Italiani

www.entomologiitaliani.net/forum
 
Oggi è 20/04/2026, 16:44

Tutti gli orari sono UTC + 1 ora [ ora legale ]

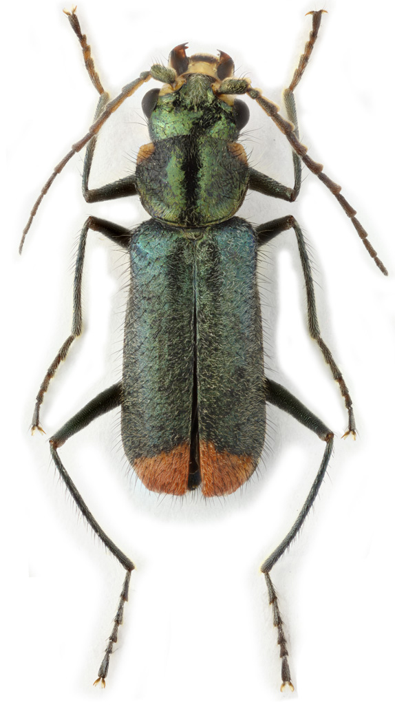
Clanoptilus (Hypoptilus) assimilis (Erichson, 1840) - Malachiidae

2.V.2017 - TURCHIA - EE, Mugla prov., Fethie distr., Oludeniz env.


nuovo argomento
rispondi
Pagina 1 di 1 [ 3 messaggi ]
Autore Messaggio
MessaggioInviato: 24/07/2023, 12:15 
 

Iscritto il: 01/05/2020, 0:49
Messaggi: 53
Nome: Maxim Smirnov
Something from turkish Malachius - ID please if possible. 5,9 mm.


Malachius.jpg

Top
profilo
 Oggetto del messaggio: Re: Malachius from Turkey
MessaggioInviato: 24/07/2023, 16:32 
Avatar utente

Iscritto il: 14/03/2009, 12:59
Messaggi: 3262
Località: Milano
Nome: Gabriele Franzini
Hi Maxim,
if it has the apex of elytra slightly dented it is a male of Clanoptilus (Hypoptilus) assimilis (Erichson, 1840), a species found rather often in E-Mediterranean.

:hi: :hi: G.


Top
profilo
 Oggetto del messaggio: Re: Malachius from Turkey
MessaggioInviato: 24/07/2023, 17:55 
 

Iscritto il: 01/05/2020, 0:49
Messaggi: 53
Nome: Maxim Smirnov
Many thanks Gabriele! :hi:


Top
profilo
Visualizza ultimi messaggi:  Ordina per  
nuovo argomento
rispondi
Pagina 1 di 1 [ 3 messaggi ]

Tutti gli orari sono UTC + 1 ora [ ora legale ]


Chi c’è in linea

Visitano il forum: Nessuno e 1 ospite


Non puoi aprire nuovi argomenti
Non puoi rispondere negli argomenti
Non puoi modificare i tuoi messaggi
Non puoi cancellare i tuoi messaggi
Non puoi inviare allegati

Cerca per:
Vai a: