Benvenuto Ospite

Forum Entomologi Italiani

www.entomologiitaliani.net/forum
 
Oggi è 20/04/2026, 14:09

Tutti gli orari sono UTC + 1 ora [ ora legale ]

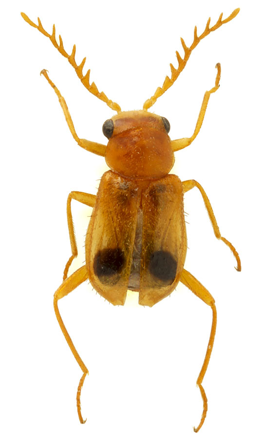
Attalus (Attalus) lutatus Abeille, 1890 - Malachiidae

12.I.2015 - EGITTO - EE, Sharm-El-Sheikh


nuovo argomento
rispondi
Pagina 1 di 1 [ 4 messaggi ]
Autore Messaggio
MessaggioInviato: 20/08/2015, 22:15 
Avatar utente

Iscritto il: 13/04/2013, 14:10
Messaggi: 401
Località: Moscow
Nome: Ilya Zabaluev
3 mm


Malachidae_Egypt.jpg

Top
profilo
 Oggetto del messaggio: Re: Malachidae Egypt ID
MessaggioInviato: 20/08/2015, 23:44 
 

Iscritto il: 25/01/2012, 21:39
Messaggi: 496
Località: athens, greece
Nome: Kakiopoulos George
Amazing insect, bravo !!!
Attalus (s. str.) lutatus Ab., 1890
Endemic of Egypt,
male sex
Goodnight from Athens, :hi: :hi:
George


Top
profilo
MessaggioInviato: 21/08/2015, 0:17 
Avatar utente

Iscritto il: 25/11/2009, 9:31
Messaggi: 8159
Località: Lecce
Nome: Maurizio Bollino
Here goes a recently published paper about Malachiidae of Egypt.


Malachiidae in Egypt.pdf [1.95 MiB]
Scaricato 105 volte

_________________
Maurizio Bollino
Top
profilo
 Oggetto del messaggio: Re: Malachidae Egypt ID
MessaggioInviato: 21/08/2015, 6:27 
Avatar utente

Iscritto il: 13/04/2013, 14:10
Messaggi: 401
Località: Moscow
Nome: Ilya Zabaluev
strepens ha scritto:
Amazing insect, bravo !!!
Attalus (s. str.) lutatus Ab., 1890
Endemic of Egypt,
male sex
Goodnight from Athens, :hi: :hi:
George

Thank you! :hi:


Top
profilo
Visualizza ultimi messaggi:  Ordina per  
nuovo argomento
rispondi
Pagina 1 di 1 [ 4 messaggi ]

Tutti gli orari sono UTC + 1 ora [ ora legale ]


Chi c’è in linea

Visitano il forum: Nessuno e 1 ospite


Non puoi aprire nuovi argomenti
Non puoi rispondere negli argomenti
Non puoi modificare i tuoi messaggi
Non puoi cancellare i tuoi messaggi
Non puoi inviare allegati

Cerca per:
Vai a: