Benvenuto Ospite

Forum Entomologi Italiani

www.entomologiitaliani.net/forum
 
Oggi è 23/05/2026, 13:55

Tutti gli orari sono UTC + 1 ora [ ora legale ]

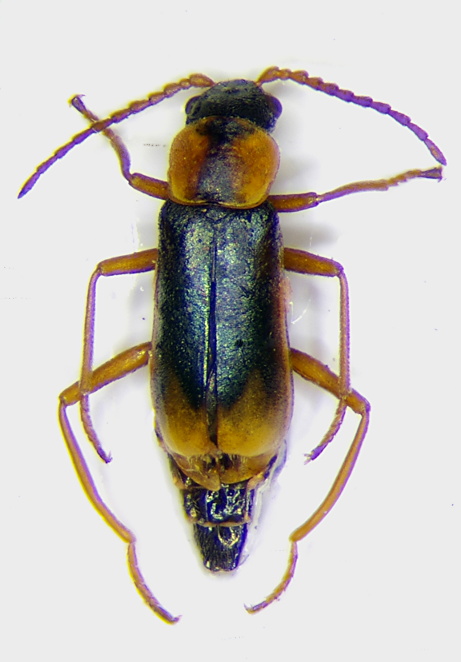
Cerapheles lateplagiatus (Fairmaire, 1862) - Malachiidae

18.V.2016 - ITALIA - Emilia-Romagna - BO, Mordano - Bubano


nuovo argomento
rispondi
Pagina 1 di 1 [ 2 messaggi ]
Autore Messaggio
MessaggioInviato: 25/09/2016, 22:42 
Avatar utente

Iscritto il: 14/03/2009, 12:59
Messaggi: 3274
Località: Milano
Nome: Gabriele Franzini
Maschio, lunghezza 4 mm, legit L. Colacurcio :hp: :hp:

Una delle prime belle sorprese di ritorno da Entomodena.

Il catalogo di Pasqual (2010) lo segnala per alcune località del Veneto e Friuli VG, e quello di Luigioni (1929) per il Lazio. Credo quindi che si tratti di una specie nuova per l'Emilia-Romagna.
Cerapheles lateplagiatus.jpg



Dovrebbe essere una specie tipica di ambienti palustri, e Abeille de Perrin la dà come legata ad Iris pseudacorus.

La primavera prossima, i frequentatori seriali :lov2: :lov2: di questa località, dove immagino che gli Iris non manchino, hanno un compito in più...

:hi: :hi: G.


Top
profilo
MessaggioInviato: 26/09/2016, 16:08 
Avatar utente

Iscritto il: 19/06/2012, 14:35
Messaggi: 5667
Località: Alfonsine (RA)
Nome: Marco Villani
Complimenti, ottimo ritrovamento!
Sebbene la Romagna sia considerata una delle regioni più studiate dal punto di vista entomologico, in questi ultimi tempi stanno saltando fuori specie inaspettate, soprattutto per quanto riguarda i gruppi meno noti.


Top
profilo
Visualizza ultimi messaggi:  Ordina per  
nuovo argomento
rispondi
Pagina 1 di 1 [ 2 messaggi ]

Tutti gli orari sono UTC + 1 ora [ ora legale ]


Chi c’è in linea

Visitano il forum: Nessuno e 3 ospiti


Non puoi aprire nuovi argomenti
Non puoi rispondere negli argomenti
Non puoi modificare i tuoi messaggi
Non puoi cancellare i tuoi messaggi
Non puoi inviare allegati

Cerca per:
Vai a:  
cron