Benvenuto Ospite

Forum Entomologi Italiani

www.entomologiitaliani.net/forum
 
Oggi è 22/12/2025, 19:53

Tutti gli orari sono UTC + 1 ora [ ora legale ]

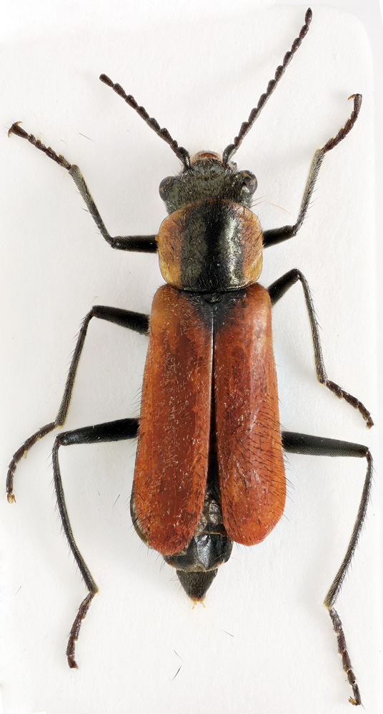
Malachius coccineus Waltl, 1838 - Malachiidae

6.V.2017 - TURCHIA - EE, Antalya prov., Side env.


nuovo argomento
rispondi
Pagina 1 di 1 [ 4 messaggi ]
Autore Messaggio
MessaggioInviato: 20/07/2022, 14:45 
Avatar utente

Iscritto il: 13/04/2013, 14:10
Messaggi: 401
Località: Moscow
Nome: Ilya Zabaluev
~ 6 mm


Malachius_Side_head_mini.jpg

Malachius_Side_mini.jpg

Top
profilo
 Oggetto del messaggio: Re: Malachius
MessaggioInviato: 21/07/2022, 16:39 
Avatar utente

Iscritto il: 13/04/2013, 14:10
Messaggi: 401
Località: Moscow
Nome: Ilya Zabaluev
Anthocomus rufus (Herbst, 1784) :(


Top
profilo
 Oggetto del messaggio: Re: Malachius
MessaggioInviato: 21/07/2022, 18:24 
 

Iscritto il: 01/05/2020, 0:49
Messaggi: 53
Nome: Maxim Smirnov
Hi Ilya, I would say it is Malachius. M. coccineus Waltl, 1838


Top
profilo
 Oggetto del messaggio: Re: Malachius
MessaggioInviato: 22/07/2022, 10:15 
Avatar utente

Iscritto il: 13/04/2013, 14:10
Messaggi: 401
Località: Moscow
Nome: Ilya Zabaluev
Very similar. Thank you, Maxim!


Top
profilo
Visualizza ultimi messaggi:  Ordina per  
nuovo argomento
rispondi
Pagina 1 di 1 [ 4 messaggi ]

Tutti gli orari sono UTC + 1 ora [ ora legale ]


Chi c’è in linea

Visitano il forum: Nessuno e 1 ospite


Non puoi aprire nuovi argomenti
Non puoi rispondere negli argomenti
Non puoi modificare i tuoi messaggi
Non puoi cancellare i tuoi messaggi
Non puoi inviare allegati

Cerca per:
Vai a: