Benvenuto Ospite

Forum Entomologi Italiani

www.entomologiitaliani.net/forum
 
Oggi è 02/03/2026, 8:48

Tutti gli orari sono UTC + 1 ora [ ora legale ]

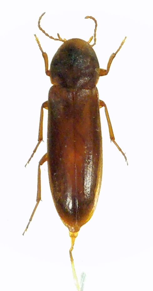
Phloyotria (Phloyotria) tenuis (Hampe, 1850) - Melandryidae

21.VIII.2010 - ITALIA - Toscana - FI, Val d. Meda, dintorni di Marradi


nuovo argomento
rispondi
Pagina 1 di 1 [ 2 messaggi ]
Autore Messaggio
MessaggioInviato: 27/11/2015, 21:57 
 

Iscritto il: 08/12/2013, 1:52
Messaggi: 7661
Località: Bagnacavallo (RA)
Nome: Giorgio Pezzi
Chiedo se avete reperti su questa specie per l'Emilia-Romagna o zone limitrofe. L'esemplare, 10 mm, è stato raccolto al telo con luce bianca.
Grazie. Giorgio.
DSCF2123.JPG


:hi:


DSCF2122.JPG

Top
profilo
MessaggioInviato: 28/11/2015, 21:05 
 

Iscritto il: 10/07/2010, 14:42
Messaggi: 4859
Nome: Giuseppe Pace
Ho reperti solo di Lazio e Campania.

Ciao
Giuseppe


Top
profilo
Visualizza ultimi messaggi:  Ordina per  
nuovo argomento
rispondi
Pagina 1 di 1 [ 2 messaggi ]

Tutti gli orari sono UTC + 1 ora [ ora legale ]


Chi c’è in linea

Visitano il forum: Google [Bot] e 1 ospite


Non puoi aprire nuovi argomenti
Non puoi rispondere negli argomenti
Non puoi modificare i tuoi messaggi
Non puoi cancellare i tuoi messaggi
Non puoi inviare allegati

Cerca per:
Vai a: