Benvenuto Ospite

Forum Entomologi Italiani

www.entomologiitaliani.net/forum
 
Oggi è 23/04/2026, 22:17

Tutti gli orari sono UTC + 1 ora [ ora legale ]

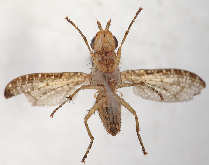
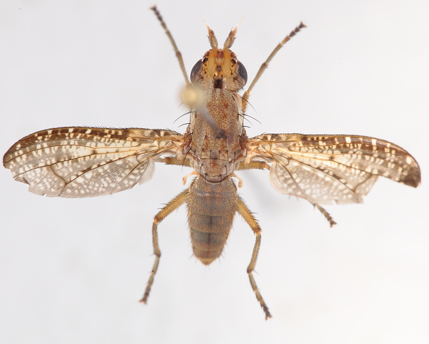
Euthycera sticticaria (Mayer, 1953) - Sciomyzidae

10.X.2010 - ITALIA - Toscana - LI, Capoliveri (LI) - Loc. Naregno


nuovo argomento
rispondi
Pagina 1 di 1 [ 3 messaggi ]
Autore Messaggio
MessaggioInviato: 16/10/2010, 9:08 
Avatar utente

Iscritto il: 17/02/2009, 0:05
Messaggi: 8524
Località: Isola d'Elba - Arcipelago Toscano
Nome: Leonardo Forbicioni
Capoliveri (LI) - 10.X.2010 - Loc. Naregno

Dalla "faccia" non dovrei sbagliare nel dire che si tratta di uno Sciomyzidae.
.....ma sul resto non garantisco e chiedo aiuto.

:no1: Euthycera sp.???? :no1: :no1: :no1:

Da determinare3.JPG

Da determinare4.JPG

Da determinare5.JPG


_________________
"Stay hungry, stay foolish".
Steve Jobs, 2005
___________________
jjuniper8(at)gmail.com
Twitter: @weevil_forbix
cell. 339/5275910
___________________


Top
profilo
MessaggioInviato: 15/02/2014, 18:25 
 

Iscritto il: 10/08/2010, 14:39
Messaggi: 3260
Località: Milano
Nome: Carlo Monari
Ho rivisto questa discussione con il testo di Rivosecchi (Fauna d'Italia: Sciomyzidae) sott'occhio; mi sembra che si possa confermare senza esitazioni sia la famiglia che il genere; in più mi sembra anche abbastanza sicura la determinazione a livello specifico: Euthycera sticticaria (Mayer 1953)

_________________
Ciao

Carlo


Top
profilo
MessaggioInviato: 15/02/2014, 19:02 
Avatar utente

Iscritto il: 17/02/2009, 0:05
Messaggi: 8524
Località: Isola d'Elba - Arcipelago Toscano
Nome: Leonardo Forbicioni
Grazie Carlo!! :lov2: :lov2:

_________________
"Stay hungry, stay foolish".
Steve Jobs, 2005
___________________
jjuniper8(at)gmail.com
Twitter: @weevil_forbix
cell. 339/5275910
___________________


Top
profilo
Visualizza ultimi messaggi:  Ordina per  
nuovo argomento
rispondi
Pagina 1 di 1 [ 3 messaggi ]

Tutti gli orari sono UTC + 1 ora [ ora legale ]


Chi c’è in linea

Visitano il forum: Nessuno e 1 ospite


Non puoi aprire nuovi argomenti
Non puoi rispondere negli argomenti
Non puoi modificare i tuoi messaggi
Non puoi cancellare i tuoi messaggi
Non puoi inviare allegati

Cerca per:
Vai a: