Benvenuto Ospite

Forum Entomologi Italiani

www.entomologiitaliani.net/forum
 
Oggi è 22/04/2026, 20:00

Tutti gli orari sono UTC + 1 ora [ ora legale ]

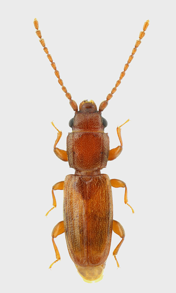
Placonotus testaceus (Fabricius, 1787) - Laemophloeidae

13.II.2011 - ROMANIA - EE, vicino a Iasi (nord est dalla Romania)


nuovo argomento
rispondi
Pagina 1 di 1 [ 7 messaggi ]
Autore Messaggio
MessaggioInviato: 16/02/2011, 21:56 
Avatar utente

Iscritto il: 26/03/2010, 14:55
Messaggi: 5993
Località: Romania
Nome: Cosmin-Ovidiu Manci
:hi:

questa è stata la specie più frequente sotto la corteccia... +500 esemplari... e io ho circa 100 ;) (se qualcuno vuole).
Placonotus testaceus (Fabricius, 1787) - maschio e femmina, ma una conferma o smentita e benvenuta.

Raccolti sotto cortecia, vicino a Iasi (nord est dalla Romania) in 13.II.2011, leg. Cosmin O. Manci, maschio ~2.5 mm e femmina 2 mm - senza antene.

Placonotus_testaceus_m_s.jpg


Placonotus_testaceus_f_s.JPG


_________________
Cosmin-Ovidiu Manci
**********************
cosmln's place - my blog
just insects
Dragonflies of Romania


Top
profilo
MessaggioInviato: 16/02/2011, 22:04 
Avatar utente

Iscritto il: 17/02/2009, 0:05
Messaggi: 8524
Località: Isola d'Elba - Arcipelago Toscano
Nome: Leonardo Forbicioni
Io non voglio gli esemplari.....ma vorrei solo sapere di quale razza di albero era questa "benedetta corteccia"!!! :devil: :devil:

_________________
"Stay hungry, stay foolish".
Steve Jobs, 2005
___________________
jjuniper8(at)gmail.com
Twitter: @weevil_forbix
cell. 339/5275910
___________________


Top
profilo
MessaggioInviato: 16/02/2011, 22:07 
Avatar utente

Iscritto il: 26/03/2010, 14:55
Messaggi: 5993
Località: Romania
Nome: Cosmin-Ovidiu Manci
FORBIX ha scritto:
Io non voglio gli esemplari.....ma vorrei solo sapere di quale razza di albero era questa "benedetta corteccia"!!! :devil: :devil:


:lol: :lol: :lol:
vedi qui:)

_________________
Cosmin-Ovidiu Manci
**********************
cosmln's place - my blog
just insects
Dragonflies of Romania


Top
profilo
MessaggioInviato: 16/02/2011, 22:10 
Avatar utente

Iscritto il: 17/02/2009, 0:05
Messaggi: 8524
Località: Isola d'Elba - Arcipelago Toscano
Nome: Leonardo Forbicioni
:lov2: :lov2: Grazie Cosmin! :lov2: :lov2:


Da ora in poi.............Carpini dell'Isola d'Elba......TREMATE!!!!!!!

_________________
"Stay hungry, stay foolish".
Steve Jobs, 2005
___________________
jjuniper8(at)gmail.com
Twitter: @weevil_forbix
cell. 339/5275910
___________________


Top
profilo
MessaggioInviato: 16/02/2011, 22:14 
Avatar utente

Iscritto il: 26/03/2010, 14:55
Messaggi: 5993
Località: Romania
Nome: Cosmin-Ovidiu Manci
FORBIX ha scritto:
:lov2: :lov2: Grazie Cosmin! :lov2: :lov2:


Da ora in poi.............Carpini dell'Isola d'Elba......TREMATE!!!!!!!


con piacere caro Leo :lov2:

_________________
Cosmin-Ovidiu Manci
**********************
cosmln's place - my blog
just insects
Dragonflies of Romania


Top
profilo
MessaggioInviato: 17/02/2011, 20:52 
 

Iscritto il: 21/09/2009, 9:34
Messaggi: 1535
Località: Padova
Nome: Gianfranco Salvato
FORBIX ha scritto:
:lov2: :lov2: Grazie Cosmin! :lov2: :lov2:


Da ora in poi.............Carpini dell'Isola d'Elba......TREMATE!!!!!!!


Confermo la determinazione (è un maschio); ma ricordo a Forbix che è fondamentale il ..."fattore c...".
Ciao
Gianfranco


Top
profilo
MessaggioInviato: 17/02/2011, 22:44 
 

Iscritto il: 21/09/2009, 9:34
Messaggi: 1535
Località: Padova
Nome: Gianfranco Salvato
Gianfranco ha scritto:
FORBIX ha scritto:
:lov2: :lov2: Grazie Cosmin! :lov2: :lov2:


Da ora in poi.............Carpini dell'Isola d'Elba......TREMATE!!!!!!!


Confermo la determinazione ed i sessi; ma ricordo a Forbix che è fondamentale il ..."fattore c...".
Ciao
Gianfranco


Ho corretto il mio messaggio che mi era "scappato"


Top
profilo
Visualizza ultimi messaggi:  Ordina per  
nuovo argomento
rispondi
Pagina 1 di 1 [ 7 messaggi ]

Tutti gli orari sono UTC + 1 ora [ ora legale ]


Chi c’è in linea

Visitano il forum: Nessuno e 1 ospite


Non puoi aprire nuovi argomenti
Non puoi rispondere negli argomenti
Non puoi modificare i tuoi messaggi
Non puoi cancellare i tuoi messaggi
Non puoi inviare allegati

Cerca per:
Vai a: