Benvenuto Ospite

Forum Entomologi Italiani

www.entomologiitaliani.net/forum
 
Oggi è 23/04/2026, 13:37

Tutti gli orari sono UTC + 1 ora [ ora legale ]

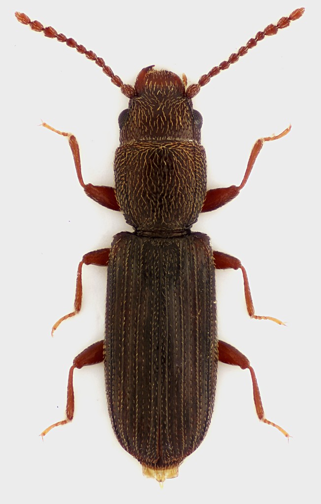
Cryptolestes spartii (Curtis, 1834) - Laemophloeidae - Lazio

18.III.2012 - ITALIA - Lazio - RM, Roma, San Vittorino


nuovo argomento
rispondi
Pagina 1 di 1 [ 6 messaggi ]
Autore Messaggio
MessaggioInviato: 19/03/2012, 1:22 
Avatar utente

Iscritto il: 30/12/2009, 22:20
Messaggi: 31564
Località: Roma
Nome: Maurizio Gigli
Anche io sto facendo prove di illuminazione col doppio flash.

Sempre Cryptolestes ferrugineus (Stephens, 1831) ?

Trovato sotto un pezzetto di corteccia di ginestra.

Lazio, Roma, San Vittorino, 18.III.2012, M. Gigli legit

2,3 mm

San_Vittorino_18-III-2012_2,3mm_grey.jpg


_________________
Maurizio Gigli
http://utenti.romascuola.net/bups
http://bup.xoom.it/


Top
profilo
MessaggioInviato: 19/03/2012, 13:48 
 

Iscritto il: 21/09/2009, 9:34
Messaggi: 1535
Località: Padova
Nome: Gianfranco Salvato
Julodis ha scritto:
Anche io sto facendo prove di illuminazione col doppio flash.
Sempre Cryptolestes ferrugineus (Stephens, 1831) ?
Trovato sotto un pezzetto di corteccia di ginestra.



Bella foto ma è un "Cryptolestes spartii (Curtis 1834)"
Ciao
Gianfranco

Se ne trovi altri portameli ad Entomodena! Grazie


Top
profilo
MessaggioInviato: 19/03/2012, 20:29 
Avatar utente

Iscritto il: 30/12/2009, 22:20
Messaggi: 31564
Località: Roma
Nome: Maurizio Gigli
Gianfranco ha scritto:
Julodis ha scritto:
Anche io sto facendo prove di illuminazione col doppio flash.
Sempre Cryptolestes ferrugineus (Stephens, 1831) ?
Trovato sotto un pezzetto di corteccia di ginestra.



Bella foto ma è un "Cryptolestes spartii (Curtis 1834)"
Ciao
Gianfranco

Se ne trovi altri portameli ad Entomodena! Grazie

Per ora ho trovato solo questo e te lo porto a Modena.

Aveva un'aria un po' diversa dai soliti. Come si distinguono?

_________________
Maurizio Gigli
http://utenti.romascuola.net/bups
http://bup.xoom.it/


Top
profilo
MessaggioInviato: 19/03/2012, 23:14 
 

Iscritto il: 21/09/2009, 9:34
Messaggi: 1535
Località: Padova
Nome: Gianfranco Salvato
Julodis ha scritto:
Trovato sotto un pezzetto di corteccia di ginestra.

Aveva un'aria un po' diversa dai soliti. Come si distinguono?[/quote]



C. spartii (ex ater) angoli post. protorace ottusi (nel ferrugineum sono retti).
" elitre più strette e più striate che nel ferrugineum, aspetto generale più allungato.
C. spartii (ex ater) colore nero o bruno (nel ferrugineum rossastro con aspetto opaco per pubescenza), ambedue con antenne e zampe rosso ruggine.
C. spartii (ex ater) vive generalmente nel legno delle Ginestre.

Ciao Gianfranco


Top
profilo
MessaggioInviato: 20/03/2012, 9:15 
 

Iscritto il: 24/03/2010, 12:42
Messaggi: 1456
Nome: Lech Borowiec
Here is photo of C. ferrugineus:
http://www.colpolon.biol.uni.wroc.pl/cr ... gineus.htm


Top
profilo
MessaggioInviato: 20/03/2012, 17:14 
Avatar utente

Iscritto il: 30/12/2009, 22:20
Messaggi: 31564
Località: Roma
Nome: Maurizio Gigli
Lech Borowiec ha scritto:

Thank you Lech, but C. ferrugineus is well represented also in this Forum.

_________________
Maurizio Gigli
http://utenti.romascuola.net/bups
http://bup.xoom.it/


Top
profilo
Visualizza ultimi messaggi:  Ordina per  
nuovo argomento
rispondi
Pagina 1 di 1 [ 6 messaggi ]

Tutti gli orari sono UTC + 1 ora [ ora legale ]


Chi c’è in linea

Visitano il forum: Nessuno e 1 ospite


Non puoi aprire nuovi argomenti
Non puoi rispondere negli argomenti
Non puoi modificare i tuoi messaggi
Non puoi cancellare i tuoi messaggi
Non puoi inviare allegati

Cerca per:
Vai a: