Benvenuto Ospite

Forum Entomologi Italiani

www.entomologiitaliani.net/forum
 
Oggi è 11/12/2025, 17:20

Tutti gli orari sono UTC + 1 ora [ ora legale ]

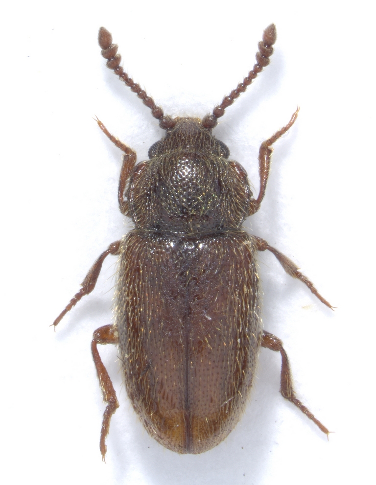
Cryptophagus setulosus Sturm, 1845 - Cryptophagidae

1.IX.2020 - ROMANIA - EE, Bacău, Comănești


nuovo argomento
rispondi
Pagina 1 di 1 [ 3 messaggi ]
Autore Messaggio
MessaggioInviato: 24/03/2023, 9:51 
Avatar utente

Iscritto il: 31/08/2010, 7:16
Messaggi: 3040
Località: Romania
Nome: Pintilioaie Alexandru Mihai
Altitude 470 m, lenght 2,7 mm :hi: :hi:

Experiment-1046-Extended Depth of Focus-04.jpg



Experiment-1047-Extended Depth of Focus-05.jpg



Experiment-1048-Extended Depth of Focus-06.jpg


_________________
alexandrupintilioaie(AT)gmail.com


Top
profilo
 Oggetto del messaggio: Re: Cryptophagus sp. ??
MessaggioInviato: 24/03/2023, 16:22 
Avatar utente

Iscritto il: 05/05/2016, 11:22
Messaggi: 2970
Località: Santa Maria delle mole, Marino, Rm
Nome: Roberto Vanzini
Cryptophagus setulosus :roll:

_________________
Roberto Vanzini


Top
profilo
 Oggetto del messaggio: Re: Cryptophagus sp. ??
MessaggioInviato: 25/03/2023, 8:35 
Avatar utente

Iscritto il: 31/08/2010, 7:16
Messaggi: 3040
Località: Romania
Nome: Pintilioaie Alexandru Mihai
I was thinking the same, but have no experience with this group :roll:

:hi: :hi:

_________________
alexandrupintilioaie(AT)gmail.com


Top
profilo
Visualizza ultimi messaggi:  Ordina per  
nuovo argomento
rispondi
Pagina 1 di 1 [ 3 messaggi ]

Tutti gli orari sono UTC + 1 ora [ ora legale ]


Chi c’è in linea

Visitano il forum: Nessuno e 1 ospite


Non puoi aprire nuovi argomenti
Non puoi rispondere negli argomenti
Non puoi modificare i tuoi messaggi
Non puoi cancellare i tuoi messaggi
Non puoi inviare allegati

Cerca per:
Vai a: